ΡΡΠΎ ΡΡΠΎ ΡΠ°ΠΊΠΎΠ΅, ΠΊΠ°ΠΊ Π²ΡΠ³Π»ΡΠ΄ΠΈΡ ΠΎΠ±ΡΠ°Π·Π΅Ρ, ΠΏΠΎΡΡΠ΄ΠΎΠΊ ΠΏΡΠΎΠ²Π΅Π΄Π΅Π½ΠΈΡ, ΡΡΠΎΠΊ Π΄Π΅ΠΉΡΡΠ²ΠΈΡ
Π Π°Π±ΠΎΡΡ, ΠΏΡΠΎΠ²ΠΎΠ΄ΠΈΠΌΡΠ΅ Ρ ΡΠ΅Π»ΡΡ ΡΠΎΡΡΠ°Π²Π»Π΅Π½ΠΈΡ ΠΏΠ»Π°Π½ΠΎΠ² ΠΈΠ»ΠΈ ΠΊΠ°ΡΡ ΠΎΠΏΡΠ΅Π΄Π΅Π»Π΅Π½Π½ΠΎΠΉ ΠΌΠ΅ΡΡΠ½ΠΎΡΡΠΈ, ΠΏΠΎΠ»ΡΡΠΈΠ»ΠΈ Π½Π°Π·Π²Π°Π½ΠΈΠ΅ ΡΠΎΠΏΠΎΠ³ΡΠ°ΡΠΈΡΠ΅ΡΠΊΠΎΠΉ ΡΡΠ΅ΠΌΠΊΠΈ.
ΠΠ½ΠΈ ΡΠ²Π»ΡΡΡΡΡ Π½Π΅ΠΎΠ±Ρ ΠΎΠ΄ΠΈΠΌΠΎΠΉ ΡΠ°ΡΡΡΡ ΠΏΡΠΎΡΠ΅Π΄ΡΡΡ ΠΌΠ΅ΠΆΠ΅Π²Π°Π½ΠΈΡ Π½Π°Π΄Π΅Π»ΠΎΠ², Π½Π΅ΠΎΠ±Ρ ΠΎΠ΄ΠΈΠΌΠΎΠΉ Π΄Π»Ρ ΡΠΎΠΎΡΡΠΆΠ΅Π½ΠΈΡ ΠΎΠ±ΡΠ΅ΠΊΡΠΎΠ² ΠΊΠ°ΠΏΠΈΡΠ°Π»ΡΠ½ΠΎΠ³ΠΎ ΡΡΡΠΎΠΈΡΠ΅Π»ΡΡΡΠ²Π°, Π²ΡΠΏΠΎΠ»Π½Π΅Π½ΠΈΡ ΠΏΡΠΈΡΠ΅Π·ΠΊΠΈ, Π° ΡΠ°ΠΊΠΆΠ΅ Π΄Π»Ρ Π·Π°ΠΊΠ»ΡΡΠ΅Π½ΠΈΡ Π»ΡΠ±ΡΡ ΡΡΠΈΠ΄ΠΈΡΠ΅ΡΠΊΠΈ Π·Π½Π°ΡΠΈΠΌΡΡ ΡΠ΄Π΅Π»ΠΎΠΊ Ρ Π·Π΅ΠΌΠ΅Π»ΡΠ½ΡΠΌ ΡΡΠ°ΡΡΠΊΠΎΠΌ.
ΠΠ΄Π½Π°ΠΊΠΎ ΡΡΠΎΠ±Ρ Π² ΡΠ΅Π·ΡΠ»ΡΡΠ°ΡΠ΅ ΠΏΠΎΠ»ΡΡΠΈΡΡ ΠΏΡΠ°Π²ΠΈΠ»ΡΠ½ΠΎ ΠΎΡΠΎΡΠΌΠ»Π΅Π½Π½ΡΠΉ ΠΏΠ»Π°Π½ ΡΠ΅ΡΡΠΈΡΠΎΡΠΈΠΈ Π½Π΅ΠΎΠ±Ρ ΠΎΠ΄ΠΈΠΌΠΎ ΡΡΠ°ΡΠ΅Π»ΡΠ½ΠΎΠ΅ ΡΠΎΠ±Π»ΡΠ΄Π΅Π½ΠΈΠ΅ ΠΏΡΠ°Π²ΠΈΠ» ΠΏΡΠΎΠ²Π΅Π΄Π΅Π½ΠΈΡ ΡΠΎΠΏΠΎΡΡΠ΅ΠΌΠΊΠΈ Π·Π΅ΠΌΠ΅Π»ΡΠ½ΠΎΠ³ΠΎ ΡΡΠ°ΡΡΠΊΠ°.
Π ΡΡΠΎΠΉ ΡΡΠ°ΡΡΠ΅ ΠΌΡ ΡΠ°ΡΡΠΊΠ°ΠΆΠ΅ΠΌ, ΡΡΠΎ ΡΠ°ΠΊΠΎΠ΅ ΡΠΎΠΏΠΎΡΡΠ΅ΠΌΠΊΠ° Π·Π΅ΠΌΠ΅Π»ΡΠ½ΠΎΠ³ΠΎ ΡΡΠ°ΡΡΠΊΠ°, ΠΊΡΠΎ Π΅Π΅ Π΄Π΅Π»Π°Π΅Ρ, ΠΌΠΎΠΆΠ½ΠΎ Π»ΠΈ Π·Π°ΠΊΠ°Π·Π°ΡΡ Π΄Π°Π½Π½ΡΡ ΡΡΠ»ΡΠ³Ρ ΠΎΠ½Π»Π°ΠΉΠ½, ΠΊΠ°ΠΊ Π²ΡΠ³Π»ΡΠ΄ΠΈΡ ΠΎΠ±ΡΠ°Π·Π΅Ρ Π³ΠΎΡΠΎΠ²ΠΎΠ³ΠΎ Π΄ΠΎΠΊΡΠΌΠ΅Π½ΡΠ° ΠΈ ΡΡΠΎΠΊΠΈ Π΅Π³ΠΎ Π΄Π΅ΠΉΡΡΠ²ΠΈΡ.
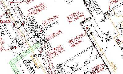
ΠΠ°ΠΊ Π²ΡΠ³Π»ΡΠ΄ΠΈΡ ΠΎΠ±ΡΠ°Π·Π΅Ρ
Π Π΅Π·ΡΠ»ΡΡΠ°ΡΠΎΠΌ ΠΏΡΠΎΠ²Π΅Π΄Π΅Π½ΠΈΡ ΡΠΎΠΏΠΎΠ³ΡΠ°ΡΠΈΡΠ΅ΡΠΊΠΈΡ ΡΠ°Π±ΠΎΡ Π½Π° ΡΡΠ°ΡΡΠΊΠ΅ ΡΠ²Π»ΡΠ΅ΡΡΡ ΠΏΠ»Π°Π½ ΠΌΠ΅ΡΡΠ½ΠΎΡΡΠΈ, ΡΠΎΡΡΠ°Π²Π»Π΅Π½Π½ΡΠΉ Ρ ΠΏΡΠΈΠ²ΡΠ·ΠΊΠΎΠΉ ΠΊ Π΄Π΅ΠΉΡΡΠ²ΡΡΡΠ΅ΠΉ ΡΠΈΡΡΠ΅ΠΌΠ΅ ΠΊΠΎΠΎΡΠ΄ΠΈΠ½Π°Ρ.
Π Π΄ΠΎΠΊΡΠΌΠ΅Π½ΡΠ΅ ΠΎΡΠΎΠ±ΡΠ°ΠΆΠ°ΡΡΡΡ Π² ΠΎΠ±ΡΠ·Π°ΡΠ΅Π»ΡΠ½ΠΎΠΌ ΠΏΠΎΡΡΠ΄ΠΊΠ΅:
- ΠΠΈΠ΄ΡΠΎΠ»ΠΎΠ³ΠΈΡΠ΅ΡΠΊΠΈΠ΅ ΡΠ΅ΡΡΡΡΡ;
- Π’ΠΈΠΏ ΠΏΠΎΡΠ² ΠΈ Π½Π°Π»ΠΈΡΠΈΠ΅ ΡΠ°ΡΡΠΈΡΠ΅Π»ΡΠ½ΠΎΡΡΠΈ Π½Π° ΠΎΡΠ΅Π½ΠΈΠ²Π°Π΅ΠΌΠΎΠΉ ΡΠ΅ΡΡΠΈΡΠΎΡΠΈΠΈ;
- Π Π΅Π»ΡΠ΅ΡΠ½ΡΠ΅ ΠΎΡΠΎΠ±Π΅Π½Π½ΠΎΡΡΠΈ ΠΌΠ΅ΡΡΠ½ΠΎΡΡΠΈ;
- Π Π°ΡΠΏΠΎΠ»ΠΎΠΆΠ΅Π½ΠΈΠ΅ ΡΠ΅ΡΠ΅ΠΉ ΠΊΠΎΠΌΠΌΡΠ½ΠΈΠΊΠ°ΡΠΈΠΉ;
- ΠΠ΅ΡΡΠΎΠΏΠΎΠ»ΠΎΠΆΠ΅Π½ΠΈΠ΅ ΡΡΠ°Π½ΡΠΏΠΎΡΡΠ½ΡΡ ΡΠ°Π·Π²ΡΠ·ΠΎΠΊ ΠΈ ΡΠ·Π»ΠΎΠ²;
- ΠΡΠ°Π½ΠΈΡΠ½ΡΠ΅ ΡΠΎΡΠΊΠΈ Π·Π΅ΠΌΠ΅Π»ΡΠ½ΠΎΠ³ΠΎ ΡΡΠ°ΡΡΠΊΠ°;
- ΠΠΎΠ·Π²Π΅Π΄Π΅Π½Π½ΡΠ΅ Π½Π° ΡΡΠ°ΡΡΠΊΠ΅ ΡΠΎΠΎΡΡΠΆΠ΅Π½ΠΈΡ.
ΠΠΎΠ»ΡΡΠ΅Π½Π½ΡΠ΅ Π² Ρ ΠΎΠ΄Π΅ ΠΏΡΠΎΠ²Π΅Π΄Π΅Π½ΠΈΡ ΡΠΎΠΏΠΎΠ³ΡΠ°ΡΠΈΡΠ΅ΡΠΊΠΎΠΉ ΡΡΠ΅ΠΌΠΊΠΈ ΡΠ²Π΅Π΄Π΅Π½ΠΈΡ ΠΎΠ±ΠΎΠ±ΡΠ°ΡΡΡΡ, Π°Π½Π°Π»ΠΈΠ·ΠΈΡΡΡΡΡΡ ΠΈ ΠΎΡΠΎΠ±ΡΠ°ΠΆΠ°ΡΡΡΡ Π² Π²ΠΈΠ΄Π΅ ΠΏΠ»Π°Π½Π° ΠΌΠ΅ΡΡΠ½ΠΎΡΡΠΈ.
Π ΠΎΠ±ΡΠ΅ΠΌ Π²ΠΈΠ΄Π΅ ΠΎΠ½ Π²ΡΠ³Π»ΡΠ΄ΠΈΡ ΡΠ°ΠΊΠΈΠΌ ΠΎΠ±ΡΠ°Π·ΠΎΠΌ:

Π‘ΠΊΠ°ΡΠ°ΡΡ ΠΎΠ±ΡΠ°Π·Π΅Ρ ΡΠΎΠΏΠΎΠ³ΡΠ°ΡΠΈΡΠ΅ΡΠΊΠΎΠΉ ΡΡΠ΅ΠΌΠΊΠΈ Π·Π΅ΠΌΠ΅Π»ΡΠ½ΠΎΠ³ΠΎ ΡΡΠ°ΡΡΠΊΠ° ΠΈ ΠΎΠ·Π½Π°ΠΊΠΎΠΌΠΈΡΡΡΡ ΠΏΠΎΠ΄ΡΠΎΠ±Π½Π΅Π΅ Ρ Π΅Π³ΠΎ ΠΊΠ»ΡΡΠ΅Π²ΡΠΌΠΈ ΡΠ»Π΅ΠΌΠ΅Π½ΡΠ°ΠΌΠΈ ΠΌΠΎΠΆΠ½ΠΎ Π·Π΄Π΅ΡΡ.
ΠΠΏΠΈΡΠ°Π½ΠΈΠ΅ ΠΏΡΠΎΡΠ΅Π΄ΡΡΡ
ΠΡΠ΅Π½ΠΊΠ° ΠΌΠ΅ΡΡΠ½ΠΎΡΡΠΈ, Π½Π΅ΠΎΠ±Ρ ΠΎΠ΄ΠΈΠΌΠ°Ρ Π΄Π»Ρ ΡΠΎΡΡΠ°Π²Π»Π΅Π½ΠΈΡ ΡΠΎΠΏΠΎΠΏΠ»Π°Π½Π° β ΡΡΡΠ΄ΠΎΠ΅ΠΌΠΊΠΈΠΉ ΠΏΡΠΎΡΠ΅ΡΡ, ΡΠΎΡΡΠΎΡΡΠΈΠΉ ΠΈΠ· ΠΎΠΏΡΠ΅Π΄Π΅Π»Π΅Π½Π½ΡΡ ΡΡΠ°ΠΏΠΎΠ².
ΠΠ»Ρ ΠΏΡΠΎΠ²Π΅Π΄Π΅Π½ΠΈΡ ΠΏΠΎΠ΄ΠΎΠ±Π½ΡΡ ΠΈΡΡΠ»Π΅Π΄ΠΎΠ²Π°Π½ΠΈΠΉ ΠΌΠ΅ΡΡΠ½ΠΎΡΡΠΈ ΡΠ»Π΅Π΄ΡΠ΅Ρ ΠΏΡΠΈΠ²Π»Π΅ΡΡ ΠΊΠ²Π°Π»ΠΈΡΠΈΡΠΈΡΠΎΠ²Π°Π½Π½ΠΎΠ³ΠΎ ΡΠΏΠ΅ΡΠΈΠ°Π»ΠΈΡΡΠ° Π³Π΅ΠΎΠ΄Π΅Π·ΠΈΡΠ΅ΡΠΊΠΎΠΉ ΡΠΈΡΠΌΡ, ΠΎΠ±Π»Π°Π΄Π°ΡΡΠ΅Π³ΠΎ Π·Π½Π°Π½ΠΈΡΠΌΠΈ ΠΈ ΠΎΠΏΡΡΠΎΠΌ ΠΈ ΡΠ°ΡΠΏΠΎΠ»Π°Π³Π°ΡΡΠ΅Π³ΠΎ Π½Π΅ΠΎΠ±Ρ ΠΎΠ΄ΠΈΠΌΡΠΌ Π΄Π»Ρ ΠΎΡΡΡΠ΅ΡΡΠ²Π»Π΅Π½ΠΈΡ Π·Π°ΠΌΠ΅ΡΠΎΠ² ΠΎΠ±ΠΎΡΡΠ΄ΠΎΠ²Π°Π½ΠΈΠ΅ΠΌ.
ΠΡΠΎ Π΄Π΅Π»Π°Π΅Ρ ΡΠΎΠΏΠΎΡΡΠ΅ΠΌΠΊΡ
ΠΡΠΎΠ²Π΅Π΄Π΅Π½ΠΈΠ΅ Π·Π°ΠΌΠ΅ΡΠΎΠ² Π½Π° ΠΌΠ΅ΡΡΠ½ΠΎΡΡΠΈ Π΄Π΅Π»Π°Π΅Ρ ΠΊΠ°Π΄Π°ΡΡΡΠΎΠ²ΡΠΉ ΠΈΠ½ΠΆΠ΅Π½Π΅Ρ, ΠΈΠΌΠ΅ΡΡΠΈΠΉ ΡΠΎΠΎΡΠ²Π΅ΡΡΡΠ²ΡΡΡΡΡ Π°ΡΡΠ΅ΡΡΠ°ΡΠΈΡ.
ΠΠ΅ΡΠΏΠ΅ΡΠΈΠ°Π»ΠΈΡΡ ΠΏΠΎΠ΄ΠΎΠ±Π½ΡΡ ΡΠ°Π±ΠΎΡΡ Π²ΡΠΏΠΎΠ»Π½ΠΈΡΡ Π½Π΅ ΡΠΌΠΎΠΆΠ΅Ρ: ΡΠΎΠΏΠΎΡΡΠ΅ΠΌΠΊΠ° ΠΏΡΠ΅Π΄ΠΏΠΎΠ»Π°Π³Π°Π΅Ρ ΠΎΠ±ΡΠ·Π°ΡΠ΅Π»ΡΠ½ΠΎΠ΅ Π½Π°Π»ΠΈΡΠΈΠ΅ ΡΠΏΠ΅ΡΠΈΠ°Π»ΡΠ½ΡΡ
Π½Π°Π²ΡΠΊΠΎΠ² ΠΈ Π·Π½Π°Π½ΠΈΠΉ.
ΠΠΎΠΌΠΈΠΌΠΎ ΡΡΠΎΠ³ΠΎ ΠΈΠ½ΠΆΠ΅Π½Π΅Ρ Π΄ΠΎΠ»ΠΆΠ΅Π½ ΡΠΌΠ΅ΡΡ ΠΈΡΠΏΠΎΠ»ΡΠ·ΠΎΠ²Π°ΡΡ ΠΏΡΠΈ ΡΠ°Π±ΠΎΡΠ΅:
- ΠΠ°Π²ΠΈΠ³Π°ΡΠΎΡΡ, ΡΠ°Π±ΠΎΡΠ°ΡΡΠΈΠ΅ Π² ΡΠΈΡΡΠ΅ΠΌΠ΅ GPS;
- ΠΠ»Π΅ΠΊΡΡΠΎΠ½Π½ΡΠ΅ ΡΠ°Ρ Π΅ΠΎΠΌΠ΅ΡΡΡ;
- Π‘ΠΏΠ΅ΡΠΈΠ°Π»ΡΠ½ΡΠ΅ Π»Π΅ΡΠ°ΡΠ΅Π»ΡΠ½ΡΠ΅ ΠΏΡΠΈΠ±ΠΎΡΡ, ΠΏΠΎΠ·Π²ΠΎΠ»ΡΡΡΠΈΠ΅ ΠΏΡΠΎΠΈΠ·Π²ΠΎΠ΄ΠΈΡΡ ΡΡΠ΅ΠΌΠΊΡ Ρ Π²ΡΡΠΎΡΡ.
ΠΠΎΠΌΠΈΠΌΠΎ ΡΡΠΎΠ³ΠΎ ΡΠΎΠ²ΡΠ΅ΠΌΠ΅Π½Π½Π°Ρ ΡΠΎΠΏΠΎΡΡΠ΅ΠΌΠΊΠ° ΠΏΡΠ΅Π΄ΠΏΠΎΠ»Π°Π³Π°Π΅Ρ ΠΈΡΠΏΠΎΠ»ΡΠ·ΠΎΠ²Π°Π½ΠΈΠ΅ ΡΠΏΡΡΠ½ΠΈΠΊΠΎΠ²ΡΡ ΠΈΠ·ΠΌΠ΅ΡΠ΅Π½ΠΈΠΉ.
ΠΠ°ΠΊΠ°Π·Π°ΡΡ ΠΏΡΠΎΠ²Π΅Π΄Π΅Π½ΠΈΠ΅ ΡΠΎΠΏΠΎΠ³ΡΠ°ΡΠΈΡΠ΅ΡΠΊΠΎΠΉ ΡΡΠ΅ΠΌΠΊΠΈ Π·Π΅ΠΌΠ΅Π»ΡΠ½ΠΎΠ³ΠΎ ΡΡΠ°ΡΡΠΊΠ° ΠΌΠΎΠΆΠ½ΠΎ Ρ Π»ΡΠ±ΠΎΠΉ Π°ΠΊΠΊΡΠ΅Π΄ΠΈΡΠΎΠ²Π°Π½Π½ΠΎΠΉ Π½Π° ΠΏΠΎΠ΄ΠΎΠ±Π½ΡΠ΅ ΡΠ°Π±ΠΎΡΡ ΡΠΈΡΠΌ.
ΠΡΠΈ ΡΡΠΎΠΌ ΠΏΡΠΎΠ²Π΅Π΄Π΅Π½ΠΈΠ΅ Π·Π°ΠΌΠ΅ΡΠΎΠ² Π΄ΠΎΠ»ΠΆΠ½ΠΎ ΠΎΡΡΡΠ΅ΡΡΠ²Π»ΡΡΡΡΡ Ρ ΡΡΠ΅ΡΠΎΠΌ ΠΏΠΎΠ»ΠΎΠΆΠ΅Π½ΠΈΠΉ ΡΠ»Π΅Π΄ΡΡΡΠΈΡ Π½ΠΎΡΠΌΠ°ΡΠΈΠ²Π½ΡΡ Π°ΠΊΡΠΎΠ²:
- ΠΡΠ°Π΄ΠΎΡΡΡΠΎΠΈΡΠ΅Π»ΡΠ½ΡΠΉ ΠΊΠΎΠ΄Π΅ΠΊΡ Π Π€.
- ΠΡΠΈΠΊΠ°Π·Ρ β518 ΠΈ β582, ΠΈΠ·Π΄Π°Π½Π½ΡΠ΅ ΠΠΈΠ½ΠΈΡΡΠ΅ΡΡΡΠ²ΠΎΠΌ ΡΠΊΠΎΠ½ΠΎΠΌΡΠ°Π·Π²ΠΈΡΠΈΡ.
- Π€Π β221.
- Π‘Π β11-106-97.
- Π‘ΠΠΈΠ β11-04-2003
ΠΠ°ΡΠ²ΠΊΠ° ΠΏΠΎΠ΄Π°Π΅ΡΡΡ Π½Π΅ΠΏΠΎΡΡΠ΅Π΄ΡΡΠ²Π΅Π½Π½ΠΎ Π² ΠΎΡΠΈΡΠ΅ Π³Π΅ΠΎΠ΄Π΅Π·ΠΈΡΠ΅ΡΠΊΠΎΠΉ ΠΊΠΎΠΌΠΏΠ°Π½ΠΈΠΈ, Π»ΠΈΠ±ΠΎ ΠΎΠ½Π»Π°ΠΉΠ½, Π² Π²ΠΈΠ΄Π΅ ΡΠ»Π΅ΠΊΡΡΠΎΠ½Π½ΠΎΠ³ΠΎ Π·Π°ΠΏΡΠΎΡΠ° ΡΠ΅ΡΠ΅Π· ΠΈΠ½ΡΠ΅ΡΠ½Π΅Ρ.
ΠΠΎΠ΄ΠΎΠ±ΡΠ°ΡΡ ΠΏΠΎΠ΄Ρ ΠΎΠ΄ΡΡΡΡ ΠΎΡΠ³Π°Π½ΠΈΠ·Π°ΡΠΈΡ Ρ ΡΡΠ΅ΡΠΎΠΌ ΠΌΠ΅ΡΡΠΎΠ½Π°Ρ ΠΎΠΆΠ΄Π΅Π½ΠΈΡ Π·Π΅ΠΌΠ΅Π»ΡΠ½ΠΎΠ³ΠΎ ΡΡΠ°ΡΡΠΊΠ° ΠΌΠΎΠΆΠ½ΠΎ Π½Π° ΡΠ»Π΅Π΄ΡΡΡΠΈΡ ΡΠ°ΠΉΡΠ°Ρ ΠΎΠ½Π»Π°ΠΉΠ½:
- http://geosync.ru, ΠΏΡΠ΅Π΄ΡΡΠ°Π²Π»ΡΡΡΠΈΠΉ ΡΠΎΠ±ΠΎΠΉ ΠΏΠΎΠ΄ΡΠΎΠ±Π½ΡΠΉ ΠΊΠ°ΡΠ°Π»ΠΎΠ³ Π³Π΅ΠΎΠ΄Π΅Π·ΠΈΡΠ΅ΡΠΊΠΈΡ ΠΎΡΠ³Π°Π½ΠΈΠ·Π°ΡΠΈΠΉ, Π΄Π΅ΠΉΡΡΠ²ΡΡΡΠΈΡ Π½Π° ΡΠ΅ΡΡΠΈΡΠΎΡΠΈΠΈ Π Π€ Ρ ΡΠ΄ΠΎΠ±Π½ΡΠΌ ΠΏΠΎΠΈΡΠΊΠΎΠΌ ΠΏΠΎ ΡΠ΅Π³ΠΈΠΎΠ½Π°ΠΌ.
- http://www.geotop.ru/catalogue.phtml, ΠΏΠΎΠ·Π²ΠΎΠ»ΡΡΡΠΈΠΉ ΠΎΠ·Π½Π°ΠΊΠΎΠΌΠΈΡΡΡΡ Ρ Π½Π°ΠΈΠ±ΠΎΠ»Π΅Π΅ ΠΏΠΎΠΏΡΠ»ΡΡΠ½ΡΠΌΠΈ Π·Π΅ΠΌΠ»Π΅ΡΡΡΡΠΎΠΈΡΠ΅Π»ΡΠ½ΡΠΌΠΈ ΡΠΈΡΠΌΠ°ΠΌΠΈ Π² ΡΠ΅Π³ΠΈΠΎΠ½Π°Ρ ΡΡΡΠ°Π½Ρ.
ΠΡΠ±ΡΠ°Π² Π½ΡΠΆΠ½ΡΡ ΠΎΡΠ³Π°Π½ΠΈΠ·Π°ΡΠΈΡ, ΠΌΠΎΠΆΠ½ΠΎ ΠΎΡΡΠ°Π²ΠΈΡΡ Π½Π° Π΅Π΅ ΠΎΡΠΈΡΠΈΠ°Π»ΡΠ½ΠΎΠΌ ΡΠ°ΠΉΡΠ΅ Π·Π°ΡΠ²ΠΊΡ Π½Π° Π²ΡΠΏΠΎΠ»Π½Π΅Π½ΠΈΠ΅ ΡΠΎΠΏΠΎΠ³ΡΠ°ΡΠΈΡΠ΅ΡΠΊΠΈΡ ΡΠ°Π±ΠΎΡ Π½Π° ΡΡΠ°ΡΡΠΊΠ΅.
ΠΠΎΠ΄Π³ΠΎΡΠΎΠ²ΠΈΡΠ΅Π»ΡΠ½ΡΠΉ ΡΡΠ°ΠΏ
Π’ΠΎΠΏΠΎΡΡΠ΅ΠΌΠΊΠ° Π·Π΅ΠΌΠ΅Π»ΡΠ½ΠΎΠ³ΠΎ ΡΡΠ°ΡΡΠΊΠ° Π½Π°ΡΠΈΠ½Π°Π΅ΡΡΡ Ρ Π·Π°ΠΊΠ»ΡΡΠ΅Π½ΠΈΡ Π΄ΠΎΠ³ΠΎΠ²ΠΎΡΠ° ΠΌΠ΅ΠΆΠ΄Ρ Π²Π»Π°Π΄Π΅Π»ΡΡΠ΅ΠΌ ΠΠ ΠΈ Π²ΡΠ±ΡΠ°Π½Π½ΡΠΌ ΠΏΠΎΠ΄ΡΡΠ΄ΡΠΈΠΊΠΎΠΌ. Π ΡΠΎΠ³Π»Π°ΡΠ΅Π½ΠΈΠΈ ΡΠΊΠ°Π·ΡΠ²Π°Π΅ΡΡΡ ΠΏΠΎΠ»Π½ΡΠΉ ΠΎΠ±ΡΠ΅ΠΌ ΡΠ°Π±ΠΎΡ, Π° ΡΠ°ΠΊΠΆΠ΅ ΠΏΡΠΎΠΏΠΈΡΡΠ²Π°Π΅ΡΡΡ ΡΡΠΎΠΊΠΈ ΠΈ ΡΡΠΎΠΈΠΌΠΎΡΡΡ ΠΈΡ Π²ΡΠΏΠΎΠ»Π½Π΅Π½ΠΈΡ.
ΠΡΠ΅ΠΆΠ΄Π΅ ΡΠ΅ΠΌ ΠΏΡΠΈΡΡΡΠΏΠΈΡΡ ΠΊ Π½Π΅ΠΏΠΎΡΡΠ΅Π΄ΡΡΠ²Π΅Π½Π½ΡΠΌ Π·Π°ΠΌΠ΅ΡΠ°ΠΌ ΡΠ΅ΡΡΠΈΡΠΎΡΠΈΠΈ, ΡΠΏΠ΅ΡΠΈΠ°Π»ΠΈΡΡΡ Π²ΡΠ±ΡΠ°Π½Π½ΠΎΠΉ ΠΊΠΎΠΌΠΏΠ°Π½ΠΈΠΈ ΡΠΎΡΡΠ°Π²Π»ΡΡΡ ΡΠ΅Ρ Π½ΠΈΡΠ΅ΡΠΊΠΈΠΉ ΠΏΠ»Π°Π½ ΡΠ°Π±ΠΎΡ.

ΠΡΠ½ΠΊΡΡ Π΄ΠΎΠΊΡΠΌΠ΅Π½ΡΠ° ΡΠΎΡΠΌΠΈΡΡΡΡΡΡ Π½Π° ΠΎΡΠ½ΠΎΠ²Π°Π½ΠΈΠΈ:
- ΠΠΎΠΆΠ΅Π»Π°Π½ΠΈΠΉ Π·Π°ΠΊΠ°Π·ΡΠΈΠΊΠ°;
- ΠΠ°Π½Π½ΡΡ Π°ΡΡ ΠΈΠ²Π½ΡΡ Π΄ΠΎΠΊΡΠΌΠ΅Π½ΡΠΎΠ²,
- Π‘ΠΎΠ΄Π΅ΡΠΆΠ°ΡΠΈΡ ΡΡ Π² ΡΠΆΠ΅ ΠΈΠΌΠ΅ΡΡΠΈΡ ΡΡ ΡΠΎΠΏΠΎΠ³ΡΠ°ΡΠΈΡΠ΅ΡΠΊΠΈΡ ΠΊΠ°ΡΡΠ°Ρ ΠΌΠ΅ΡΡΠ½ΠΎΡΡΠΈ, Π² ΡΠΎΠΌ ΡΠΈΡΠ»Π΅ ΠΏΠ»Π°Π½Π΅ Π·Π°ΡΡΡΠΎΠΉΠΊΠΈ, ΡΠ²Π΅Π΄Π΅Π½ΠΈΠΉ.
Π ΡΠΎΠΎΡΠ²Π΅ΡΡΡΠ²ΠΈΠΈ Ρ ΠΏΠΎΠ»ΡΡΠ΅Π½Π½ΠΎΠΉ ΠΈΠ½ΡΠΎΡΠΌΠ°ΡΠΈΠ΅ΠΉ ΠΏΠΎΠ΄Π±ΠΈΡΠ°Π΅ΡΡΡ ΠΌΠ°ΡΡΡΠ°Π± Π±ΡΠ΄ΡΡΠ΅Π³ΠΎ ΠΏΠ»Π°Π½Π° ΠΌΠ΅ΡΡΠ½ΠΎΡΡΠΈ, Π° ΡΠ°ΠΊΠΆΠ΅ Π²ΡΡΠ²Π»ΡΠ΅ΡΡΡ Π½Π΅ΠΎΠ±Ρ ΠΎΠ΄ΠΈΠΌΠΎΡΡΡ ΠΈΡΠΏΠΎΠ»ΡΠ·ΠΎΠ²Π°Π½ΠΈΡ ΡΠΎΠ³ΠΎ ΠΈΠ»ΠΈ ΠΈΠ½ΠΎΠ³ΠΎ Π²ΠΈΠ΄Π° ΠΈΠ½ΡΡΡΡΠΌΠ΅Π½ΡΠΎΠ².
ΠΠ΅ΠΌΠ°Π»ΠΎΠ²Π°ΠΆΠ½ΠΎΠΉ ΡΠ°ΡΡΡΡ ΠΏΠΎΠ΄Π³ΠΎΡΠΎΠ²ΠΊΠΈ ΡΡΠΈΡΠ°Π΅ΡΡΡ ΠΏΠΎΠ»ΡΡΠ΅Π½ΠΈΠ΅ ΡΠ°Π·ΡΠ΅ΡΠ΅Π½ΠΈΡ Π½Π° ΠΏΡΠΎΠ²Π΅Π΄Π΅Π½ΠΈΠ΅ ΡΡΠ΅ΠΌΠΊΠΈ Π² ΡΠ΅ΡΡΠΈΡΠΎΡΠΈΠ°Π»ΡΠ½ΠΎΠΌ ΠΎΡΠ΄Π΅Π»Π΅ Π£ΠΏΡΠ°Π²Π»Π΅Π½ΠΈΡ Π°ΡΡ ΠΈΡΠ΅ΠΊΡΡΡΠΎΠΉ ΠΈ Π³ΡΠ°Π΄ΠΎΡΡΡΠΎΠΈΡΠ΅Π»ΡΡΡΠ²ΠΎΠΌ.
ΠΡΠ»ΠΈ ΠΏΡΠΎΡΠ΅Π΄ΡΡΠ° ΠΏΡΠΎΠ²ΠΎΠ΄ΠΈΡΡΡ Π² ΡΠ°ΠΌΠΊΠ°Ρ ΠΌΠ΅ΠΆΠ΅Π²Π°Π½ΠΈΡ Π·Π΅ΠΌΠ΅Π»ΡΠ½ΠΎΠ³ΠΎ ΡΡΠ°ΡΡΠΊΠ°, ΡΠΎ Π² ΡΠΈΡΠ»ΠΎ ΠΏΠΎΠ΄Π³ΠΎΡΠΎΠ²ΠΈΡΠ΅Π»ΡΠ½ΡΡ ΠΌΠ΅ΡΠΎΠΏΡΠΈΡΡΠΈΠΉ ΡΠ°ΠΊΠΆΠ΅ ΠΏΠΎΠΏΠ°Π΄Π°Π΅Ρ ΠΎΠΏΠΎΠ²Π΅ΡΠ΅Π½ΠΈΠ΅ Π²Π»Π°Π΄Π΅Π»ΡΡΠ΅Π² Π½Π°Π΄Π΅Π»ΠΎΠ², Π½Π°Ρ ΠΎΠ΄ΡΡΠΈΡ ΡΡ ΠΏΠΎ ΡΠΎΡΠ΅Π΄ΡΡΠ²Ρ Ρ ΠΈΡΡΠ»Π΅Π΄ΡΠ΅ΠΌΡΠΌ.
Π Π°Π±ΠΎΡΡ Π½Π° ΠΌΠ΅ΡΡΠ½ΠΎΡΡΠΈ
ΠΠΎΡΠ»Π΅ ΠΎΠ΄ΠΎΠ±ΡΠ΅Π½ΠΈΡ ΡΠ΅Ρ Π½ΠΈΡΠ΅ΡΠΊΠΎΠ³ΠΎ ΠΏΠ»Π°Π½Π° ΠΎΠ±Π΅ΠΈΠΌΠΈ ΡΡΠΎΡΠΎΠ½Π°ΠΌΠΈ ΡΠΎΠ³Π»Π°ΡΠ΅Π½ΠΈΡ, Π½Π°Π·Π½Π°ΡΠ°Π΅ΡΡΡ Π΄Π°ΡΠ° Π²ΡΠ΅Π·Π΄Π° ΠΊΠ°Π΄Π°ΡΡΡΠΎΠ²ΠΎΠ³ΠΎ ΠΈΠ½ΠΆΠ΅Π½Π΅ΡΠ° Π½Π° ΠΌΠ΅ΡΡΠ½ΠΎΡΡΡ Π΄Π»Ρ ΠΏΡΠΎΠ²Π΅Π΄Π΅Π½ΠΈΡ Π½Π΅ΠΏΠΎΡΡΠ΅Π΄ΡΡΠ²Π΅Π½Π½ΡΡ ΡΠ°Π±ΠΎΡ ΠΏΠΎ Π·Π°ΠΌΠ΅ΡΠ°ΠΌ ΡΡΠ°ΡΡΠΊΠ°.
Π ΡΠΈΡΠ»ΠΎ ΠΎΠ±ΡΠΈΡ ΠΌΠ΅ΡΠΎΠΏΡΠΈΡΡΠΈΠΉ, ΠΏΡΠΎΠ²ΠΎΠ΄ΠΈΠΌΡΡ Π½Π΅ΠΏΠΎΡΡΠ΅Π΄ΡΡΠ²Π΅Π½Π½ΠΎ Π½Π° ΡΠ΅ΡΡΠΈΡΠΎΡΠΈΠΈ Π·Π΅ΠΌΠ΅Π»ΡΠ½ΠΎΠ³ΠΎ ΡΡΠ°ΡΡΠΊΠ°, Π²Ρ ΠΎΠ΄ΡΡ:
- ΠΠΏΡΠ΅Π΄Π΅Π»Π΅Π½ΠΈΠ΅ ΠΊΠΎΠΎΡΠ΄ΠΈΠ½Π°Ρ Π½Π°Π΄Π΅Π»Π°.
- Π‘ΠΎΠ·Π΄Π°Π½ΠΈΠ΅ Π³Π΅ΠΎΠ΄Π΅Π·ΠΈΡΠ΅ΡΠΊΠΎΠΉ ΡΠ΅ΡΠΈ.
- Π€ΠΈΠΊΡΠ°ΡΠΈΡ Π½Π° ΠΌΠ΅ΡΡΠ½ΠΎΡΡΠΈ ΡΡΠΎΡΠ½Π΅Π½Π½ΡΡ ΡΠΎΡΠ΅ΠΊ ΠΊΠΎΠΎΡΠ΄ΠΈΠ½Π°Ρ ΠΏΡΠΈ ΠΏΠΎΠΌΠΎΡΠΈ ΡΠΏΠ΅ΡΠΈΠ°Π»ΡΠ½ΡΡ Π·Π½Π°ΠΊΠΎΠ².
- ΠΠ΅ΠΎΠ΄Π΅Π·ΠΈΡΠ΅ΡΠΊΠΈΠ΅ ΠΈΠ·ΠΌΠ΅ΡΠ΅Π½ΠΈΡ ΡΠ΅ΡΡΠΈΡΠΎΡΠΈΠΈ.
- ΠΠΎΠΈΡΠΊ ΠΈ ΡΡΠ΅ΠΌΠΊΠ° Π½Π°Ρ ΠΎΠ΄ΡΡΠΈΡ ΡΡ Π½Π° ΡΠ΅ΡΡΠΈΡΠΎΡΠΈΠΈ ΠΈΠ½ΠΆΠ΅Π½Π΅ΡΠ½ΡΡ ΠΊΠΎΠΌΠΌΡΠ½ΠΈΠΊΠ°ΡΠΈΠΉ.
Π Π·Π°Π²ΠΈΡΠΈΠΌΠΎΡΡΠΈ ΠΎΡ ΡΠ΅Π»ΠΈ ΠΏΡΠΎΠ²Π΅Π΄Π΅Π½ΠΈΡ ΡΠΎΠΏΠΎΠ³ΡΠ°ΡΠΈΡΠ΅ΡΠΊΠΎΠΉ ΡΡΠ΅ΠΌΠΊΠΈ ΡΠΊΠ°Π·Π°Π½Π½ΡΠ΅ Π΄Π΅ΠΉΡΡΠ²ΠΈΡ ΠΌΠΎΠ³ΡΡ Π΄ΠΎΠΏΠΎΠ»Π½ΡΡΡΡΡ.
ΠΠ°ΠΏΡΠΈΠΌΠ΅Ρ, ΠΏΡΠΈ Π·Π°ΠΊΠ°Π·Π΅ ΡΠ°Π±ΠΎΡ Π΄Π»Ρ ΠΏΠΎΡΠ»Π΅Π΄ΡΡΡΠ΅Π³ΠΎ Π²ΠΎΠ·Π²Π΅Π΄Π΅Π½ΠΈΡ ΡΠΎΠΎΡΡΠΆΠ΅Π½ΠΈΠΉ, ΠΊΠ°Π΄Π°ΡΡΡΠΎΠ²ΡΠ΅ ΠΈΠ½ΠΆΠ΅Π½Π΅ΡΡ Π΄ΠΎΠ»ΠΆΠ½Ρ Π½Π΅ ΡΠΎΠ»ΡΠΊΠΎ ΠΎΡΠΎΠ±ΡΠ°Π·ΠΈΡΡ Π½Π° ΠΏΠ»Π°Π½Π΅ Π² ΠΎΠ±ΡΠ΅ΠΌ Π²ΠΈΠ΄Π΅ ΠΎΠ±ΡΠ΅ΠΊΡΡ ΠΈ ΠΎΡΠΎΠ±Π΅Π½Π½ΠΎΡΡΠΈ ΡΠ΅Π»ΡΠ΅ΡΠ° ΠΌΠ΅ΡΡΠ½ΠΎΡΡΠΈ, Π½ΠΎ ΠΈ ΡΠ°ΡΠΏΠ»Π°Π½ΠΈΡΠΎΠ²Π°ΡΡ Π²Π΅ΡΡΠΈΠΊΠ°Π»ΠΈ ΠΈ Π³ΠΎΡΠΈΠ·ΠΎΠ½ΡΠ°Π»ΠΈ Π±ΡΠ΄ΡΡΠ΅ΠΉ ΡΡΡΠΎΠΈΡΠ΅Π»ΡΠ½ΠΎΠΉ ΠΏΠ»ΠΎΡΠ°Π΄ΠΊΠΈ ΠΈ Π½Π΅ΠΎΠ±Ρ ΠΎΠ΄ΠΈΠΌΡΠΉ ΠΎΠ±ΡΠ΅ΠΌ Π·Π΅ΠΌΠ»ΡΠ½ΡΡ ΡΠ°Π±ΠΎΡ.
Π‘ΠΎΡΡΠ°Π²Π»Π΅Π½ΠΈΠ΅ ΠΏΠ»Π°Π½Π°
ΠΠΎΠ»ΡΡΠ΅Π½Π½ΡΠ΅ Π² Ρ
ΠΎΠ΄Π΅ ΡΠΎΠΏΠΎΠ³ΡΠ°ΡΠΈΡΠ΅ΡΠΊΠΎΠΉ ΡΡΠ΅ΠΌΠΊΠΈ Π΄Π°Π½Π½ΡΠ΅ Π·Π°ΠΏΠΈΡΡΠ²Π°ΡΡΡΡ ΠΊΠ°Π΄Π°ΡΡΡΠΎΠ²ΡΠΌΠΈ ΠΈΠ½ΠΆΠ΅Π½Π΅ΡΠ°ΠΌΠΈ Π½Π° ΡΠ»Π΅ΠΊΡΡΠΎΠ½Π½ΡΠΉ Π½ΠΎΡΠΈΡΠ΅Π»Ρ.
ΠΠΎΡΠ»Π΅ ΠΎΠΊΠΎΠ½ΡΠ°Π½ΠΈΡ ΡΠ°Π±ΠΎΡ ΡΡΠΈ Π΄Π°Π½Π½ΡΠ΅ ΠΏΠ΅ΡΠ΅Π΄Π°ΡΡΡΡ ΠΈΠΌΠΈ Π² ΠΊΠ°ΠΌΠ΅ΡΠ°Π»ΡΠ½ΡΠΉ ΠΎΡΠ΄Π΅Π», Π·Π°Π½ΠΈΠΌΠ°ΡΡΠΈΠΉΡΡ Π½Π΅ΠΏΠΎΡΡΠ΅Π΄ΡΡΠ²Π΅Π½Π½ΠΎ ΡΠΎΡΡΠ°Π²Π»Π΅Π½ΠΈΠ΅ΠΌ ΠΏΠ»Π°Π½Π° ΡΠ΅ΡΡΠΈΡΠΎΡΠΈΠΈ.
ΠΡΠ΅ ΠΎΠ±Π½Π°ΡΡΠΆΠ΅Π½Π½ΡΠ΅ Π½Π° ΡΠ΅ΡΡΠΈΡΠΎΡΠΈΠΈ ΠΎΠ±ΡΠ΅ΠΊΡΡ Ρ ΠΏΡΠΈΠ²ΡΠ·ΠΊΠΎΠΉ ΠΊ ΠΊΠΎΠ½ΠΊΡΠ΅ΡΠ½ΡΠΌ ΠΊΠΎΠΎΡΠ΄ΠΈΠ½Π°ΡΠ°ΠΌ Π²ΡΠ½ΠΎΡΡΡΡΡ Π½Π° ΠΊΠ°ΡΡΡ, ΠΌΠ°ΡΡΡΠ°Π± ΠΊΠΎΡΠΎΡΠΎΠΉ Π·Π°ΡΠ°Π½Π΅Π΅ ΠΎΠ³ΠΎΠ²Π°ΡΠΈΠ²Π°Π΅ΡΡΡ Ρ Π·Π°ΠΊΠ°Π·ΡΠΈΠΊΠΎΠΌ Π΄ΠΎ Π½Π°ΡΠ°Π»Π° ΡΠ°Π±ΠΎΡ.
ΠΠΎ ΡΡΡΠΈ, ΡΠΎΠΏΠΎΠ³ΡΠ°ΡΠΈΡΠ΅ΡΠΊΠΈΠΉ ΠΏΠ»Π°Π½ ΠΏΡΠ΅Π΄ΡΡΠ°Π²Π»ΡΠ΅Ρ ΡΠΎΠ±ΠΎΠΉ ΡΠΈΡΡΠΎΠ²ΡΡ ΠΌΠΎΠ΄Π΅Π»Ρ Π·Π΅ΠΌΠ΅Π»ΡΠ½ΠΎΠ³ΠΎ ΡΡΠ°ΡΡΠΊΠ°, ΠΊΠΎΡΠΎΡΠ°Ρ Π² Π΄Π°Π»ΡΠ½Π΅ΠΉΡΠ΅ΠΌ ΡΠ°ΠΊΠΆΠ΅ ΠΏΠ΅ΡΠ΅Π½ΠΎΡΠΈΡΡΡ Π½Π° Π±ΡΠΌΠ°Π³Ρ. ΠΠ½ Π²Ρ ΠΎΠ΄ΠΈΡ Π² ΡΠ΅Ρ Π½ΠΈΡΠ΅ΡΠΊΠΈΠΉ ΠΎΡΡΠ΅Ρ Π² ΠΊΠ°ΡΠ΅ΡΡΠ²Π΅ Π³ΡΠ°ΡΠΈΡΠ΅ΡΠΊΠΎΠΉ ΡΠ°ΡΡΠΈ.
ΠΠ°ΡΠ΅ΠΌ ΡΠΎΡΠΌΠΈΡΡΠ΅ΡΡΡ ΡΠ΅ΠΊΡΡΠΎΠ²ΡΠ΅ ΠΏΡΠ½ΠΊΡΡ Π΄ΠΎΠΊΡΠΌΠ΅Π½ΡΠ°, ΡΠΎΠ΄Π΅ΡΠΆΠ°ΡΠΈΠ΅ ΠΎΡΠ½ΠΎΠ²Π½ΡΠ΅ ΡΠ²Π΅Π΄Π΅Π½ΠΈΡ ΠΎΠ± ΡΡΠ°ΡΡΠΊΠ΅, Π·Π°ΠΊΠ»ΡΡΠ΅Π½ΠΈΠ΅ ΡΠΊΡΠΏΠ΅ΡΡΠ°, Π° ΡΠ°ΠΊΠΆΠ΅ ΡΠ²Π΅Π΄Π΅Π½ΠΈΡ ΠΎΠ± ΠΎΡΠ³Π°Π½ΠΈΠ·Π°ΡΠΈΠΈ, Π²ΡΠΏΠΎΠ»Π½ΡΡΡΠ΅ΠΉ ΡΠ°Π±ΠΎΡ, ΠΈ ΡΡΠΎΠΊ ΠΈΡ ΠΏΡΠΎΠ²Π΅Π΄Π΅Π½ΠΈΡ.
Π€ΠΎΡΠΌΠΈΡΠΎΠ²Π°Π½ΠΈΠ΅ ΠΏΠ»Π°Π½Π° ΠΏΠΎ Π΄Π°Π½Π½ΡΠΌ ΡΠ΅ΠΎΠ΄ΠΎΠ»ΠΈΡΠ½ΠΎΠΉ ΡΡΠ΅ΠΌΠΊΠΈ
Π‘ΡΠ΅ΠΌΠΊΠ° ΠΏΡΠΈ ΠΏΠΎΠΌΠΎΡΠΈ ΡΠΏΠ΅ΡΠΈΠ°Π»ΡΠ½ΠΎΠ³ΠΎ ΠΏΡΠΈΠ±ΠΎΡΠ° Π΄Π»Ρ ΠΈΠ·ΠΌΠ΅ΡΠ΅Π½ΠΈΡ Π²Π΅ΡΡΠΈΠΊΠ°Π»ΡΠ½ΡΡ ΠΈ Π³ΠΎΡΠΈΠ·ΠΎΠ½ΡΠ°Π»ΡΠ½ΡΡ ΡΠ³Π»ΠΎΠ² β ΡΠ΅ΠΎΠ΄ΠΎΠ»ΠΈΡΠ°, Ρ ΠΎΠ΄Π½ΠΎΠ²ΡΠ΅ΠΌΠ΅Π½Π½ΡΠΌ ΠΈΡΠΏΠΎΠ»ΡΠ·ΠΎΠ²Π°Π½ΠΈΠ΅ΠΌ ΡΠ°Π·Π»ΠΈΡΠ½ΡΡ Π΄Π»ΠΈΠ½Π½ΠΎΠΌΠ΅ΡΠΎΠ² (ΡΡΠ»Π΅ΡΠΊΠΈ ΠΈΠ»ΠΈ Π»Π΅Π½ΡΡ), ΠΏΠΎΠ·Π²ΠΎΠ»ΡΠ΅Ρ ΠΏΠΎΠ»ΡΡΠΈΡΡ ΠΊΠΎΠ½ΡΡΡΠ½ΡΠΉ ΠΏΠ»Π°Π½ ΡΠ΅ΡΡΠΈΡΠΎΡΠΈΠΈ.
ΠΠ±ΡΡΠ½ΠΎ ΡΠΎΡΠΌΠΈΡΠΎΠ²Π°Π½ΠΈΠ΅ ΠΏΠ»Π°Π½Π° ΠΏΠΎ Π΄Π°Π½Π½ΡΠΌ ΡΠ΅ΠΎΠ΄ΠΎΠ»ΠΈΡΠ½ΠΎΠ³ΠΎ ΠΈΠ·ΠΌΠ΅ΡΠ΅Π½ΠΈΡ ΠΏΡΠΎΠΈΠ·Π²ΠΎΠ΄ΠΈΡΡΡ ΠΏΡΠΈ Π½Π΅ΠΎΠ±Ρ ΠΎΠ΄ΠΈΠΌΠΎΡΡΠΈ ΠΏΠΎΠ»ΡΡΠ΅Π½ΠΈΡ ΡΠΈΡΡΠ°ΡΠΈΠΎΠ½Π½ΠΎΠ³ΠΎ ΠΏΠ»Π°Π½Π° ΠΎΡΠ½ΠΎΡΠΈΡΠ΅Π»ΡΠ½ΠΎ ΡΠ°Π²Π½ΠΈΠ½Π½ΠΎΠΉ ΡΠ΅ΡΡΠΈΡΠΎΡΠΈΠΈ Π² ΠΊΡΡΠΏΠ½ΠΎΠΌ ΠΌΠ°ΡΡΡΠ°Π±Π΅.
ΠΡΠΈΠΌΠ΅Π½ΡΠ΅ΡΡΡ ΡΠ΅ΠΎΠ΄ΠΎΠ»ΠΈΡΠ½Π°Ρ ΡΡΠ΅ΠΌΠΊΠ°:
- Π Π½Π°ΡΠ΅Π»Π΅Π½Π½ΡΡ ΠΏΡΠ½ΠΊΡΠ°Ρ ;
- ΠΠ° ΡΡΠ°ΡΡΠΊΠ°Ρ ΡΡΡΠΎΠΉΠΊΠΈ;
- ΠΠ° ΡΠΎΡΡΠ΅ ΠΈΠ»ΠΈ ΠΏΡΠΈ ΠΈΠ·ΠΌΠ΅ΡΠ΅Π½ΠΈΠΈ ΡΠ³ΠΎΠ΄ΠΈΠΉ ΡΠ΅Π»ΡΡΠΊΠΎΡ ΠΎΠ·ΡΠΉΡΡΠ²Π΅Π½Π½ΠΎΠ³ΠΎ ΡΠΈΠΏΠ°.
ΠΠΎΠ΄ΠΎΠ±Π½ΡΠ΅ ΡΠ°Π±ΠΎΡΡ ΠΏΠΎΠΌΠΎΠ³Π°ΡΡ Π² ΡΠ΅Π·ΡΠ»ΡΡΠ°ΡΠ΅ ΠΏΠΎΠ»ΡΡΠΈΡΡ ΠΎΡΠΎΠ±ΡΠΉ ΠΏΠ»Π°Π½ β ΡΠΈΡΡΠ°ΡΠΈΡ, Ρ ΠΏΠΎΠ΄ΡΠΎΠ±Π½ΡΠΌ ΠΎΠ±ΠΎΠ·Π½Π°ΡΠ΅Π½ΠΈΠ΅ΠΌ Π²ΡΠ΅Ρ ΠΈΠΌΠ΅ΡΡΠΈΡ ΡΡ Π½Π° ΡΡΠ°ΡΡΠΊΠ΅ ΠΎΠ±ΡΠ΅ΠΊΡΠΎΠ².
ΠΡΠΎΠ±Π΅Π½Π½ΠΎΡΡΠΈ
ΠΡΠ½ΠΎΠ²ΠΎΠΉ ΠΏΡΠΎΠ²ΠΎΠ΄ΠΈΠΌΡΡ Π·Π°ΠΌΠ΅ΡΠΎΠ² ΡΠ²Π»ΡΠ΅ΡΡΡ ΡΠΈΡΡΠ΅ΠΌΠ° ΡΠ΅ΠΎΠ΄ΠΎΠ»ΠΈΡΠ½ΡΡ Ρ ΠΎΠ΄ΠΎΠ², ΠΏΡΠ΅Π΄ΡΡΠ°Π²Π»ΡΡΡΠΈΡ ΡΠΎΠ±ΠΎΠΉ ΡΠ»ΠΎΠΆΠ΅Π½Π½ΡΠ΅ Π² ΠΌΠ½ΠΎΠ³ΠΎΡΠ³ΠΎΠ»ΡΠ½ΠΈΠΊΠΈ Π»ΠΈΠ½ΠΈΠΈ. ΠΠ·ΠΌΠ΅ΡΠ΅Π½ΠΈΠ΅ ΠΈΡ Π΄Π»ΠΈΠ½, Π° ΡΠ°ΠΊΠΆΠ΅ ΠΏΠΎΠ²ΠΎΡΠΎΡΠ½ΡΡ ΡΠ³Π»ΠΎΠ² ΠΏΠΎΠ·Π²ΠΎΠ»ΡΠ΅Ρ ΡΠΎΡΡΠ°Π²ΠΈΡΡ ΡΠΈΡΡΠ°ΡΠΈΠΎΠ½Π½ΡΡ ΠΊΠ°ΡΡΠΈΠ½Ρ ΠΌΠ΅ΡΡΠ½ΠΎΡΡΠΈ.
Π‘ΡΡΠ΅ΡΡΠ²ΡΠ΅Ρ Π½Π΅ΡΠΊΠΎΠ»ΡΠΊΠΎ ΠΌΠ΅ΡΠΎΠ΄ΠΎΠ², ΠΈΡΠΏΠΎΠ»ΡΠ·ΡΡΡΠΈΡ
ΡΡ ΠΏΡΠΈ ΠΏΡΠΎΠ²Π΅Π΄Π΅Π½ΠΈΠΈ ΡΠ΅ΠΎΠ΄ΠΎΠ»ΠΈΡΠ½ΠΎΠΉ ΡΡΠ΅ΠΌΠΊΠΈ:
- ΠΠ΅ΡΠΏΠ΅Π½Π΄ΠΈΠΊΡΠ»ΡΡΠΎΠ²;
- Π‘ΡΠ²ΠΎΡΠΎΠ²;
- ΠΠΈΠ½Π΅ΠΉΠ½ΠΎΠΉ Π·Π°ΡΠ΅ΡΠΊΠΈ;
- ΠΠΎΠ»ΡΡΠ½ΡΡ ΠΊΠΎΠΎΡΠ΄ΠΈΠ½Π°Ρ;
- Π£Π³Π»ΠΎΠ²ΠΎΠΉ Π·Π°ΡΠ΅ΡΠΊΠΈ.
ΠΡΠ±ΠΎΡ ΠΊΠΎΠ½ΠΊΡΠ΅ΡΠ½ΠΎΠ³ΠΎ ΡΠΏΠΎΡΠΎΠ±Π° Π·Π°Π²ΠΈΡΠΈΡ ΠΎΡ Ρ Π°ΡΠ°ΠΊΡΠ΅ΡΠΈΡΡΠΈΠΊ ΠΈΠ·ΠΌΠ΅ΡΡΠ΅ΠΌΠΎΠΉ ΡΠ΅ΡΡΠΈΡΠΎΡΠΈΠΈ.
ΠΡΠΎΠ±Π΅Π½Π½ΠΎΡΡΡΡ Π΄Π°Π½Π½ΠΎΠ³ΠΎ Π²ΠΈΠ΄Π° ΡΡΠ΅ΠΌΠΊΠΈ ΡΠ²Π»ΡΠ΅ΡΡΡ Π½Π΅ΠΎΠ±Ρ ΠΎΠ΄ΠΈΠΌΠΎΡΡΡ ΠΎΠ±ΠΌΠ΅ΡΠ° Π²ΡΠ΅Ρ ΠΎΠ±ΡΠ΅ΠΊΡΠΎΠ², Π½Π°Ρ ΠΎΠ΄ΡΡΠΈΡ ΡΡ Π½Π° ΡΡΠ°ΡΡΠΊΠ΅. ΠΡΠΈ ΡΡΠΎΠΌ ΡΠ΅Π»ΡΠ΅Ρ Π½Π΅ ΡΡΠΈΡΡΠ²Π°Π΅ΡΡΡ: ΠΏΡΠΈ Π½Π΅ΠΎΠ±Ρ ΠΎΠ΄ΠΈΠΌΠΎΡΡΠΈ Π΅Π³ΠΎ ΠΈΠ·ΠΎΠ±ΡΠ°ΠΆΠ΅Π½ΠΈΡ Π΄ΠΎΠΏΠΎΠ»Π½ΠΈΡΠ΅Π»ΡΠ½ΠΎ ΠΏΡΠΎΠΈΠ·Π²ΠΎΠ΄ΠΈΡΡΡ Π½ΠΈΠ²Π΅Π»ΠΈΡΠΎΠ²Π°Π½ΠΈΠ΅.
ΠΠΎΡΡΡΠΎΠ΅Π½ΠΈΠ΅
Π Π΅Π·ΡΠ»ΡΡΠ°ΡΡ ΠΈΠ·ΠΌΠ΅ΡΠΈΡΠ΅Π»ΡΠ½ΡΡ ΡΠ°Π±ΠΎΡ, ΠΏΡΠΎΠ²ΠΎΠ΄ΠΈΠΌΡΡ Π² Ρ ΠΎΠ΄Π΅ ΡΠ΅ΠΎΠ΄ΠΎΠ»ΠΈΡΠ½ΠΎΠΉ ΡΡΠ΅ΠΌΠΊΠΈ, ΠΏΠ΅ΡΠ΅Π½ΠΎΡΡΡΡΡ Π² Π°Π±ΡΠΈΡ. ΠΠΎΠ΄ Π΄Π°Π½Π½ΡΠΌ Π½Π°Π·Π²Π°Π½ΠΈΠ΅ΠΌ ΠΏΠΎΠ΄ΡΠ°Π·ΡΠΌΠ΅Π²Π°Π΅ΡΡΡ ΡΠ΅ΡΡΠ΅ΠΆ ΠΈΠ»ΠΈ ΡΡ Π΅ΠΌΠ° Ρ Π·Π°ΠΏΠΈΡΡΠΌΠΈ ΡΠ³Π»ΠΎΠ²ΡΡ ΠΈ Π»ΠΈΠ½Π΅ΠΉΠ½ΡΡ ΠΈΠ·ΠΌΠ΅ΡΠ΅Π½ΠΈΠΉ.
Π‘ΠΎΡΡΠ°Π²Π»Π΅Π½ΠΈΠ΅ ΠΏΠ»Π°Π½Π° Π½Π°ΡΠΈΠ½Π°Π΅ΡΡΡ Ρ Π½Π°Π½Π΅ΡΠ΅Π½ΠΈΡ ΡΠ΅ΡΠΊΠΈ ΠΊΠΎΠΎΡΠ΄ΠΈΠ½Π°Ρ. ΠΠ½Π° Π²ΡΠ³Π»ΡΠ΄ΠΈΡ ΠΊΠ°ΠΊ ΡΡΠ΄Ρ ΠΎΡΠΈΡΡΠΎΠ²Π°Π½Π½ΡΡ Π»ΠΈΠ½ΠΈΠΉ, ΠΏΡΠΎΠ²Π΅Π΄Π΅Π½Π½ΡΡ ΠΏΠΎ Π³ΠΎΡΠΈΠ·ΠΎΠ½ΡΠ°Π»ΠΈ ΠΈ Π²Π΅ΡΡΠΈΠΊΠ°Π»ΠΈ.
ΠΠ°ΡΠ΅ΠΌ Π²ΡΡΠΈΡΠ»ΡΡΡΡΡ ΠΊΠΎΠΎΡΠ΄ΠΈΠ½Π°ΡΡ Π²Π΅ΡΡΠΈΠ½ ΡΠ΅ΠΎΠ΄ΠΎΠ»ΠΈΡΠ½ΡΡ Ρ ΠΎΠ΄ΠΎΠ² ΠΈ Π½Π°Π½ΠΎΡΡΡΡΡ Π½Π° ΠΈΠΌΠ΅ΡΡΡΡΡΡ ΡΠ΅ΡΠΊΡ. Π ΡΠΎΠΎΡΠ²Π΅ΡΡΡΠ²ΠΈΠΈ Ρ Π½ΠΈΠΌΠΈ ΠΈ Π²ΡΡΠ΅ΡΡΠΈΠ²Π°Π΅ΡΡΡ ΡΠΈΡΡΠ°ΡΠΈΡ, ΠΏΠΎΠ»ΡΡΠ΅Π½Π½Π°Ρ Π² Ρ ΠΎΠ΄Π΅ ΠΈΠ·ΠΌΠ΅ΡΠ΅Π½ΠΈΠΉ Π½Π° ΠΌΠ΅ΡΡΠ½ΠΎΡΡΠΈ.
Π‘ΠΏΠΎΡΠΎΠ±Ρ Π½Π°Π½Π΅ΡΠ΅Π½ΠΈΡ ΠΏΡΠΈΡΠΎΠ΄Π½ΡΡ ΠΈ ΠΈΡΠΊΡΡΡΡΠ²Π΅Π½Π½ΡΡ ΠΎΠ±ΡΠ΅ΠΊΡΠΎΠ²
ΠΠ° ΡΠΎΡΡΠ°Π²Π»Π΅Π½Π½ΠΎΠΌ Π² Ρ ΠΎΠ΄Π΅ ΠΏΡΠΎΠ²Π΅Π΄Π΅Π½ΠΈΡ ΡΠ΅ΠΎΠ΄ΠΎΠ»ΠΈΡΠ½ΠΎΠΉ ΡΡΠ΅ΠΌΠΊΠΈ ΠΏΠ»Π°Π½Π΅ ΠΎΡΠΎΠ±ΡΠ°ΠΆΠ°ΡΡΡΡ Π²ΡΠ΅ ΠΎΠ±ΡΠ΅ΠΊΡΡ ΠΌΠ΅ΡΡΠ½ΠΎΡΡΠΈ. ΠΠ΄Π½Π°ΠΊΠΎ, Π² ΡΠΎΠΎΡΠ²Π΅ΡΡΡΠ²ΠΈΠΈ Ρ ΠΏΡΠΈΠ½ΡΡΠΎΠΉ ΡΠΈΡΡΠ΅ΠΌΠΎΠΉ ΡΡΠ»ΠΎΠ²Π½ΡΡ Π·Π½Π°ΠΊΠΎΠ², ΠΎΠ±ΠΎΠ·Π½Π°ΡΠ΅Π½ΠΈΠ΅ ΠΈΡΠΊΡΡΡΡΠ²Π΅Π½Π½ΡΡ ΠΈ ΠΏΡΠΈΡΠΎΠ΄Π½ΡΡ ΠΎΠ±ΡΠ΅ΠΊΡΠΎΠ² ΡΠ°Π·Π»ΠΈΡΠ°Π΅ΡΡΡ.
ΠΠ»Ρ ΠΎΡΠΎΠ±ΡΠ°ΠΆΠ΅Π½ΠΈΡ Π²ΠΎΠ·Π²Π΅Π΄Π΅Π½Π½ΡΡ ΡΠ΅Π»ΠΎΠ²Π΅ΠΊΠΎΠΌ ΡΠΎΠΎΡΡΠΆΠ΅Π½ΠΈΠΉ ΠΈΡΠΏΠΎΠ»ΡΠ·ΡΡΡΡΡ ΡΠ΅ΡΠΊΠΈΠ΅ ΠΊΠΎΠ½ΡΡΡΡ. ΠΠΎΠ΄ΠΎΠ±Π½ΡΠΌΠΈ Π»ΠΈΠ½ΠΈΡΠΌΠΈ ΠΎΠ±ΠΎΠ·Π½Π°ΡΠ°ΡΡΡΡ:
- ΠΠ°ΠΏΠΈΡΠ°Π»ΡΠ½ΡΠ΅ ΠΏΠΎΡΡΡΠΎΠΉΠΊΠΈ;
- ΠΠ³ΡΠ°Π΄Ρ;
- ΠΠΎΠ»ΠΎΠ΄ΡΡ;
- ΠΠ½ΡΠ΅ ΠΎΠ±ΡΠ΅ΠΊΡΡ ΠΌΠ΅ΡΡΠ½ΠΎΡΡΠΈ Ρ ΡΠ΅ΡΠΊΠΎ ΠΎΠΏΠΎΠ·Π½Π°Π²Π°Π΅ΠΌΡΠΌΠΈ Π³ΡΠ°Π½ΠΈΡΠ°ΠΌΠΈ.
ΠΡΠΈΡΠΎΠ΄Π½ΡΠ΅ ΠΎΠ±ΡΠ΅ΠΊΡΡ ΠΎΠ±ΠΎΠ·Π½Π°ΡΠ°ΡΡΡΡ ΠΏΡΠΈ ΠΏΠΎΠΌΠΎΡΠΈ Π½Π΅ΡΠ΅ΡΠΊΠΈΡ
ΠΊΠΎΠ½ΡΡΡΠΎΠ².
ΠΠΎΠ΄ΠΎΠ±Π½ΡΠΌ ΠΎΠ±ΡΠ°Π·ΠΎΠΌ Π½Π° ΠΏΠ»Π°Π½Π΅ ΠΎΡΠΎΠ±ΡΠ°ΠΆΠ°ΡΡΡΡ:
- ΠΡΠ°Π½ΠΈΡΡ ΠΏΠ°ΡΠ΅Π½;
- ΠΠΎΠ½ΡΡΡΡ Π»Π΅ΡΠ°;
- ΠΠ΅ΡΠ΅ΡΠ΅ΡΠ΅Π½ΠΈΠ΅ Π³ΡΡΠ½ΡΠΎΠ²ΡΡ Π΄ΠΎΡΠΎΠ³ ΠΈΠ»ΠΈ ΡΡΠΎΠΏΠΈΠ½ΠΎΠΊ;
- Π£ΡΠ΅Π·Ρ ΡΠ΅ΠΊ ΠΈ Π΄ΡΡΠ³ΠΈΡ Π²ΠΎΠ΄Π½ΡΡ ΠΎΠ±ΡΠ΅ΠΊΡΠΎΠ².
ΠΠΎΠ΄ΠΎΠ±Π½ΠΎΠ΅ ΠΎΠ±ΠΎΠ·Π½Π°ΡΠ΅Π½ΠΈΠ΅ ΠΎΠ±ΡΡΡΠ½ΡΠ΅ΡΡΡ ΠΏΠΎΡΡΠΎΡΠ½Π½ΠΎΠΉ ΠΈΠ·ΠΌΠ΅Π½ΡΠΈΠ²ΠΎΡΡΡΡ Π³ΡΠ°Π½ΠΈΡ ΠΏΡΠΈΡΠΎΠ΄Π½ΡΡ ΠΎΠ±ΡΠ΅ΠΊΡΠΎΠ².
ΠΠ°ΠΊ ΡΠ΄Π΅Π»Π°ΡΡ ΡΠΎΠΏΠΎΡΡΠ΅ΠΌΠΊΡ ΡΠ°ΠΌΠΎΠΌΡ
Π’ΠΎΡΠ½ΡΡ ΠΎΡΠ΅Π½ΠΊΡ ΠΌΠ΅ΡΡΠ½ΠΎΡΡΠΈ ΠΌΠΎΠΆΠ΅Ρ ΠΏΡΠΎΠΈΠ·Π²Π΅ΡΡΠΈ ΡΠΎΠ»ΡΠΊΠΎ Π°ΡΡΠ΅ΡΡΠΎΠ²Π°Π½Π½ΡΠΉ ΡΠΏΠ΅ΡΠΈΠ°Π»ΠΈΡΡ, ΡΠ°ΡΠΏΠΎΠ»Π°Π³Π°ΡΡΠΈΠΉ Π½Π°Π±ΠΎΡΠΎΠΌ Π΄ΠΎΡΠΎΠ³ΠΎΡΡΠΎΡΡΠ΅Π³ΠΎ ΠΈΠ·ΠΌΠ΅ΡΠΈΡΠ΅Π»ΡΠ½ΠΎΠ³ΠΎ ΠΎΠ±ΠΎΡΡΠ΄ΠΎΠ²Π°Π½ΠΈΡ.
Π’ΠΎΠ»ΡΠΊΠΎ ΡΠΎΡΡΠ°Π²Π»Π΅Π½Π½ΡΠΉ Π·Π°Π²Π΅ΡΠ΅Π½Π½ΡΠΉ Π² ΡΠΎΠΎΡΠ²Π΅ΡΡΡΠ²ΠΈΠΈ Ρ ΡΡΠ΅Π±ΠΎΠ²Π°Π½ΠΈΡΠΌΠΈ Π·Π°ΠΊΠΎΠ½ΠΎΠ΄Π°ΡΠ΅Π»ΡΡΡΠ²Π° ΠΏΠ»Π°Π½ Π±ΡΠ΄Π΅Ρ ΡΡΠΈΡΠ°ΡΡΡΡ ΠΎΡΠΈΡΠΈΠ°Π»ΡΠ½ΡΠΌ Π΄ΠΎΠΊΡΠΌΠ΅Π½ΡΠΎΠΌ, ΠΏΠΎΠ΄ΡΠ²Π΅ΡΠΆΠ΄Π°ΡΡΠΈΠΌ ΠΏΡΠΎΠ²Π΅Π΄Π΅Π½ΠΈΠ΅ Π·Π΅ΠΌΠ»Π΅ΡΡΡΡΠΎΠΈΡΠ΅Π»ΡΠ½ΡΡ ΡΠ°Π±ΠΎΡ.
ΠΠ΄Π½Π°ΠΊΠΎ Π΄Π»Ρ ΡΠΎΠ±ΡΡΠ²Π΅Π½Π½ΡΡ Π½ΡΠΆΠ΄ ΠΌΠΎΠΆΠ½ΠΎ Π²ΠΎΡΠΏΠΎΠ»ΡΠ·ΠΎΠ²Π°ΡΡΡΡ ΠΏΠ»Π°Π½ΠΎΠΌ Π·Π΅ΠΌΠ΅Π»ΡΠ½ΠΎΠ³ΠΎ ΡΡΠ°ΡΡΠΊΠ°, ΡΠΎΡΡΠ°Π²Π»Π΅Π½Π½ΡΠΌ ΡΠΎΠ±ΡΡΠ²Π΅Π½Π½ΠΎΡΡΡΠ½ΠΎ. ΠΠ½ ΠΏΠΎΠ·Π²ΠΎΠ»ΡΠ΅Ρ ΠΏΡΠΎΠΈΠ·Π²Π΅ΡΡΠΈ ΡΠ°ΡΡΠ΅ΡΡ, Π½Π΅ΠΎΠ±Ρ ΠΎΠ΄ΠΈΠΌΡΠ΅ Π΄Π»Ρ Π½Π΅Π·Π½Π°ΡΠΈΡΠ΅Π»ΡΠ½ΡΡ ΠΈΠ·ΠΌΠ΅Π½Π΅Π½ΠΈΠΉ ΠΎΠ±Π»ΠΈΠΊΠ° ΡΡΠ°ΡΡΠΊΠ°, Π½Π°ΠΏΡΠΈΠΌΠ΅Ρ, ΠΏΡΠΎΠ»ΠΎΠΆΠ΅Π½ΠΈΡ Π΄ΠΎΡΠΎΠΆΠ΅ΠΊ ΠΈΠ»ΠΈ ΡΠΎΠ·Π΄Π°Π½ΠΈΡ ΠΈΡΠΊΡΡΡΡΠ²Π΅Π½Π½ΡΡ Π²ΠΎΠ΄ΠΎΠ΅ΠΌΠΎΠ².
ΠΠ΅ΠΎΠ±Ρ ΠΎΠ΄ΠΈΠΌΡΠ΅ ΠΈΠ½ΡΡΡΡΠΌΠ΅Π½ΡΡ
ΠΠ°Π±ΠΎΡ ΡΡΠ΅Π±ΡΡΡΠΈΡ ΡΡ Π΄Π»Ρ ΠΏΡΠΎΠ²Π΅Π΄Π΅Π½ΠΈΡ Π·Π°ΠΌΠ΅ΡΠΎΠ² ΠΈΠ½ΡΡΡΡΠΌΠ΅Π½ΡΠΎΠ² Π΄ΠΎΡΡΠ°ΡΠΎΡΠ½ΠΎ ΠΏΡΠΎΡΡ. ΠΠ»Ρ ΠΏΡΠΎΠ²Π΅Π΄Π΅Π½ΠΈΡ ΡΠΎΠΏΠΎΠ³ΡΠ°ΡΠΈΡΠ΅ΡΠΊΠΎΠΉ ΡΡΠ΅ΠΌΠΊΠΈ ΡΠ°ΠΌΠΎΠΌΡ ΠΏΠΎΡΡΠ΅Π±ΡΡΡΡΡ:
- Π’ΡΠΆΠ΅Π»ΡΠΉ ΠΌΠΎΠ»ΠΎΡΠΎΠΊ.
- 1,5-ΠΌΠ΅ΡΡΠΎΠ²ΡΠ΅ ΠΊΠΎΠ»ΡΡ ΠΈΠ· Π΄Π΅ΡΠ΅Π²Π°.
- Π‘ΡΡΠΎΠΈΡΠ΅Π»ΡΠ½ΡΠΉ ΡΡΠΎΠ²Π΅Π½Ρ ΠΈΠ»ΠΈ Π»Π°Π·Π΅ΡΠ½Π°Ρ ΡΠΊΠ°Π·ΠΊΠ°.
- Π ΡΠ»Π΅ΡΠΊΠ°, ΡΠ°ΡΡΡΠΈΡΠ°Π½Π½Π°Ρ Π½Π΅ ΠΌΠ΅Π½Π΅Π΅ ΡΠ΅ΠΌ Π½Π° 30 ΠΌΠ΅ΡΡΠΎΠ².
- ΠΠ»ΠΈΠ½Π½ΡΠ΅ Π²Π΅ΡΠ΅Π²ΠΊΠΈ.
Π‘Π»Π΅Π΄ΡΠ΅Ρ ΠΏΠΎΠΌΠ½ΠΈΡΡ, ΡΡΠΎ ΠΏΠΎΠ»ΡΡΠ΅Π½Π½ΡΠ΅ Ρ ΠΈΡΠΏΠΎΠ»ΡΠ·ΠΎΠ²Π°Π½ΠΈΠ΅ΠΌ ΠΏΠΎΠ΄ΠΎΠ±Π½ΡΡ ΠΈΠ½ΡΡΡΡΠΌΠ΅Π½ΡΠΎΠ² ΡΠ΅Π·ΡΠ»ΡΡΠ°ΡΡ ΡΠ²Π»ΡΡΡΡΡ ΠΏΡΠΈΠ±Π»ΠΈΠ·ΠΈΡΠ΅Π»ΡΠ½ΡΠΌΠΈ ΠΈ Π²ΠΎΠ·Π²ΠΎΠ΄ΠΈΡΡ Ρ ΠΎΠΏΠΎΡΠΎΠΉ Π½Π° Π½ΠΈΡ ΠΊΠ°ΠΏΠΈΡΠ°Π»ΡΠ½ΡΠ΅ ΡΡΡΠΎΠ΅Π½ΠΈΡ Π½Π΅Π»ΡΠ·Ρ.
ΠΠΎΡΡΠ΄ΠΎΠΊ ΠΏΡΠΎΠ²Π΅Π΄Π΅Π½ΠΈΡ
ΠΠΎΠ΄Π³ΠΎΡΠΎΠ²Π»Π΅Π½Π½ΡΠ΅ Π΄Π΅ΡΠ΅Π²ΡΠ½Π½ΡΠ΅ ΡΠ΅ΡΡΡ ΡΡΡΠ°Π½Π°Π²Π»ΠΈΠ²Π°ΡΡΡΡ Π² Π±Π°Π·ΠΎΠ²ΡΡ ΡΠΎΡΠΊΠ°Ρ , Π² ΠΊΠ°ΡΠ΅ΡΡΠ²Π΅ ΠΊΠΎΡΠΎΡΡΡ Π²ΡΡΡΡΠΏΠ°ΡΡ ΡΠ³Π»Ρ ΡΡΠ°ΡΡΠΊΠ°. ΠΠ΅ΠΆΠ΄Ρ Π½ΠΈΠΌΠΈ ΠΏΡΠΎΡΡΠ³ΠΈΠ²Π°Π΅ΡΡΡ Π²Π΅ΡΠ΅Π²ΠΊΠ°, ΠΊΠΎΡΠΎΡΠ°Ρ Π½Π΅ Π΄ΠΎΠ»ΠΆΠ½Π° ΠΏΡΠΎΠ²ΠΈΡΠ°ΡΡ.
Π’ΠΎΡΠΊΠ° ΠΊΡΠ΅ΠΏΠ»Π΅Π½ΠΈΡ ΠΏΡΠΈ ΡΡΠΎΠΌ ΡΠ°ΡΠΏΠΎΠ»Π°Π³Π°Π΅ΡΡΡ Π½Π° Π²ΡΡΠΎΡΠ΅ ΠΌΠ΅ΡΡΠ° ΠΎΡ Π·Π΅ΠΌΠ½ΠΎΠΉ ΠΏΠΎΠ²Π΅ΡΡ Π½ΠΎΡΡΠΈ. ΠΠΏΡΠ΅Π΄Π΅Π»ΠΈΡΡ ΡΠΎΡΠ½ΠΎΠ΅ ΠΏΠΎΠ»ΠΎΠΆΠ΅Π½ΠΈΠ΅ ΠΌΠΎΠΆΠ½ΠΎ ΠΏΡΠΈ ΠΏΠΎΠΌΠΎΡΠΈ ΡΡΡΠΎΠΈΡΠ΅Π»ΡΠ½ΠΎΠ³ΠΎ ΡΡΠΎΠ²Π½Ρ. ΠΠ°Π»Π΅Π΅ ΡΠ»Π΅Π΄ΡΠ΅Ρ ΠΏΡΠΈ ΠΏΠΎΠΌΠΎΡΠΈ ΡΡΠ»Π΅ΡΠΊΠΈ Π·Π°ΠΌΠ΅ΡΠΈΡΡ ΡΠ°ΡΡΡΠΎΡΠ½ΠΈΠ΅ ΠΎΡ Π·Π΅ΠΌΠ»ΠΈ Π΄ΠΎ Π½Π°ΡΡΠ½ΡΡΠΎΠΉ Π²Π΅ΡΠ΅Π²ΠΊΠΈ ΠΈ Π·Π°ΡΠΈΠΊΡΠΈΡΠΎΠ²Π°ΡΡ ΠΏΠΎΠ»ΡΡΠΈΠ²ΡΠΈΠ΅ΡΡ ΡΠ΅Π·ΡΠ»ΡΡΠ°ΡΡ Π½Π° ΡΠ΅ΡΡΠ΅ΠΆΠ΅ ΠΌΠ΅ΡΡΠ½ΠΎΡΡΠΈ.
Π‘Π»Π΅Π΄ΡΡΡΠΈΠΌ ΡΠ°Π³ΠΎΠΌ ΡΠ²Π»ΡΠ΅ΡΡΡ ΡΠΎΠΏΠΎΡΡΠ°Π²Π»Π΅Π½ΠΈΠ΅ ΠΏΠΎΠ»ΡΡΠ΅Π½Π½ΡΡ ΡΠ΅Π·ΡΠ»ΡΡΠ°ΡΠΎΠ² Ρ ΠΊΠΎΠ½ΠΊΡΠ΅ΡΠ½ΡΠΌ ΠΏΠ»Π°Π½ΠΎΠΌ ΠΌΠ΅ΡΡΠ½ΠΎΡΡΠΈ, ΠΊΠΎΡΠΎΡΡΠΉ ΠΌΠΎΠΆΠ½ΠΎ ΡΠΊΠ°ΡΠ°ΡΡ Π½Π° ΡΠ°ΠΉΡΠ΅ Π ΠΎΡΡΠ΅Π΅ΡΡΡΠ°. ΠΡΠΈ ΡΡΠΎΠΌ Π²Π°ΠΆΠ½ΠΎ ΡΡΠ΅ΡΡΡ ΠΌΠ°ΡΡΡΠ°Π± ΡΠΎΠ±ΡΡΠ²Π΅Π½Π½ΠΎΠ³ΠΎ ΡΠ΅ΡΡΠ΅ΠΆΠ° ΠΈ ΠΎΡΠΈΡΠΈΠ°Π»ΡΠ½ΠΎΠΉ ΠΊΠ°ΡΡΡ.
Π Π°ΡΠΏΠΎΠ»Π°Π³Π°ΡΡ ΠΎΠ±ΡΠ΅ΠΊΡΡ, ΠΊΠΎΡΠΎΡΡΠ΅ ΠΏΠ»Π°Π½ΠΈΡΡΠ΅ΡΡΡ Π²ΠΎΠ·Π²Π΅ΡΡΠΈ, ΡΠ»Π΅Π΄ΡΠ΅Ρ ΠΎΠ±ΡΠ·Π°ΡΠ΅Π»ΡΠ½ΠΎ Ρ ΡΡΠ΅ΡΠΎΠΌ ΠΊΡΠ°ΡΠ½ΡΡ Π»ΠΈΠ½ΠΈΠΉ.
Π‘ΡΠΎΠΊΠΈ Π΄Π΅ΠΉΡΡΠ²ΠΈΡ ΡΠ΅Π·ΡΠ»ΡΡΠ°ΡΠΎΠ²
Π Π°ΡΠΏΡΠΎΡΡΡΠ°Π½Π΅Π½ΠΎ ΠΌΠ½Π΅Π½ΠΈΠ΅, ΡΡΠΎ Π°ΠΊΡΡΠ°Π»ΡΠ½ΡΠΌΠΈ ΡΠ΅Π·ΡΠ»ΡΡΠ°ΡΡ ΡΠΎΠΏΠΎΠ³ΡΠ°ΡΠΈΡΠ΅ΡΠΊΠΎΠΉ ΡΡΠ΅ΠΌΠΊΠΈ Π΄Π΅ΠΉΡΡΠ²ΠΈΡΠ΅Π»ΡΠ½Ρ 2 Π³ΠΎΠ΄Π°, ΠΎ ΡΠ΅ΠΌ ΡΠΎΠΎΠ±ΡΠ°Π΅ΡΡΡ Π² ΠΏΡΠ½ΠΊΡΠ°Ρ 189-199 Π‘Π 11-104-97. ΠΠ΄Π½Π°ΠΊΠΎ ΡΡΠΈΡΠ°ΡΡ, ΡΡΠΎ ΡΡΠΎΠΊ Π΄Π΅ΠΉΡΡΠ²ΠΈΡ ΡΠ΅Π·ΡΠ»ΡΡΠ°ΡΠΎΠ² ΡΠΎΠΏΠΎΡΡΠ΅ΠΌΠΊΠΈ ΠΏΡΠΈΠ²ΡΠ·Π°Π½ ΠΊ ΠΊΠΎΠ½ΠΊΡΠ΅ΡΠ½ΡΠΌ Π²ΡΠ΅ΠΌΠ΅Π½Π½ΡΠΌ ΡΠ°ΠΌΠΊΠ°ΠΌ ΠΎΡΠΈΠ±ΠΎΡΠ½ΠΎ.
ΠΠ°ΠΆΠ΅ ΠΏΠΎ ΠΏΡΠΎΡΠ΅ΡΡΠ²ΠΈΠΈ 2 Π»Π΅Ρ ΠΏΡΠΈ Π½Π΅Π·Π½Π°ΡΠΈΡΠ΅Π»ΡΠ½ΡΡ ΠΈΠ·ΠΌΠ΅Π½Π΅Π½ΠΈΡΡ ΠΌΠ΅ΡΡΠ½ΠΎΡΡΠΈ ΠΏΡΠΎΠ²ΠΎΠ΄ΠΈΡΡ ΡΠ°Π±ΠΎΡΡ Π·Π°Π½ΠΎΠ²ΠΎ Π½Π΅ΠΎΠ±ΡΠ·Π°ΡΠ΅Π»ΡΠ½ΠΎ: Π΄ΠΎΡΡΠ°ΡΠΎΡΠ½ΠΎ, ΡΡΠΎΠ±Ρ Π³Π΅ΠΎΠ΄Π΅Π·ΠΈΡΡΡ ΠΏΠΎΠ΄ΠΏΠΈΡΠ°Π»ΠΈ ΠΠΊΡ ΠΎ Π΄ΠΎΡΡΠΎΠ²Π΅ΡΠ½ΠΎΡΡΠΈ ΡΠΆΠ΅ ΠΈΠΌΠ΅ΡΡΠΈΡ ΡΡ ΡΠ²Π΅Π΄Π΅Π½ΠΈΠΉ.
Π‘ Π΄ΡΡΠ³ΠΎΠΉ ΡΡΠΎΡΠΎΠ½Ρ Π΄Π°ΠΆΠ΅ Π½Π΅Π΄Π°Π²Π½ΠΎ ΠΏΡΠΎΠ²Π΅Π΄Π΅Π½Π½Π°Ρ ΡΠΎΠΏΠΎΠ³ΡΠ°ΡΠΈΡΠ΅ΡΠΊΠ°Ρ ΡΡΠ΅ΠΌΠΊΠ° ΠΌΠΎΠΆΠ΅Ρ Π±ΡΡΡΡΠΎ ΠΏΠ΅ΡΠ΅ΠΉΡΠΈ Π² ΡΠ°Π·ΡΡΠ΄ Π½Π΅Π΄ΠΎΡΡΠΎΠ²Π΅ΡΠ½ΠΎΠΉ. ΠΠΎΠ΄ΠΎΠ±Π½Π°Ρ ΡΠΈΡΡΠ°ΡΠΈΡ Π½Π°Π±Π»ΡΠ΄Π°Π΅ΡΡΡ ΠΏΡΠΈ ΡΠ΅Π·ΠΊΠΎΠΌ ΠΈΠ·ΠΌΠ΅Π½Π΅Π½ΠΈΠΈ ΡΠ΅Π»ΡΠ΅ΡΠ° Π±ΠΎΠ»Π΅Π΅ ΡΠ΅ΠΌ Π½Π° 35%.
Π‘ΠΎΠΎΡΠ²Π΅ΡΡΡΠ²Π΅Π½Π½ΠΎ, ΡΠ΅Π·ΡΠ»ΡΡΠ°ΡΡ Π·Π°ΠΌΠ΅ΡΠΎΠ² Π±ΡΠ΄ΡΡ ΡΠ²Π»ΡΡΡΡΡ Π½Π΅Π΄Π΅ΠΉΡΡΠ²ΠΈΡΠ΅Π»ΡΠ½ΡΠΌΠΈ ΠΈ ΠΏΡΠΈΠ΄Π΅ΡΡΡ Π·Π°Π½ΠΎΠ²ΠΎ ΠΈΠ½ΠΈΡΠΈΠΈΡΠΎΠ²Π°ΡΡ ΠΏΡΠΎΡΠ΅Π΄ΡΡΡ.
ΠΠΎΠ»Π΅Π·Π½ΠΎΠ΅ Π²ΠΈΠ΄Π΅ΠΎ
Π‘ΠΌΠΎΡΡΠΈΡΠ΅ ΠΈΠ½ΡΠ΅ΡΠ΅ΡΠ½ΡΠΉ Π²ΠΈΠ΄Π΅ΠΎΠΌΠ°ΡΠ΅ΡΠΈΠ°Π», Π² ΠΊΠΎΡΠΎΡΠΎΠΌ ΡΠ°ΡΡΠΊΠ°Π·Π°Π½ΠΎ ΠΊΠ°ΠΊ ΠΌΠΎΠΆΠ½ΠΎ ΡΡΠΊΠΎΠ½ΠΎΠΌΠΈΡΡ ΠΏΡΠΈ ΠΏΡΠΎΠ²Π΅Π΄Π΅Π½ΠΈΠΈ ΡΠΎΠΏΠΎΠ³ΡΠ°ΡΠΈΡΠ΅ΡΠΊΠΎΠΉ ΡΡΠ΅ΠΌΠΊΠΈ.
ΠΠ°ΠΊΠ»ΡΡΠ΅Π½ΠΈΠ΅
Π‘ΠΎΡΡΠ°Π²Π»Π΅Π½ΠΈΠ΅ ΠΏΡΠΎΠ΅ΠΊΡΠ½ΠΎΠΉ Π΄ΠΎΠΊΡΠΌΠ΅Π½ΡΠ°ΡΠΈΠΈ Π½Π° Π·Π΅ΠΌΠ΅Π»ΡΠ½ΡΠΉ ΡΡΠ°ΡΡΠΎΠΊ Π±Π΅Π· ΠΏΡΠ΅Π΄Π²Π°ΡΠΈΡΠ΅Π»ΡΠ½ΠΎΠ³ΠΎ ΠΏΡΠΎΠ²Π΅Π΄Π΅Π½ΠΈΡ ΡΠΎΠΏΠΎΠ³ΡΠ°ΡΠΈΡΠ΅ΡΠΊΠΎΠΉ ΡΡΠ΅ΠΌΠΊΠΈ Π½Π΅Π²ΠΎΠ·ΠΌΠΎΠΆΠ½ΠΎ.
ΠΡΠΈΡΠ΅ΠΌ ΡΠ°Π±ΠΎΡΡ ΡΠ»Π΅Π΄ΡΠ΅Ρ ΠΏΠΎΡΡΡΠΈΡΡ ΡΠΎΡΡΡΠ΄Π½ΠΈΠΊΠ°ΠΌ Π°ΠΊΠΊΡΠ΅Π΄ΠΈΡΠΎΠ²Π°Π½Π½ΠΎΠΉ ΠΎΡΠ³Π°Π½ΠΈΠ·Π°ΡΠΈΠΈ, ΡΠ°ΠΊ ΡΠ°ΠΌΠΎΡΡΠΎΡΡΠ΅Π»ΡΠ½ΡΠ΅ Π·Π°ΠΌΠ΅ΡΡ Π΄Π°Π»Π΅ΠΊΠΈ ΠΎΡ ΡΠΎΡΠ½ΡΡ ΠΈ Π½Π΅ ΠΌΠΎΠ³ΡΡ ΠΈΡΠΏΠΎΠ»ΡΠ·ΠΎΠ²Π°ΡΡΡΡ Π² Ρ ΠΎΠ΄Π΅ Π·Π°ΠΏΡΠΎΡΠΎΠ² Π² ΠΎΡΠΈΡΠΈΠ°Π»ΡΠ½ΡΠ΅ ΠΎΡΠ³Π°Π½Ρ.
ΠΠΊΠΎΠ½ΡΠ°ΠΊΡΠ΅
Google+
ΠΠ΄Π½ΠΎΠΊΠ»Π°ΡΡΠ½ΠΈΠΊΠΈ
ΠΠΎΠΉ ΠΌΠΈΡ
stroim-domik.org
Π’ΠΎΠΏΠΎΠ³ΡΠ°ΡΠΈΡΠ΅ΡΠΊΠ°Ρ ΡΡΠ΅ΠΌΠΊΠ° Π·Π΅ΠΌΠ΅Π»ΡΠ½ΠΎΠ³ΠΎ ΡΡΠ°ΡΡΠΊΠ° β Π΄Π»Ρ ΡΠ΅Π³ΠΎ Π½Π΅ΠΎΠ±Ρ ΠΎΠ΄ΠΈΠΌΠ° ΡΠΎΠΏΠΎΡΡΠ΅ΠΌΠΊΠ° Π·Π΅ΠΌΠ»ΠΈ, ΠΈ ΡΡΠΎ Π²Ρ ΠΎΠ΄ΠΈΡ Π² ΡΠ°Π±ΠΎΡΡ?
Π’ΠΎΠΏΠΎΡΡΠ΅ΠΌΠΊΠ° ΠΏΡΠ΅Π΄ΡΡΠ°Π²Π»ΡΠ΅Ρ ΡΠΎΠ±ΠΎΠΉ ΡΠΎΠ²ΠΎΠΊΡΠΏΠ½ΠΎΡΡΡ ΡΡΠ΄Π° ΡΠ°Π±ΠΎΡ, Π²ΡΠΏΠΎΠ»Π½Π΅Π½Π½ΡΡ ΡΠΏΠ΅ΡΠΈΠ°Π»ΠΈΡΡΠ°ΠΌΠΈ Π³ΠΎΡΡΠ΄Π°ΡΡΡΠ²Π΅Π½Π½ΠΎΠΉ ΡΠ»ΡΠΆΠ±Ρ ΠΠ°Π΄Π°ΡΡΡΠ° Π² ΡΠ΅Π»ΡΡ ΡΠΎΠ·Π΄Π°Π½ΠΈΡ ΠΏΡΠΎΠ΅ΠΊΡΠ½ΠΎΠΉ Π΄ΠΎΠΊΡΠΌΠ΅Π½ΡΠ°ΡΠΈΠΈ Π½Π° Π»ΡΠ±ΠΎΠΉ ΠΎΠ±ΡΠ΅ΠΊΡ Π½Π΅Π΄Π²ΠΈΠΆΠΈΠΌΠΎΠ³ΠΎ ΠΈΠΌΡΡΠ΅ΡΡΠ²Π°.
Π Π°ΡΡΠΌΠΎΡΡΠΈΠΌ ΠΏΠΎΠ΄ΡΠΎΠ±Π½Π΅Π΅, ΠΊΠ°ΠΊ ΠΈ ΠΊΠ΅ΠΌ ΠΏΡΠΎΠ²ΠΎΠ΄ΠΈΡΡΡ ΡΠΎΠΏΠΎΡΡΠ΅ΠΌΠΊΠ°, Π·Π°ΡΠ΅ΠΌ ΠΎΠ½Π° Π½Π΅ΠΎΠ±Ρ ΠΎΠ΄ΠΈΠΌΠ°, Π° ΡΠ°ΠΊΠΆΠ΅ ΡΠ°ΡΡΠΊΠ°ΠΆΠ΅ΠΌ, Π² ΠΊΠ°ΠΊΠΎΠΌ Π²ΠΈΠ΄Π΅ ΡΠΈΠΊΡΠΈΡΡΡΡΡΡ Π΄Π°Π½Π½ΡΠ΅ ΠΈ Π³Π΄Π΅ ΠΈΡ Π²ΠΎΠ·ΠΌΠΎΠΆΠ½ΠΎ ΠΏΠΎΠ»ΡΡΠΈΡΡ ΠΆΠΈΡΠ΅Π»ΡΠΌ Π ΠΎΡΡΠΈΠΈ Π² 2018 Π³ΠΎΠ΄Ρ.
Π‘ΠΎΠ΄Π΅ΡΠΆΠ°Π½ΠΈΠ΅ ΡΡΠ°ΡΡΠΈ:
- Π§ΡΠΎ ΡΠ°ΠΊΠΎΠ΅ ΡΠΎΠΏΠΎΠ³ΡΠ°ΡΠΈΡΠ΅ΡΠΊΠ°Ρ ΡΡΠ΅ΠΌΠΊΠ° Π·Π΅ΠΌΠ΅Π»ΡΠ½ΠΎΠ³ΠΎ ΡΡΠ°ΡΡΠΊΠ°?
- ΠΠ»Ρ ΡΠ΅Π³ΠΎ Π½ΡΠΆΠ½Π° ΡΠΎΠΏΠΎΡΡΠ΅ΠΌΠΊΠ° β ΡΠΈΠΏΡ ΡΡΠ΅ΠΌΠΊΠΈ
- ΠΠ°ΠΊ Π²ΡΠΏΠΎΠ»Π½ΡΠ΅ΡΡΡ ΡΠΎΠΏΠΎΠ³ΡΠ°ΡΠΈΡΠ΅ΡΠΊΠ°Ρ ΡΡΠ΅ΠΌΠΊΠ° β ΠΏΠΎΡΡΠ°ΠΏΠ½ΡΠΉ ΠΏΠ»Π°Π½
- Π Π΅Π·ΡΠ»ΡΡΠ°ΡΡ ΡΠΎΠΏΠΎΠ³ΡΠ°ΡΠΈΡΠ΅ΡΠΊΠΎΠΉ ΡΡΠ΅ΠΌΠΊΠΈ, ΡΡΠΎΠΊ Π΄Π΅ΠΉΡΡΠ²ΠΈΡ
Π§ΡΠΎ ΡΠ°ΠΊΠΎΠ΅ ΡΠΎΠΏΠΎΠ³ΡΠ°ΡΠΈΡΠ΅ΡΠΊΠ°Ρ ΡΡΠ΅ΠΌΠΊΠ° Π·Π΅ΠΌΠ΅Π»ΡΠ½ΠΎΠ³ΠΎ ΡΡΠ°ΡΡΠΊΠ°, ΠΈ ΠΊΠ΅ΠΌ ΠΎΠ½Π° Π΄ΠΎΠ»ΠΆΠ½Π° Π²ΡΠΏΠΎΠ»Π½ΡΡΡΡΡ?
ΠΠ»Ρ ΡΠ°ΡΡΠΈΡΡΠΎΠ²ΠΊΠΈ ΠΏΠΎΠ½ΡΡΠΈΡ ΡΠΎΠΏΠΎΠ³ΡΠ°ΡΠΈΡΠ΅ΡΠΊΠΎΠΉ ΡΡΠ΅ΠΌΠΊΠΈ ΠΎΠ±ΡΠ°ΡΠΈΠΌΡΡ ΠΊ Π½Π°ΡΡΠ½ΠΎ-ΡΠ΅Ρ Π½ΠΈΡΠ΅ΡΠΊΠΎΠΌΡ ΡΠ»ΠΎΠ²Π°ΡΡ.
|
Π’ΠΎΠΏΠΎΡΡΠ΅ΠΌΠΊΠ°, ΠΈΠ»ΠΈ ΡΠΎΠΏΠΎΠ³ΡΠ°ΡΠΈΡΠ΅ΡΠΊΠ°Ρ ΡΡΠ΅ΠΌΠΊΠ° β ΡΠΎΡΠ½ΠΎΠ΅ ΠΈΠ·ΠΌΠ΅ΡΠ΅Π½ΠΈΠ΅ ΠΏΠΎΠ²Π΅ΡΡ Π½ΠΎΡΡΠΈ ΠΠ΅ΠΌΠ»ΠΈ, ΡΠ»ΡΠΆΠ°ΡΠ΅Π΅ Π΄Π»Ρ ΡΡΡΠ°Π½ΠΎΠ²Π»Π΅Π½ΠΈΡ Π³Π΅ΠΎΠ³ΡΠ°ΡΠΈΡΠ΅ΡΠΊΠΈΡ Π³ΡΠ°Π½ΠΈΡ, ΡΠΎΠΏΠΎΠ³ΡΠ°ΡΠΈΠΈ Π»Π°Π½Π΄ΡΠ°ΡΡΠΎΠ² ΠΈ Π΄Π»Ρ ΠΏΠΎΠ΄Π³ΠΎΡΠΎΠ²ΠΊΠΈ ΠΏΠ»ΠΎΡΠ°Π΄ΠΎΠΊ ΠΏΠΎΠ΄ ΠΊΡΡΠΏΠ½ΡΠ΅ ΡΡΡΠΎΠΈΡΠ΅Π»ΡΠ½ΡΠ΅ ΡΠ°Π±ΠΎΡΡ, ΡΠ°ΠΊΠΈΠ΅ ΠΊΠ°ΠΊ ΠΏΠ»ΠΎΡΠΈΠ½Ρ, ΠΌΠΎΡΡΡ ΠΈ Ρ.ΠΏ. |
Π’ΠΎΠΏΠΎΠ³ΡΠ°ΡΠΈΡΠ΅ΡΠΊΠΈΠ΅ ΡΠ°Π±ΠΎΡΡ ΠΌΠΎΠ³ΡΡ Π±ΡΡΡ ΠΏΡΠΎΠ²Π΅Π΄Π΅Π½Ρ ΡΠΎΠ»ΡΠΊΠΎ ΠΈΠ½ΠΆΠ΅Π½Π΅ΡΠ°ΠΌΠΈ-Π³Π΅ΠΎΠ΄Π΅Π·ΠΈΡΡΠ°ΠΌΠΈ. Π’Π°ΠΊ ΠΊΠ°ΠΊ ΡΡΠ΅ΠΌΠΊΠ° ΠΏΡΠ΅Π΄ΡΡΠ°Π²Π»ΡΠ΅Ρ ΡΠΎΠ±ΠΎΠΉ ΠΊΠΎΠΌΠΏΠ»Π΅ΠΊΡΠ½ΡΠ΅ ΡΠ°Π±ΠΎΡΡ, ΡΠΎ Π·Π°Π΄Π΅ΠΉΡΡΠ²ΠΎΠ²Π°Π½Ρ ΠΌΠ½ΠΎΠ³ΠΈΠ΅ ΡΠΏΠ΅ΡΠΈΠ°Π»ΠΈΡΡΡ ΠΈ ΠΏΡΠΎΡΠ΅ΡΡΠΈΠΎΠ½Π°Π»Ρ. ΠΠ½ΠΈ ΠΏΡΠΎΠ²ΠΎΠ΄ΡΡ ΡΠΎΠΏΠΎΡΡΠ΅ΠΌΠΊΡ, ΠΈΡΠΏΠΎΠ»ΡΠ·ΡΡ ΡΠΎΠ²ΡΠ΅ΠΌΠ΅Π½Π½ΡΡ ΡΠ΅Ρ Π½ΠΈΠΊΡ ΠΈ Π½ΠΎΠ²Π΅ΠΉΡΠ΅Π΅ ΠΠ, ΡΡΠΎ ΠΏΠΎΠ·Π²ΠΎΠ»ΡΠ΅Ρ ΠΈΠΌ ΡΠΎΡΠ½ΠΎ ΠΎΠΏΡΠ΅Π΄Π΅Π»ΠΈΡΡ ΠΏΠΎΠΊΠ°Π·Π°ΡΠ΅Π»ΠΈ Π·Π΅ΠΌΠ΅Π»ΡΠ½ΠΎΠ³ΠΎ ΡΡΠ°ΡΡΠΊΠ° ΠΈ ΡΠΎΠ·Π΄Π°ΡΡ Π²Π΅ΡΠ½ΡΠΉ ΡΠ΅Ρ Π½ΠΈΡΠ΅ΡΠΊΠΈΠΉ ΠΎΡΡΠ΅Ρ.
Π’ΠΎΠΏΠΎΡΡΠ΅ΠΌΠΊΡ ΠΌΠΎΠΆΠ½ΠΎ ΠΏΡΠΎΠ²Π΅ΡΡΠΈ, ΠΊΠ°ΠΊ Π½Π° ΠΌΠ°Π»ΠΎΠΉ ΡΠ΅ΡΡΠΈΡΠΎΡΠΈΠΈ Π·Π΅ΠΌΠ»ΠΈ, ΡΠ°ΠΊ ΠΈ Π½Π° ΠΊΡΡΠΏΠ½ΠΎΠΉ, Π³Π΄Π΅ Π±ΡΠ΄ΡΡ ΡΠ°Π·ΠΌΠ΅ΡΠ΅Π½Ρ — ΠΈΠ»ΠΈ ΡΠΆΠ΅ ΡΠ°Π·ΠΌΠ΅ΡΠ΅Π½Ρ — ΡΡΡΠΎΠΈΡΠ΅Π»ΡΠ½ΡΠ΅ ΠΈΠ½ΠΆΠ΅Π½Π΅ΡΠ½ΡΠ΅ ΡΠΎΠΎΡΡΠΆΠ΅Π½ΠΈΡ ΡΠ°Π·Π»ΠΈΡΠ½ΠΎΠ³ΠΎ ΡΠΈΠΏΠ°, Π½Π°ΠΏΡΠΈΠΌΠ΅Ρ — ΠΌΠΎΡΡΡ, Π°Π²ΡΠΎΠΌΠΎΠ±ΠΈΠ»ΡΠ½ΡΠ΅ Π΄ΠΎΡΠΎΠ³ΠΈ, ΠΏΡΠΎΠΌΡΡΠ»Π΅Π½Π½ΡΠ΅ Π·Π΄Π°Π½ΠΈΡ ΠΈ Π΄Ρ.
Π’ΠΎΠΏΠΎΠ³ΡΠ°ΡΠΈΡΠ΅ΡΠΊΠΈΠ΅ ΠΏΠΎΠΊΠ°Π·Π°ΡΠ΅Π»ΠΈ Π·Π΅ΠΌΠ»ΠΈ ΠΌΠΎΠ³ΡΡ Π±ΡΡΡ ΠΏΠΎΠ»ΡΡΠ΅Π½Ρ Ρ ΠΏΠΎΠΌΠΎΡΡΡ Π»Π΅ΡΠ°ΡΠ΅Π»ΡΠ½ΠΎΠ³ΠΎ ΠΎΠ±ΠΎΡΡΠ΄ΠΎΠ²Π°Π½ΠΈΡ — Π½ΠΎ ΡΠΎΠ»ΡΠΊΠΎ Ρ ΡΠΎΠ³Π»Π°ΡΠΈΡ ΠΏΡΠΎΠ΅ΠΊΡΠ½ΡΡ ΡΠ»ΡΠΆΠ±. Π‘ΠΎΡΡΡΠ΄Π½ΠΈΠΊΠΈ ΠΌΠΎΠ³ΡΡ ΠΏΠΎΠ»ΡΡΠ°ΡΡ ΡΠ°ΠΊΠΈΠΌ ΠΎΠ±ΡΠ°Π·ΠΎΠΌ ΡΠ²Π΅Π΄Π΅Π½ΠΈΡ Π΄Π»Ρ ΡΠΎΠ³ΠΎ, ΡΡΠΎΠ±Ρ ΡΠΎΠ·Π΄Π°ΡΡ ΡΠΎΠΏΠΎΠΏΠ»Π°Π½Ρ ΡΠ΅ΡΡΠΈΡΠΎΡΠΈΠΈ.
ΠΠ»Ρ ΡΠ΅Π³ΠΎ Π½ΡΠΆΠ½Π° ΡΠΎΠΏΠΎΡΡΠ΅ΠΌΠΊΠ° ΡΡΠ°ΡΡΠΊΠΎΠ² Π·Π΅ΠΌΠ»ΠΈ β ΡΠΈΠΏΡ ΡΠΎΠΏΠΎΠ³ΡΠ°ΡΠΈΡΠ΅ΡΠΊΠΎΠΉ ΡΡΠ΅ΠΌΠΊΠΈ
Π’ΠΎΠΏΠΎΠ³ΡΠ°ΡΠΈΡΠ΅ΡΠΊΠ°Ρ ΡΡΠ΅ΠΌΠΊΠ° Π½Π΅ΠΎΠ±Ρ ΠΎΠ΄ΠΈΠΌΠΎ ΠΏΡΠΎΠ²ΠΎΠ΄ΠΈΡΡ Π΄Π»Ρ ΠΏΠΎΠ»ΡΡΠ΅Π½ΠΈΡ Π½ΠΎΠ²ΠΎΠΉ, Π°ΠΊΡΡΠ°Π»ΡΠ½ΠΎΠΉ ΠΈΠ½ΡΠΎΡΠΌΠ°ΡΠΈΠΈ ΠΎΠ± ΠΎΠΏΡΠ΅Π΄Π΅Π»Π΅Π½Π½ΠΎΠΌ ΡΡΠ°ΡΡΠΊΠ΅ Π·Π΅ΠΌΠ»ΠΈ.
ΠΡΠΎΠΌΠ΅ ΡΠΎΠ³ΠΎ, ΡΠΎΠΏΠΎΡΡΠ΅ΠΌΠΊΡ ΠΏΡΠΎΠ²ΠΎΠ΄ΡΡ, ΠΊΠΎΠ³Π΄Π°:
- Π’ΡΠ΅Π±ΡΠ΅ΡΡΡ ΠΏΠΎΠ»ΡΡΠΈΡΡ ΡΠ°Π·ΡΠ΅ΡΠ΅Π½ΠΈΠ΅ Π½Π° ΠΏΠ΅ΡΠ΅ΠΏΠ»Π°Π½ΠΈΡΠΎΠ²ΠΊΡ ΠΊΠΎΠΌΠΌΡΠ½ΠΈΠΊΠ°ΡΠΈΠΎΠ½Π½ΡΡ ΡΠ΅ΡΠ΅ΠΉ.
- ΠΠ΅ΠΎΠ±Ρ ΠΎΠ΄ΠΈΠΌΠ° ΠΏΡΠΎΠ΅ΠΊΡΠ½Π°Ρ Π΄ΠΎΠΊΡΠΌΠ΅Π½ΡΠ°ΡΠΈΡ Π΄Π»Ρ ΠΏΠΎΡΠ»Π΅Π΄ΡΡΡΠ΅ΠΉ ΠΏΠ΅ΡΠ΅ΠΏΠ»Π°Π½ΠΈΡΠΎΠ²ΠΊΠΈ.
- ΠΡΠΆΠ΅Π½ ΠΏΡΠΎΠ΅ΠΊΡ ΡΠ°Π·Π΄Π΅Π»Π° Π·Π΅ΠΌΠ΅Π»ΡΠ½ΠΎΠ³ΠΎ ΡΡΠ°ΡΡΠΊΠ°.
- Π’ΡΠ΅Π±ΡΠ΅ΡΡΡ ΡΡΡΠ°Π½ΠΎΠ²ΠΈΡΡ Π³ΡΠ°Π½ΠΈΡΡ ΠΎΠΏΡΠ΅Π΄Π΅Π»Π΅Π½Π½ΠΎΠΉ ΡΠ΅ΡΡΠΈΡΠΎΡΠΈΠΈ ΠΈ ΡΠ°ΡΡΡΠΈΡΠ°ΡΡ Π΅Π΅ ΠΏΠ»ΠΎΡΠ°Π΄Ρ.
- ΠΠ΅ΠΎΠ±Ρ ΠΎΠ΄ΠΈΠΌΠΎ ΠΏΠΎΠ»ΡΡΠΈΡΡ ΡΠ°Π·ΡΠ΅ΡΠ΅Π½ΠΈΠ΅ Π½Π° ΡΡΡΠΎΠΈΡΠ΅Π»ΡΡΡΠ²ΠΎ Π»ΡΠ±ΠΎΠ³ΠΎ ΡΠΎΠΎΡΡΠΆΠ΅Π½ΠΈΡ ΠΈΠ»ΠΈ Π·Π΄Π°Π½ΠΈΡ Π½Π° Π·Π΅ΠΌΠ΅Π»ΡΠ½ΠΎΠΌ ΡΡΠ°ΡΡΠΊΠ΅.
- ΠΠΎΠ»ΠΆΠ½ΠΎ Π±ΡΡΡ ΠΏΡΠΎΠΈΠ·Π²Π΅Π΄Π΅Π½ΠΎ ΠΎΠ±Π½ΠΎΠ²Π»Π΅Π½ΠΈΠ΅ ΠΊΠ°ΡΡΠΎΠ³ΡΠ°ΡΠΈΡΠ΅ΡΠΊΠΎΠΉ ΠΈΠ½ΡΠΎΡΠΌΠ°ΡΠΈΠΈ ΠΎΠ±ΡΠ΅ΠΊΡΠ°.
- ΠΠ° ΡΠ΅ΡΡΠΈΡΠΎΡΠΈΠΈ Π±ΡΠ΄ΡΡ ΠΎΡΡΡΠ΅ΡΡΠ²Π»ΡΡΡΡΡ Π»Π°Π½Π΄ΡΠ°ΡΡΠ½ΡΠ΅, Π΄ΠΈΠ·Π°ΠΉΠ½Π΅ΡΡΠΊΠΈΠ΅ ΡΠ°Π±ΠΎΡΡ.
- ΠΠ° Π·Π΅ΠΌΠ΅Π»ΡΠ½ΠΎΠΌ ΡΡΠ°ΡΡΠΊΠ΅ ΠΏΡΠΎΠ²ΠΎΠ΄ΡΡΡΡ ΡΠΊΠΎΠ»ΠΎΠ³ΠΈΡΠ΅ΡΠΊΠΈΠ΅ ΠΈΡΡΠ»Π΅Π΄ΠΎΠ²Π°Π½ΠΈΡ.
Π Π·Π°Π²ΠΈΡΠΈΠΌΠΎΡΡΠΈ ΠΎΡ ΡΠ΅Π»Π΅ΠΉ, ΡΠΎΠΏΠΎΡΡΠ΅ΠΌΠΊΠ° ΠΌΠΎΠΆΠ΅Ρ ΠΏΠΎΠ΄ΡΠ°Π·Π΄Π΅Π»ΡΡΡΡΡ Π½Π° Π²ΠΈΠ΄Ρ.
ΠΠ΅ΡΠ΅ΡΠΈΡΠ»ΠΈΠΌ, ΠΊΠ°ΠΊΠΎΠΉ ΠΎΠ½Π° Π±ΡΠ²Π°Π΅Ρ:
- ΠΠ±ΡΠ΅ΠΉ.
- Π‘ΠΏΠ΅ΡΠΈΠ°Π»ΡΠ½ΠΎΠ³ΠΎ Π½Π°Π·Π½Π°ΡΠ΅Π½ΠΈΡ.
- ΠΠ°Π·Π΅ΠΌΠ½ΠΎΠΉ.
- ΠΠΎΠ΄Π·Π΅ΠΌΠ½ΠΎΠΉ.
- ΠΡΡΠΏΠ½ΠΎΠΌΠ°ΡΡΡΠ°Π±Π½ΠΎΠΉ.
- ΠΠ°Π½Π΄ΡΠ°ΡΡΠ½ΠΎΠΉ.
- ΠΠΎΠ½ΡΡΠΎΠ»ΡΠ½ΠΎ-ΠΈΡΠΏΠΎΠ»Π½ΠΈΡΠ΅Π»ΡΠ½ΠΎΠΉ.
ΠΡΠ½ΠΎΠ²ΠΎΠΉ Π³Π΅ΠΎΠ΄Π΅Π·ΠΈΡΠ΅ΡΠΊΠΈΡ ΠΈ ΠΈΠ½ΠΆΠ΅Π½Π΅ΡΠ½ΡΡ ΡΠ°Π±ΠΎΡ ΡΠ²Π»ΡΠ΅ΡΡΡ ΠΏΠ»Π°Π½, ΠΈΠ»ΠΈ ΡΠ΅ΡΡΠ΅ΠΆ. ΠΠΎ Π½Π΅ΠΌΡ ΠΌΠΎΠΆΠ½ΠΎ ΠΎΠΏΡΠ΅Π΄Π΅Π»ΠΈΡΡ, ΠΊ ΠΊΠ°ΠΊΠΎΠΉ ΠΊΠ°ΡΠ΅Π³ΠΎΡΠΈΠΈ Π·Π΅ΠΌΠ»ΠΈ ΠΎΡΠ½ΠΎΡΠΈΡΡΡ ΡΠΎΡ ΠΈΠ»ΠΈ ΠΈΠ½ΠΎΠΉ ΡΡΠ°ΡΡΠΎΠΊ, ΡΡΠΎ Π½Π° Π½Π΅ΠΌ Π½Π°Ρ ΠΎΠ΄ΠΈΡΡΡ — ΠΈΠ»ΠΈ ΠΌΠΎΠΆΠ΅Ρ ΡΠ°ΡΠΏΠΎΠ»Π°Π³Π°ΡΡΡΡ Π² Π±ΡΠ΄ΡΡΠ΅ΠΌ, ΠΊΠ°ΠΊΠΈΠ΅ Ρ Π°ΡΠ°ΠΊΡΠ΅ΡΠ½ΡΠ΅ ΡΠ΅ΡΡΡ ΠΈΠΌΠ΅Π΅Ρ ΡΠ΅ΡΡΠΈΡΠΎΡΠΈΡ ΠΈ Ρ.ΠΏ.
Π‘ΠΏΠ΅ΡΠΈΠ°Π»ΠΈΡΡΡ ΡΠ»ΡΠΆΠ±Ρ ΠΠ°Π΄Π°ΡΡΡΠ° ΠΈ ΠΊΠ°ΡΡΠΎΠ³ΡΠ°ΡΠΈΠΈ ΡΠ°ΠΌΠΈ ΠΎΠΏΡΠ΅Π΄Π΅Π»ΡΡΡ, ΠΊΠ°ΠΊΠΎΠΉ Π΄ΠΎΠ»ΠΆΠ½Π° Π±ΡΡΡ ΡΠΎΠΏΠΎΡΡΠ΅ΠΌΠΊΠ°.
ΠΠ°ΠΊ Π²ΡΠΏΠΎΠ»Π½ΡΠ΅ΡΡΡ ΡΠΎΠΏΠΎΠ³ΡΠ°ΡΠΈΡΠ΅ΡΠΊΠ°Ρ ΡΡΠ΅ΠΌΠΊΠ° Π·Π΅ΠΌΠ΅Π»ΡΠ½ΡΡ ΡΡΠ°ΡΡΠΊΠΎΠ², ΠΊΠ°ΠΊΠΈΠ΅ ΡΠ°Π±ΠΎΡΡ Π² Π½Π΅Ρ Π²Ρ ΠΎΠ΄ΡΡ β ΠΏΠΎΡΡΠ°ΠΏΠ½ΡΠΉ ΠΏΠ»Π°Π½
Π’ΠΎΠΏΠΎΡΡΠ΅ΠΌΠΊΠ° ΠΏΡΠΎΠ²ΠΎΠ΄ΠΈΡΡΡ Π² Π½Π΅ΡΠΊΠΎΠ»ΡΠΊΠΎ ΡΡΠ°ΠΏΠΎΠ². Π£ΠΊΠ°ΠΆΠ΅ΠΌ ΠΈΡ ΠΈ ΡΠ°ΡΡΠΊΠ°ΠΆΠ΅ΠΌ, ΠΈΠ· ΡΠ΅Π³ΠΎ ΠΎΠ½ΠΈ ΡΠΎΡΡΠΎΡΡ:
ΠΡΠ°ΠΏ 1. ΠΠΎΠ΄Π³ΠΎΡΠΎΠ²ΠΊΠ°
Π‘ΠΏΠ΅ΡΠΈΠ°Π»ΠΈΡΡΡ Π½Π° ΡΡΠΎΠΌ ΡΡΠ°ΠΏΠ΅ ΡΠ°Π±ΠΎΡΡ Π΄ΠΎΠ»ΠΆΠ½Ρ:
- ΠΡΠΎΠ°Π½Π°Π»ΠΈΠ·ΠΈΡΠΎΠ²Π°ΡΡ ΠΈΠΌΠ΅ΡΡΡΡΡΡ Π΄ΠΎΠΊΡΠΌΠ΅Π½ΡΠ°ΡΠΈΡ Π½Π° Π·Π΅ΠΌΠ»Ρ.
- Π‘ΠΎΠ±ΡΠ°ΡΡ ΠΈΠ½ΡΠΎΡΠΌΠ°ΡΠΈΡ ΠΎΠ± ΠΎΠ±ΡΠ΅ΠΊΡΠ΅.
- Π£ΡΠ²Π΅ΡΠ΄ΠΈΡΡ ΠΏΠ»Π°Π½ ΡΠ΅Ρ Π½ΠΈΡΠ΅ΡΠΊΠΎΠ³ΠΎ Π·Π°Π΄Π°Π½ΠΈΡ Ρ ΠΊΠ»ΠΈΠ΅Π½ΡΠΎΠΌ.
- ΠΡΠΎΡΠΌΠΎΡΡΠ΅ΡΡ ΡΡΠ΅ΠΌΠΊΡ ΠΈ ΡΠΎΠΏΠΎΠΏΠ»Π°Π½Ρ, ΠΊΠΎΡΠΎΡΡΠ΅ Π±ΡΠ»ΠΈ ΠΏΡΠΎΠ²Π΅Π΄Π΅Π½Ρ ΡΠ°Π½Π΅Π΅ ΡΠΏΠ΅ΡΠΈΠ°Π»ΠΈΡΡΠ°ΠΌΠΈ.
- ΠΡΠΎΡΠΌΠΈΡΡ ΡΠ°Π·ΡΠ΅ΡΠΈΡΠ΅Π»ΡΠ½ΡΠ΅ Π΄ΠΎΠΊΡΠΌΠ΅Π½ΡΡ, ΠΏΡΠ΅ΠΆΠ΄Π΅ ΡΠ΅ΠΌ ΠΏΠ΅ΡΠ΅Ρ ΠΎΠ΄ΠΈΡΡ Π² ΡΠ°Π±ΠΎΡΠ΅.
ΠΡΠ°ΠΏ 2. Π Π°Π±ΠΎΡΠ° Π² ΠΏΠΎΠ»ΡΡ , Π½Π° ΠΌΠ΅ΡΡΠ΅
ΠΠ½ΠΆΠ΅Π½Π΅ΡΡ-Π³Π΅ΠΎΠ΄Π΅Π·ΠΈΡΡΡ Π΄ΠΎΠ»ΠΆΠ½Ρ Π²ΡΠ΅Ρ Π°ΡΡ Π½Π° ΠΌΠ΅ΡΡΠΎ, ΠΎΡΠΌΠΎΡΡΠ΅ΡΡ ΡΠ΅ΡΡΠΈΡΠΎΡΠΈΡ ΠΈ ΠΏΡΠΎΠ²Π΅ΡΡΠΈ ΡΠ°ΠΊΠΈΠ΅ ΡΠ°Π±ΠΎΡΡ:
- ΠΠΏΡΠ΅Π΄Π΅Π»ΠΈΡΡ ΠΊΠΎΠΎΡΠ΄ΠΈΠ½Π°ΡΡ.
- ΠΡΠΎΠ²Π΅ΡΡΠΈ Π³Π΅ΠΎΠ΄Π΅Π·ΠΈΡΠ΅ΡΠΊΠΈΠ΅ ΠΈΠ·ΠΌΠ΅ΡΠ΅Π½ΠΈΡ.
- ΠΡΡΡΠ΅ΡΡΠ²ΠΈΡΡ ΠΏΠΎΠΈΡΠΊ ΠΈ ΡΡΠ΅ΠΌΠΊΡ ΠΈΠ½ΠΆΠ΅Π½Π΅ΡΠ½ΡΡ ΠΊΠΎΠΌΠΌΡΠ½ΠΈΠΊΠ°ΡΠΈΠΉ.
Π Π·Π°Π²ΠΈΡΠΈΠΌΠΎΡΡΠΈ ΠΎΡ ΡΠΈΠΏΠ° Π·Π°Π΄Π°Π½ΠΈΡ, ΡΠ°Π±ΠΎΡΡ ΠΌΠΎΠ³ΡΡ ΠΏΠΎΠΌΠ΅Π½ΡΡΡΡΡ ΠΈΠ»ΠΈ Π΄ΠΎΠ±Π°Π²ΠΈΡΡΡΡ.
Π Π°ΡΡΠΌΠΎΡΡΠΈΠΌ Π½Π΅ΡΠΊΠΎΠ»ΡΠΊΠΎ Π²Π°ΡΠΈΠ°Π½ΡΠΎΠ² ΡΠΎΠ±ΡΡΠΈΠΉ, ΠΊΠ°ΠΊ ΠΌΠΎΠ³ΡΡ Π΄Π΅ΠΉΡΡΠ²ΠΎΠ²Π°ΡΡ ΡΠΏΠ΅ΡΠΈΠ°Π»ΠΈΡΡΡ Π½Π° ΠΌΠ΅ΡΡΠ½ΠΎΡΡΠΈ.
|
ΠΠ±ΡΡΠΎΡΡΠ΅Π»ΡΡΡΠ²Π° |
ΠΠ°ΠΈΠΌΠ΅Π½ΠΎΠ²Π°Π½ΠΈΠ΅ ΡΠ°Π±ΠΎΡ |
|
ΠΠ΅ΠΎΠ΄Π΅Π·ΠΈΡΠ΅ΡΠΊΠΈΠ΅ ΡΠ°Π±ΠΎΡΡ ΠΏΡΠΈ Π²ΠΎΠ·Π²Π΅Π΄Π΅Π½ΠΈΠΈ ΡΠΎΠΎΡΡΠΆΠ΅Π½ΠΈΠΉ, Π·Π΄Π°Π½ΠΈΠΉ ΠΈ ΠΊΠΎΠΌΠΏΠ»Π΅ΠΊΡΠΎΠ² |
|
|
ΠΠ΅ΠΎΠ΄Π΅Π·ΠΈΡΠ΅ΡΠΊΠΈΠ΅ ΡΠ°Π±ΠΎΡΡ ΠΏΠΎ ΠΏΡΠΎΠ΅ΠΊΡΠΈΡΠΎΠ²ΠΊΠ΅ ΠΈ Π²ΠΎΠ·Π²Π΅Π΄Π΅Π½ΠΈΡ Π»ΠΈΠ½Π΅ΠΉΠ½ΡΡ ΡΠΎΠΎΡΡΠΆΠ΅Π½ΠΈΠΉ |
|
|
ΠΡΠΏΠΎΠ»Π½ΠΈΡΠ΅Π»ΡΠ½Π°Ρ Π³Π΅ΠΎΠ΄Π΅Π·ΠΈΡΠ΅ΡΠΊΠ°Ρ ΡΡΠ΅ΠΌΠΊΠ° Π·Π°Π²Π΅ΡΡΠ΅Π½Π½ΡΡ ΠΎΠ±ΡΠ΅ΠΊΡΠΎΠ² ΡΡΡΠΎΠΈΡΠ΅Π»ΡΡΡΠ²Π°, ΡΠΎΠΎΡΡΠΆΠ΅Π½ΠΈΠΉ, ΠΊΠΎΠΌΠΏΠ»Π΅ΠΊΡΠΎΠ² ΠΈ ΡΠΎΡΡΠ°Π²Π½ΡΡ ΡΠ°ΡΡΠ΅ΠΉ |
|
Β
ΠΡΠ°ΠΏ 3. ΠΠ±ΡΠ°Π±ΠΎΡΠΊΠ° ΠΏΠΎΠ»ΡΡΠ΅Π½Π½ΡΡ ΡΠ²Π΅Π΄Π΅Π½ΠΈΠΉ
Π‘ΠΏΠ΅ΡΠΈΠ°Π»ΠΈΡΡΡ ΠΏΡΠΎΠ²ΠΎΠ΄ΡΡ ΡΠ°ΠΊΡΡ ΡΠ°Π±ΠΎΡΡ Π½Π° ΡΠΈΠ½Π°Π»ΡΠ½ΠΎΠΌ ΡΡΠ°ΠΏΠ΅:
- ΠΠ½Π°Π»ΠΈΠ·ΠΈΡΡΡΡ Π΄Π°Π½Π½ΡΠ΅, ΠΏΠΎΠ»ΡΡΠ΅Π½Π½ΡΠ΅ Π² Ρ ΠΎΠ΄Π΅ ΠΏΡΠΎΠ²Π΅Π΄Π΅Π½ΠΈΡ ΡΡΠ΅ΠΌΠΊΠΈ.
- Π‘ΠΈΡΡΠ΅ΠΌΠ°ΡΠΈΠ·ΠΈΡΡΡΡ ΠΈ ΠΎΠ±ΡΠ°Π±Π°ΡΡΠ²Π°ΡΡ ΠΈΠ½ΡΠΎΡΠΌΠ°ΡΠΈΡ.
- Π‘ΠΎΠ³Π»Π°ΡΠΎΠ²ΡΠ²Π°ΡΡ ΡΠ²Π΅Π΄Π΅Π½ΠΈΡ ΠΎ ΠΏΠΎΠ΄Π·Π΅ΠΌΠ½ΡΡ ΠΈ Π½Π°Π΄Π·Π΅ΠΌΠ½ΡΡ ΠΊΠΎΠΌΠΌΡΠ½ΠΈΠΊΠ°ΡΠΈΠΎΠ½Π½ΡΡ ΡΠ΅ΡΡΡ .
- Π Π°Π·ΡΠ°Π±Π°ΡΡΠ²Π°ΡΡ ΡΠΎΠΏΠΎΠ³ΡΠ°ΡΠΈΡΠ΅ΡΠΊΠΈΠΉ ΠΏΠ»Π°Π½.
- ΠΠΎΠ΄Π³ΠΎΡΠ°Π²Π»ΠΈΠ²Π°ΡΡ ΡΠ΅Ρ Π½ΠΈΡΠ΅ΡΠΊΠΈΠΉ ΠΎΡΡΠ΅Ρ.
- ΠΠ΅ΡΠ΅Π΄Π°ΡΡ Π΄ΠΎΠΊΡΠΌΠ΅Π½ΡΠ°ΡΠΈΡ Π² ΠΌΠ΅ΡΡΠ½ΡΠΉ Π°ΡΡ ΠΈΠ². ΠΠ°ΠΊ ΠΏΡΠ°Π²ΠΈΠ»ΠΎ, ΠΎΠ½ Π½Π°Ρ ΠΎΠ΄ΠΈΡΡΡ Π² Π°Π΄ΠΌΠΈΠ½ΠΈΡΡΡΠ°ΡΠΈΠΈ.
ΠΠΎΡΠ»Π΅ ΠΏΡΠΎΠ²Π΅Π΄Π΅Π½ΠΈΡ Π²ΡΠ΅Ρ ΡΠ°Π±ΠΎΡ ΠΊΠ»ΠΈΠ΅Π½Ρ, ΡΠΎ Π΅ΡΡΡ Π·Π°ΠΊΠ°Π·ΡΠΈΠΊ, ΠΏΠΎΠ»ΡΡΠ°Π΅Ρ Π½Π° ΡΡΠΊΠΈ Π³ΠΎΡΠΎΠ²ΡΠ΅ Π΄ΠΎΠΊΡΠΌΠ΅Π½ΡΡ.
ΠΠ°ΠΊ ΠΏΡΠ΅Π΄ΠΎΡΡΠ°Π²Π»ΡΡΡΡΡ ΡΠ΅Π·ΡΠ»ΡΡΠ°ΡΡ ΡΠΎΠΏΠΎΠ³ΡΠ°ΡΠΈΡΠ΅ΡΠΊΠΎΠΉ ΡΡΠ΅ΠΌΠΊΠΈ Π·Π΅ΠΌΠ΅Π»ΡΠ½ΡΡ ΡΡΠ°ΡΡΠΊΠΎΠ², ΠΈ ΠΊΠ°ΠΊΠΎΠ΅ Π²ΡΠ΅ΠΌΡ ΠΎΠ½ΠΈ Π΄Π΅ΠΉΡΡΠ²ΠΈΡΠ΅Π»ΡΠ½Ρ?
ΠΠΎΡΠΎΠ²Π°Ρ Π΄ΠΎΠΊΡΠΌΠ΅Π½ΡΠ°ΡΠΈΡ ΠΏΠΎΡΠ»Π΅ ΠΏΡΠΎΠ²Π΅Π΄Π΅Π½ΠΈΡ ΡΠΎΠΏΠΎΡΡΠ΅ΠΌΠΊΠΈ Π²ΡΠ΄Π°Π΅ΡΡΡ ΡΠΎΠ»ΡΠΊΠΎ Π·Π°ΠΊΠ°Π·ΡΠΈΠΊΡ ΠΈΠ»ΠΈ Π΅Π³ΠΎ ΠΎΡΠΈΡΠΈΠ°Π»ΡΠ½ΠΎΠΌΡ ΠΏΡΠ΅Π΄ΡΡΠ°Π²ΠΈΡΠ΅Π»Ρ.
ΠΠ±ΡΡΠ½ΠΎ Π΄ΠΎΠ²Π΅ΡΠ΅Π½Π½ΠΎΡΡΡ Π·Π°Π²Π΅ΡΡΠ΅Ρ Π½ΠΎΡΠ°ΡΠΈΡΡ
Π Π΅Π·ΡΠ»ΡΡΠ°ΡΡ ΡΠΎΠΏΠΎΡΡΠ΅ΠΌΠΊΠΈ ΠΎΡΠΎΡΠΌΠ»ΡΡΡΡΡ Π² ΠΏΠ»Π°Π½Π°Ρ , ΡΠ΅ΡΡΠ΅ΠΆΠ°Ρ ΠΈ ΠΎΡΡΠ΅ΡΠ°Ρ . ΠΠΎ ΡΠ΅Ρ Π½ΠΈΡΠ΅ΡΠΊΠΎΠΌΡ Π»Π΅ΠΊΡΠΈΠΊΠΎΠ½Ρ, ΡΠ΅Π·ΡΠ»ΡΡΠ°Ρ Π²ΡΡΠ°ΠΆΠ°Π΅ΡΡΡ Π² Π³Π΅ΠΎΠΏΠΎΠ΄ΠΎΡΠ½ΠΎΠ²Π΅. ΠΠ½Π° ΡΠ²Π»ΡΠ΅ΡΡΡ Π±Π°Π·ΠΎΠ²ΡΠΌ, ΡΡΠ°Π½Π΄Π°ΡΡΠ½ΡΠΌ ΠΏΠ»Π°Π½ΠΎΠΌ Π·Π΅ΠΌΠ΅Π»ΡΠ½ΠΎΠ³ΠΎ ΡΡΠ°ΡΡΠΊΠ°, Π±Π΅Π· Π½Π΅Π΅ ΡΠΏΠ΅ΡΠΈΠ°Π»ΠΈΡΡΡ ΠΈ ΠΏΡΠΎΡΠ΅ΡΡΠΈΠΎΠ½Π°Π»Ρ Π½Π΅ ΠΎΠ±ΠΎΠΉΠ΄ΡΡΡΡ. ΠΡΠ±Π°Ρ ΠΏΡΠΎΠ΅ΠΊΡΠ½Π°Ρ Π΄ΠΎΠΊΡΠΌΠ΅Π½ΡΠ°ΡΠΈΡ Π±ΡΠ΄Π΅Ρ ΡΡΡΠΎΠΈΡΡΡΡ Π½Π° ΠΎΡΠ½ΠΎΠ²Π°Π½ΠΈΠΈ ΡΡΠΎΠ³ΠΎ ΠΏΠ»Π°Π½Π°.

ΠΡΠΎΠ²Π΅ΡΡΡΠ΅, Π΅ΡΡΡ Π»ΠΈ Π² Π²Π°ΡΠΈΡ Π΄ΠΎΠΊΡΠΌΠ΅Π½ΡΠ°Ρ Π³Π΅ΠΎΠΏΠΎΠ΄ΠΎΡΠ½ΠΎΠ²Π°. ΠΠ½Π° Π²ΡΠΏΠΎΠ»Π½ΡΠ΅ΡΡΡ Π² ΠΌΠ°ΡΡΡΠ°Π±Π΅ 1:500.
ΠΠ΄Π½Π°ΠΊΠΎ, ΠΌΠΎΠΆΠ΅Ρ Π±ΡΡΡ ΡΠΎΠ·Π΄Π°Π½Π° ΠΈ Π² Π΄ΡΡΠ³ΠΎΠΌ ΠΌΠ°ΡΡΡΠ°Π±Π΅, Π²ΡΠ΅ Π±ΡΠ΄Π΅Ρ Π·Π°Π²ΠΈΡΠ΅ΡΡ ΠΎΡ ΡΠΈΠΏΠ° Π²Π°ΡΠ΅ΠΉ ΡΡΠ΅ΠΌΠΊΠΈ ΠΈ Π²ΠΈΠ΄ΠΎΠ² ΠΏΡΠΎΠ²Π΅Π΄Π΅Π½Π½ΡΡ ΡΠ°Π±ΠΎΡ.
Π’ΠΎΠΏΠΎΠ³Π΅ΠΎΠ΄Π΅Π·ΠΈΡΠ΅ΡΠΊΠΈΠ΅ Π΄ΠΎΠΊΡΠΌΠ΅Π½ΡΡ ΠΈΠΌΠ΅ΡΡ ΡΡΠΈΠ΄ΠΈΡΠ΅ΡΠΊΡΡ ΡΠΈΠ»Ρ Π² ΡΠ΅ΡΠ΅Π½ΠΈΠ΅ 3 Π»Π΅Ρ. ΠΡΠ»ΠΈ ΡΡΠΎΡ ΠΏΠ΅ΡΠΈΠΎΠ΄ ΠΏΡΠΎΡΠ΅Π», ΡΠΎ ΠΏΡΠΈΠ΄Π΅ΡΡΡ ΠΏΡΠΎΠ²ΠΎΠ΄ΠΈΡΡ Π·Π°Π½ΠΎΠ²ΠΎ ΡΠΎΠΏΠΎΡΡΠ΅ΠΌΠΊΡ.
ΠΠ°ΠΊ ΠΏΠΎΠΊΠ°Π·Π°Π»Π° ΠΏΡΠ°ΠΊΡΠΈΠΊΠ°, ΡΠΎΠΏΠΎΡΡΠ΅ΠΌΠΊΠ° ΡΠ²Π»ΡΠ΅ΡΡΡ Π½Π΅Π·Π°ΠΌΠ΅Π½ΠΈΠΌΡΠΌ ΠΈΠ½ΡΡΡΡΠΌΠ΅Π½ΡΠΎΠΌ ΠΏΡΠΈ ΡΠΎΡΡΠ°Π²Π»Π΅Π½ΠΈΠΈ ΠΏΡΠΎΠ΅ΠΊΡΠ½ΡΡ Π΄ΠΎΠΊΡΠΌΠ΅Π½ΡΠΎΠ². Π’Π΅ΠΏΠ΅ΡΡ Π²Ρ Π·Π½Π°Π΅ΡΠ΅, ΡΡΠΎ ΡΡΠΎ ΡΠ°ΠΊΠΎΠ΅. Π§ΠΈΡΠ°ΠΉΡΠ΅ Π΄ΡΡΠ³ΡΡ Π½Π°ΡΡ ΡΡΠ°ΡΡΡ ΠΎ ΡΠΎΠΌ, ΠΊΠ°ΠΊ ΠΏΡΠΎΠ²ΠΎΠ΄ΡΡΡΡ Π³Π΅ΠΎΠ΄Π΅Π·ΠΈΡΠ΅ΡΠΊΠΈΠ΅ ΡΠ°Π±ΠΎΡΡ Π½Π° Π·Π΅ΠΌΠ΅Π»ΡΠ½ΠΎΠΌ ΡΡΠ°ΡΡΠΊΠ΅ ΠΈ ΡΡΠΎ ΠΎΠ½ΠΈ ΠΈΠ· ΡΠ΅Π±Ρ ΠΏΡΠ΅Π΄ΡΡΠ°Π²Π»ΡΡΡ.
ΠΠΎΠ·ΠΌΠΎΠΆΠ½ΠΎ, Π²Π°ΠΌ Π±ΡΠ΄Π΅Ρ ΠΈΠ½ΡΠ΅ΡΠ΅ΡΠ½ΠΎ ΡΠ·Π½Π°ΡΡ, Π΄Π»Ρ ΡΠ΅Π³ΠΎ Π½ΡΠΆΠ½Π° ΡΠΊΡΠΏΠ΅ΡΡΠΈΠ·Π° Π·Π΅ΠΌΠ΅Π»ΡΠ½ΠΎΠ³ΠΎ ΡΡΠ°ΡΡΠΊΠ°. ΠΠ± ΡΡΠΎΠΉ ΠΏΡΠΎΡΠ΅Π΄ΡΡΠ΅, Π° ΡΠ°ΠΊΠΆΠ΅ ΠΎ ΡΡΠΎΠΈΠΌΠΎΡΡΠΈ, ΡΡΠΎΠΊΠ°Ρ ΠΈΠ·Π³ΠΎΡΠΎΠ²Π»Π΅Π½ΠΈΡ Π·Π°ΠΊΠ»ΡΡΠ΅Π½ΠΈΡ Π·Π΅ΠΌΠ»Π΅ΡΡΡΡΠΎΠΈΡΠ΅Π»ΡΠ½ΠΎΠΉ ΡΠΊΡΠΏΠ΅ΡΡΠΈΠ·Ρ ΠΌΠΎΠΆΠ½ΠΎ ΠΏΡΠΎΡΠ΅ΡΡΡ ΡΡΡ
ΠΡΡΠ°Π»ΠΈΡΡ Π²ΠΎΠΏΡΠΎΡΡ? ΠΡΠΎΡΡΠΎ ΠΏΠΎΠ·Π²ΠΎΠ½ΠΈΡΠ΅ Π½Π°ΠΌ:Π‘Π°Π½ΠΊΡ-ΠΠ΅ΡΠ΅ΡΠ±ΡΡΠ³
8 (812) 627-14-02;
ΠΠΎΡΠΊΠ²Π°
8 (499) 350-44-31
pravo812.ru
Π’ΠΎΠΏΠΎΠ³ΡΠ°ΡΠΈΡΠ΅ΡΠΊΠ°Ρ ΡΡΠ΅ΠΌΠΊΠ° Π·Π΅ΠΌΠ΅Π»ΡΠ½ΠΎΠ³ΠΎ ΡΡΠ°ΡΡΠΊΠ° Π΄Π»Ρ ΡΡΡΠΎΠΈΡΠ΅Π»ΡΡΡΠ²Π° ΠΈ Π½Π΅ ΡΠΎΠ»ΡΠΊΠΎ
Π’ΠΎΠΏΠΎΠ³ΡΠ°ΡΠΈΡΠ΅ΡΠΊΠ°Ρ ΡΡΠ΅ΠΌΠΊΠ° Π·Π΅ΠΌΠ΅Π»ΡΠ½ΠΎΠ³ΠΎ ΡΡΠ°ΡΡΠΊΠ° Π²Π°ΠΆΠ½ΡΠΉ ΠΏΡΠΎΡΠ΅ΡΡ ΠΏΠ΅ΡΠ΅Π΄ ΡΡΡΠΎΠΈΡΠ΅Π»ΡΡΡΠ²ΠΎΠΌ, ΠΏΠΎΠ΄Π²ΠΎΠ΄ΠΊΠΎΠΉ ΠΊΠΎΠΌΠΌΡΠ½ΠΈΠΊΠ°ΡΠΈΠΉ. Π ΡΠ΅Π·ΡΠ»ΡΡΠ°ΡΠ΅ ΡΠΎΠΏΠΎΡΡΠ΅ΠΌΠΊΠΈ ΠΏΠΎΠ»ΡΡΠ°ΡΡ ΡΡΠ΅ΠΌΠΎΡΠ½ΡΠΉ ΠΎΡΠΈΠ³ΠΈΠ½Π°Π» ΠΏΠ»Π°Π½Π° ΠΌΠ΅ΡΡΠ½ΠΎΡΡΠΈ, Π³Π΄Π΅ ΡΠΊΠ°Π·ΡΠ²Π°ΡΡΡΡ Π²ΡΠ΅ ΠΎΠ±ΡΠ΅ΠΊΡΡ, ΡΠ°ΡΡΡΠΎΡΠ½ΠΈΡ ΠΌΠ΅ΠΆΠ΄Ρ Π½ΠΈΠΌΠΈ ΠΈ ΡΠ΅Π»ΡΠ΅Ρ. Π Π°Π±ΠΎΡΠ°ΡΡ Π½Π° ΡΡΠ°ΡΡΠΊΠ΅ ΡΡΠ°Π½ΠΎΠ²ΠΈΡΡΡ ΠΏΡΠΎΡΠ΅, Π·Π½Π°Ρ Π΅Π³ΠΎ Π³ΡΠ°Π½ΠΈΡΡ ΠΈ Π»ΠΈΠ½ΠΈΠΈ ΠΊΠΎΠΌΠΌΡΠ½Π°Π»ΡΠ½ΡΡ ΡΡΠ»ΡΠ³.
Π’ΠΎΠΏΠΎΠ³ΡΠ°ΡΠΈΡΠ΅ΡΠΊΠ°Ρ ΡΡΠ΅ΠΌΠΊΠ° β ΡΡΠΎ ΡΡΠΎ ΡΠ°ΠΊΠΎΠ΅?
ΠΠΎΠΌΠΏΠ»Π΅ΠΊΡΠ½Π°Ρ Π³Π΅ΠΎΠ΄Π΅Π·ΠΈΡΠ΅ΡΠΊΠ°Ρ ΡΠ°Π±ΠΎΡΠ°, ΠΏΡΠΎΠ²ΠΎΠ΄ΠΈΠΌΠ°Ρ Π½Π° ΠΌΠ΅ΡΡΠ½ΠΎΡΡΠΈ, Π΄Π»Ρ ΡΠΎΠ·Π΄Π°Π½ΠΈΡ ΠΊΠ°ΡΡΡ ΠΈΠ»ΠΈ ΡΠΎΠΏΠΎΠ³ΡΠ°ΡΠΈΡΠ΅ΡΠΊΠΎΠ³ΠΎ ΠΏΠ»Π°Π½Π° ΠΌΠ΅ΡΡΠ½ΠΎΡΡΠΈ Π½Π°Π·ΡΠ²Π°ΡΡ ΡΠΎΠΏΠΎΠ³ΡΠ°ΡΠΈΡΠ΅ΡΠΊΠΎΠΉ ΡΡΠ΅ΠΌΠΊΠΎΠΉ ΠΌΠ΅ΡΡΠ½ΠΎΡΡΠΈ. ΠΠ΅ΠΎΠ΄Π΅Π·ΠΈΡΡ ΠΎΠ±ΡΠ°Π±Π°ΡΡΠ²Π°Π΅Ρ ΠΏΠΎΠ»ΡΡΠ΅Π½Π½ΡΠ΅ ΡΠ΅Π·ΡΠ»ΡΡΠ°ΡΡ ΠΈ ΠΏΠΎΠ»ΡΡΠ°Π΅Ρ Π²ΡΡΠΎΡΡ ΡΠΎΡΠ΅ΠΊ ΠΈ ΠΈΡ ΠΊΠΎΠΎΡΠ΄ΠΈΠ½Π°ΡΡ. ΠΡΠΈ Π΄Π°Π½Π½ΡΠ΅ ΠΏΠΎΠΌΠΎΠ³Π°ΡΡ Π½Π°ΡΠ΅ΡΡΠΈΡΡ ΠΈΠ½ΠΆΠ΅Π½Π΅ΡΠ½ΠΎ-ΡΠΎΠΏΠΎΠ³ΡΠ°ΡΠΈΡΠ΅ΡΠΊΠΈΠΉ ΠΏΠ»Π°Π½.
ΠΠ·ΠΌΠ΅ΡΠ΅Π½ΠΈΡ Π΄Π΅Π»Π°ΡΡΡΡ ΠΏΠΎ ΡΡΠ°Π½Π΄Π°ΡΡΠ°ΠΌ ΠΈ ΠΏΡΠ΅Π΄ΠΎΡΡΠ°Π²Π»ΡΡΡΡΡ ΠΎΠ±ΡΠ΅ΠΏΡΠΈΠ½ΡΡΠΎΠΉ ΡΠΎΡΠΌΠΎΠΉ ΠΠΠ‘Π’Π° 22268-76. ΠΠ°Π·Π΅ΠΌΠ½Π°Ρ ΡΡΠ΅ΠΌΠΊΠ° Π΄Π΅Π»ΠΈΡΡΡ:
- Π½Π° ΠΏΠ»Π°Π½ΠΎΠ²ΡΡ. ΠΠΏΡΠ΅Π΄Π΅Π»ΡΡΡΡΡ ΠΊΠΎΠΎΡΠ΄ΠΈΠ½Π°ΡΡ Π³ΠΎΡΠΈΠ·ΠΎΠ½ΡΠ°Π»ΡΠ½ΡΡ ΡΠΎΡΠ΅ΠΊ ΠΌΠ΅ΡΡΠ½ΠΎΡΡΠΈ.
- Π½Π° Π²ΡΡΠΎΡΠ½ΡΡ ΠΈΠ»ΠΈ Π²Π΅ΡΡΠΈΠΊΠ°Π»ΡΠ½ΡΡ. ΠΠΏΡΠ΅Π΄Π΅Π»ΡΡΡΡΡ Ρ Π°ΡΠ°ΠΊΡΠ΅ΡΠ½ΡΠ΅ Π²ΡΡΠΎΡΠ½ΡΠ΅ ΡΠΎΡΠΊΠΈ Π½Π° ΠΈΠ·ΡΡΠ°Π΅ΠΌΠΎΠΉ ΠΌΠ΅ΡΡΠ½ΠΎΡΡΠΈ.
- Π½Π° ΠΊΠΎΠΌΠ±ΠΈΠ½ΠΈΡΠΎΠ²Π°Π½Π½ΡΡ. ΠΠ΅ΡΠ²ΡΠ΅ Π΄Π²Π° ΡΠΈΠΏΠ° ΡΠΎΠ²ΠΌΠ΅ΡΠ°ΡΡΡΡ.
ΠΠ»Π°Π½ ΠΌΠ΅ΡΡΠ½ΠΎΡΡΠΈ Π²ΠΊΠ»ΡΡΠ°Π΅Ρ Π² ΡΠ΅Π±Ρ:
- ΠΊΠΎΠ½ΡΡΡΡ Π·Π΄Π°Π½ΠΈΠΉ;
- Π½Π°Π·Π΅ΠΌΠ½ΡΠ΅ ΠΈ ΠΏΠΎΠ΄Π·Π΅ΠΌΠ½ΡΠ΅ ΠΊΠΎΠΌΠΌΡΠ½ΠΈΠΊΠ°ΡΠΈΠΈ;
- Π΄Π΅ΡΠ΅Π²ΡΡ;
- Π΄ΠΎΡΠΎΠ³ΠΈ;
- ΠΎΠ³ΡΠ°ΠΆΠ΄Π΅Π½ΠΈΡ;
- ΡΠ΅Π»ΡΠ΅Ρ ΠΌΠ΅ΡΡΠ½ΠΎΡΡΠΈ.
ΠΠ»Ρ ΡΠ°Π±ΠΎΡ ΠΏΡΠΈΠΌΠ΅Π½ΡΡΡ ΡΠΏΠ΅ΡΠΈΠ°Π»ΡΠ½ΡΠ΅ Π²ΡΡΠΎΠΊΠΎΡΠΎΡΠ½ΡΠ΅ Π³Π΅ΠΎΠ΄Π΅Π·ΠΈΡΠ΅ΡΠΊΠΈΠ΅ GPS-ΠΏΡΠΈΠ±ΠΎΡΡ ΠΈ ΡΠ°Ρ Π΅ΠΎΠΌΠ΅ΡΡΡ. Π’ΠΎΠΏΠΎΠ³ΡΠ°ΡΠΈΡΠ΅ΡΠΊΡΡ ΡΡΠ΅ΠΌΠΊΡ Π²ΡΠΏΠΎΠ»Π½ΡΡΡ Π² ΡΠ»Π΅ΠΊΡΡΠΎΠ½Π½ΠΎΠΌ Π²ΠΈΠ΄Π΅. Π¦ΠΈΡΡΠΎΠ²Π°Ρ ΡΡΠ΅ΠΌΠΊΠ° Π΄Π°Π΅Ρ Π²ΠΎΠ·ΠΌΠΎΠΆΠ½ΠΎΡΡΡ ΠΏΡΠΎΠ΅ΠΊΡΠΈΡΠΎΠ²Π°ΡΡ ΠΌΠ΅ΡΡΠ½ΠΎΡΡΡ Π»ΡΠ±ΠΎΠΉ ΡΠ»ΠΎΠΆΠ½ΠΎΡΡΠΈ. Π’Π°ΠΊΠΈΠΌ ΡΠΏΠΎΡΠΎΠ±ΠΎΠΌ Π²ΡΠΏΠΎΠ»Π½ΡΡΡΡΡ ΠΊΠ°Π΄Π°ΡΡΡΠΎΠ²ΡΠ΅, Π³Π΅ΠΎΠ΄Π΅Π·ΠΈΡΠ΅ΡΠΊΠΈΠ΅ ΠΈ Π°ΡΡ ΠΈΡΠ΅ΠΊΡΡΡΠ½ΡΠ΅ ΡΠ°Π±ΠΎΡΡ.

ΠΏΡΠΈΠΌΠ΅Ρ ΡΠΎΠΏΠΎΠ³ΡΠ°ΡΠΈΡΠ΅ΡΠΊΠΎΠΉ ΡΡΠ΅ΠΌΠΊΠΈ
Π‘ΡΠ΅ΠΌΠΊΠ° Π±ΡΠ²Π°Π΅Ρ ΡΠ°Π·Π½ΡΡ ΠΌΠ°ΡΡΡΠ°Π±ΠΎΠ². ΠΡΠ±ΠΈΡΠ°Π΅ΡΡΡ ΠΌΠ°ΡΡΡΠ°Π± Π² Π·Π°Π²ΠΈΡΠΈΠΌΠΎΡΡΠΈ ΠΎΡ Π³Π΅ΠΎΠ΄Π΅Π·ΠΈΡΠ΅ΡΠΊΠΎΠΉ ΡΠ°Π±ΠΎΡΡ. ΠΡΠΈ ΠΌΠ΅Π½ΡΡΠ΅ΠΌ ΠΌΠ°ΡΡΡΠ°Π±Π΅ ΠΎΠ±ΡΠ΅ΠΊΡ ΡΠ°Π±ΠΎΡ Π΄Π΅Π»Π°Π΅ΡΡΡ ΠΊΡΡΠΏΠ½Π΅Π΅, ΡΠΌΠ΅Π½ΡΡΠ°Ρ ΡΠΎΡΠ½ΠΎΡΡΡ ΠΈ ΠΈΠ½ΡΠΎΡΠΌΠ°ΡΠΈΠ²Π½ΠΎΡΡΡ ΠΏΠ»Π°Π½Π°. ΠΡΡΠΏΠ½ΡΠ΅ ΠΏΠ»Π°Π½Ρ ΠΏΡΠ΅Π΄ΠΏΠΎΠ»Π°Π³Π°ΡΡ Π²ΡΡΠΎΠΊΡΡ ΡΠΎΡΠ½ΠΎΡΡΡ Ρ ΡΠΊΠ°Π·Π°Π½ΠΈΠ΅ΠΌ ΠΌΠ΅Π»ΠΊΠΈΡ ΠΎΠ±ΡΠ΅ΠΊΡΠΎΠ² Π½Π° ΡΡΠ°ΡΡΠΊΠ΅ ΠΈ ΠΏΠΎΠ΄Π·Π΅ΠΌΠ½ΡΡ ΠΊΠΎΠΌΠΌΡΠ½ΠΈΠΊΠ°ΡΠΈΠΉ. ΠΡΠ½ΠΎΠ²Π½ΡΠ΅ ΠΈ ΡΠ°ΡΠΏΡΠΎΡΡΡΠ°Π½Π΅Π½Π½ΡΠ΅ ΠΌΠ°ΡΡΡΠ°Π±Ρ: 1 : 200 ΠΈ 1 : 500.
ΠΊ ΡΠΎΠ΄Π΅ΡΠΆΠ°Π½ΠΈΡ βΠΠ»Ρ ΡΠ΅Π³ΠΎ Π½ΡΠΆΠ½Π° ΡΠΎΠΏΠΎΡΡΠ΅ΠΌΠΊΠ° ΡΡΠ°ΡΡΠΊΠ°?
Π’ΠΎΠΏΠΎΠ³ΡΠ°ΡΠΈΡΠ΅ΡΠΊΠ°Ρ ΡΡΠ΅ΠΌΠΊΠ° Π·Π΅ΠΌΠ΅Π»ΡΠ½ΠΎΠ³ΠΎ ΡΡΠ°ΡΡΠΊΠ° ΡΠ²Π»ΡΠ΅ΡΡΡ Π²Π°ΠΆΠ½ΠΎΠΉ ΠΏΡΠΎΡΠ΅Π΄ΡΡΠΎΠΉ ΠΏΠ΅ΡΠ΅Π΄ ΡΠ°Π·Π»ΠΈΡΠ½ΡΠΌΠΈ ΠΌΠ°Π½ΠΈΠΏΡΠ»ΡΡΠΈΡΠΌΠΈ Ρ Π·Π΅ΠΌΠ΅Π»ΡΠ½ΡΠΌ ΡΡΠ°ΡΡΠΊΠΎΠΌ. Π ΡΠ°ΠΊΠΎΠΉ ΡΠ°Π±ΠΎΡΠ΅ ΠΏΡΠΈΠ±Π΅Π³Π°ΡΡ Π½Π΅ ΡΠΎΠ»ΡΠΊΠΎ ΠΊΡΡΠΏΠ½ΡΠ΅ ΡΡΡΠΎΠΈΡΠ΅Π»ΠΈ ΡΠΈΡΠΌ, Π½ΠΎ ΠΈ ΠΏΡΠΎΡΡΡΠ΅ Π²Π»Π°Π΄Π΅Π»ΡΡΡ Π½Π΅Π±ΠΎΠ»ΡΡΠΈΡ ΡΡΠ°ΡΡΠΊΠΎΠ². ΠΡΠΎΠΈΠ·Π²ΠΎΠ΄ΠΈΡΡΡ ΡΡΠ΅ΠΌΠΊΠ° Π΄Π»Ρ ΡΠΎΡΠ½ΠΎΠΉ ΠΌΠ°ΡΠΊΠΈΡΠΎΠ²ΠΊΠΈ Π³ΡΠ°Π½ΠΈΡ Π²Π»Π°Π΄Π΅Π½ΠΈΠΉ, ΡΡΡΠ°Π½ΠΎΠ²ΠΊΠΈ ΠΌΠ΅ΡΡ ΠΏΡΠΎΡ ΠΎΠΆΠ΄Π΅Π½ΠΈΡ ΠΏΠΎΠ΄Π·Π΅ΠΌΠ½ΡΡ ΠΊΠΎΠΌΠΌΡΠ½ΠΈΠΊΠ°ΡΠΈΠΉ, ΡΡΠΎΠ±Ρ ΠΈΠ·Π±Π΅ΠΆΠ°ΡΡ ΡΠΏΠΎΡΠΎΠ² ΠΈ ΠΊΠΎΠ½ΡΠ»ΠΈΠΊΡΠΎΠ² Ρ ΡΠΎΡΠ΅Π΄ΡΠΌΠΈ ΠΈ ΠΏΡΠΎΡΠΈΠΌΠΈ ΠΊΠΎΠΌΠΌΡΠ½Π°Π»ΡΠ½ΡΠΌΠΈ ΡΠ»ΡΠΆΠ±Π°ΠΌΠΈ.
ΠΠΎΠ³Π΄Π° Π΄Π΅Π»Π°ΡΡ ΡΠΎΠΏΠΎΠ³ΡΠ°ΡΠΈΡΠ΅ΡΠΊΡΡ ΡΡΠ΅ΠΌΠΊΡ?
- ΠΠΎΠ΄ΠΊΠ»ΡΡΠ΅Π½ΠΈΠ΅ ΠΊ ΡΠ»Π΅ΠΊΡΡΠΎΡΠ΅ΡΡΠΌ, Π²ΠΎΠ΄ΠΎΠΏΡΠΎΠ²ΠΎΠ΄Ρ, ΡΠ΅ΠΏΠ»ΠΎΡΠ΅ΡΠΈ, Π³Π°Π·ΠΎΠΏΡΠΎΠ²ΠΎΠ΄Ρ, ΠΊΠ°Π½Π°Π»ΠΈΠ·Π°ΡΠΈΠΈ, Π³ΠΎΡΠΎΠ΄ΡΠΊΠΎΠΌΡ ΡΠ΅Π»Π΅ΡΠΎΠ½Π½ΠΎΠΌΡ ΠΊΠ°Π±Π΅Π»Ρ.
- ΠΠ΅ΡΠ΅ΠΏΠ»Π°Π½ΠΈΡΠΎΠ²ΠΊΠ° Π²ΡΡΠ΅ΠΏΠ΅ΡΠ΅ΡΠΈΡΠ»Π΅Π½Π½ΡΡ ΠΊΠΎΠΌΠΌΡΠ½ΠΈΠΊΠ°ΡΠΈΠΉ.
- ΠΠΎΠ»ΡΡΠ΅Π½ΠΈΠ΅ ΡΠ°Π·ΡΠ΅ΡΠ΅Π½ΠΈΠ΅ Π½Π° ΡΡΡΠΎΠΈΡΠ΅Π»ΡΡΡΠ²ΠΎ.
- ΠΡΠΈΠΎΠ±ΡΠ΅ΡΠ΅Π½ΠΈΠ΅ ΡΡΠ°ΡΡΠΊΠ° Π² ΡΠΎΠ±ΡΡΠ²Π΅Π½Π½ΠΎΡΡΡ, Π°ΡΠ΅Π½Π΄Ρ.
- Π Π°Π±ΠΎΡΡ-ΠΏΡΠΎΠ΅ΠΊΡΡ ΠΏΠΎ ΡΠ΅ΠΊΠΎΠ½ΡΡΡΡΠΊΡΠΈΠΈ Π·Π΄Π°Π½ΠΈΠΉ, ΡΡΡΠΎΠΈΡΠ΅Π»ΡΡΡΠ²Ρ.
- ΠΡΠΈΠ²ΡΠ·ΠΊΠ° ΡΡΡΠΎΡΡΠ΅Π³ΠΎΡΡ Π·Π΄Π°Π½ΠΈΡ ΠΊ ΠΌΠ΅ΡΡΠ½ΠΎΡΡΠΈ.
- ΠΡΡΠΈΡΠ»Π΅Π½ΠΈΠ΅ ΠΎΠ±ΡΠ΅ΠΌΠΎΠ² ΡΠ°Π±ΠΎΡ Π½Π° Π·Π΅ΠΌΠ»Π΅.
- ΠΠ°Π½Π΄ΡΠ°ΡΡΠ½ΡΠΉ Π΄ΠΈΠ·Π°ΠΉΠ½.
ΠΠ°ΠΊ Π΄Π΅Π»Π°Π΅ΡΡΡ?
ΠΡΠ»ΠΈ Π½Π° ΡΡΠ°ΡΡΠΊΠ΅, Π½ΡΠΆΠ½ΠΎ ΠΏΡΠΎΠ²Π΅ΡΡΠΈ Π³Π΅ΠΎΠ΄Π΅Π·ΠΈΡΠ΅ΡΠΊΠΈΠ΅ ΡΠ°Π±ΠΎΡΡ ΠΏΠ΅ΡΠ΅Π΄ ΡΡΡΠΎΠΈΡΠ΅Π»ΡΡΡΠ²ΠΎΠΌ, ΡΠΎ Π½Π΅ΠΎΠ±Ρ ΠΎΠ΄ΠΈΠΌΠΎ Π²ΡΠΏΠΎΠ»Π½ΠΈΡΡ ΠΎΠΏΡΠ΅Π΄Π΅Π»Π΅Π½Π½ΡΠ΅ ΡΡΠ°ΠΏΡ.
- ΠΠΎΠ΄Π³ΠΎΡΠΎΠ²ΠΈΡΠ΅Π»ΡΠ½ΡΠΉ. ΠΠ°ΠΊΠ»ΡΡΠ°Π΅ΡΡΡ ΠΊΠΎΠ½ΡΡΠ°ΠΊΡ, ΠΏΠΎΠ΄Π³ΠΎΡΠ°Π²Π»ΠΈΠ²Π°Π΅ΡΡΡ Π½Π΅ΠΎΠ±Ρ ΠΎΠ΄ΠΈΠΌΠ°Ρ Π΄ΠΎΠΊΡΠΌΠ΅Π½ΡΠ°ΡΠΈΡ. ΠΠΎΡΠ΅ΡΠ°ΡΡΡΡ ΡΠΏΠ΅ΡΠΈΠ°Π»ΡΠ½ΡΠ΅ ΠΎΡΠ³Π°Π½Ρ, ΠΊΠΎΡΠΎΡΡΠ΅ Π΄Π°ΡΡ ΡΠ°Π·ΡΠ΅ΡΠ΅Π½ΠΈΠ΅ Π½Π° ΠΏΡΠΎΠ²Π΅Π΄Π΅Π½ΠΈΠ΅ ΡΠ°Π±ΠΎΡΡ.
- ΠΠΎΠ»Π΅Π²ΠΎΠΉ. ΠΠ΅ΠΎΠ΄Π΅Π·ΠΈΡΡ ΠΏΡΠΈΠ΅Π·ΠΆΠ°Π΅Ρ Π½Π° ΡΡΠ°ΡΡΠΎΠΊ ΠΈ ΠΏΡΠΎΠ²ΠΎΠ΄ΠΈΡ ΡΠΎΠΏΠΎΠ³ΡΠ°ΡΠΈΡΠ΅ΡΠΊΡΡ ΡΡΠ΅ΠΌΠΊΡ.
- ΠΡΠΎΠ³ΠΎΠ²ΡΠΉ. Π‘ΠΎΡΡΠ°Π²Π»ΡΠ΅ΡΡΡ ΠΏΠ»Π°Π½ ΠΈ ΡΠ΅Ρ Π½ΠΈΡΠ΅ΡΠΊΠΈΠΉ ΠΎΡΡΠ΅Ρ, ΡΠ΄Π°Π΅ΡΡΡ ΡΠ°Π±ΠΎΡΠ°.
ΠΠ°Π½Π½ΡΠ΅ ΠΎ ΠΌΠ΅ΡΡΠ½ΠΎΡΡΠΈ Π½ΡΠΆΠ½Ρ Π²ΡΠ΅Π³Π΄Π°. ΠΠ΅Π· ΡΠΎΠΏΠΎΠ³ΡΠ°ΡΠΈΡΠ΅ΡΠΊΠΎΠΉ ΡΡΠ΅ΠΌΠΊΠΈ Π½Π΅Π»ΡΠ·Ρ ΡΠ΅ΡΠΊΠΎ ΠΎΠΏΡΠ΅Π΄Π΅Π»ΠΈΡΡ Π³ΡΠ°Π½ΠΈΡΡ ΡΡΠ°ΡΡΠΊΠ°, ΠΏΠΎΠ΄ΠΊΠ»ΡΡΠΈΡΡΡΡ ΠΊ ΠΊΠΎΠΌΠΌΡΠ½ΠΈΠΊΠ°ΡΠΈΡΠΌ, ΠΏΠΎΡΡΡΠΎΠΈΡΡ Π΄ΠΎΠΌ ΠΈ ΡΠ΄Π°ΡΡ Π΅Π³ΠΎ Π² ΡΠΊΡΠΏΠ»ΡΠ°ΡΠ°ΡΠΈΡ. ΠΠ΅ΠΎΠ΄Π΅Π·ΠΈΡΡΡ ΠΈ ΡΠΎΠΏΠΎΠ³ΡΠ°ΡΡ ΠΏΡΠ΅Π΄Π»Π°Π³Π°ΡΡ ΡΠ²ΠΎΠΈ ΡΡΠ»ΡΠ³ΠΈ ΠΈ Π²ΡΠΏΠΎΠ»Π½Π΅Π½ΠΈΠ΅ Π»ΡΠ±ΠΎΠΉ ΡΠ»ΠΎΠΆΠ½ΠΎΡΡΠΈ ΠΏΠ»Π°Π½ΠΎΠ² Ρ ΠΏΡΠΈΠΌΠ΅Π½Π΅Π½ΠΈΠ΅ΠΌ ΡΠ°Π·Π»ΠΈΡΠ½ΡΡ ΡΡΡΡΠΎΠΉΡΡΠ².
ΠΠΈΠ΄Π΅ΠΎ ΠΎ ΡΠΎΠΏΠΎΠ³ΡΠ°ΡΠΈΡΠ΅ΡΠΊΠΎΠΉ ΡΡΠ΅ΠΌΠΊΠΈ Π·Π΅ΠΌΠ΅Π»ΡΠ½ΠΎΠ³ΠΎ ΡΡΠ°ΡΡΠΊΠ°:
karkasnik.su
ΠΊΠ°ΠΊ ΠΏΠΎΠ»ΡΡΠΈΡΡ ΠΏΠΎ ΠΊΠ°Π΄Π°ΡΡΡΠΎΠ²ΠΎΠΌΡ Π½ΠΎΠΌΠ΅ΡΡ, ΠΏΠΎΡΡΠ΅Π΄ΡΡΠ²ΠΎΠΌ ΠΏΡΠΎΠ²Π΅Π΄Π΅Π½ΠΈΡ ΡΠ°Π±ΠΎΡ
Π‘ΠΏΠ΅ΡΠΈΠ°Π»ΡΠ½ΡΠΉ Π΄ΠΎΠΊΡΠΌΠ΅Π½Ρ, Π² ΠΊΠΎΡΠΎΡΠΎΠΌ Π³ΡΠ°ΡΠΈΡΠ΅ΡΠΊΠΈ ΠΈΠ·ΠΎΠ±ΡΠ°ΠΆΠ°Π΅ΡΡΡ ΠΎΠΏΡΠ΅Π΄Π΅Π»ΡΠ½Π½Π°Ρ ΠΌΠ΅ΡΡΠ½ΠΎΡΡΡ, Π½Π°Π·ΡΠ²Π°Π΅ΡΡΡ ΡΠΎΠΏΠΎΠ³ΡΠ°ΡΠΈΡΠ΅ΡΠΊΠΈΠΌ ΠΏΠ»Π°Π½ΠΎΠΌ.
ΠΠ»Ρ ΡΠΎΠ·Π΄Π°Π½ΠΈΡ Π΄Π°Π½Π½ΠΎΠ³ΠΎ Π΄ΠΎΠΊΡΠΌΠ΅Π½ΡΠ° Π½Π° ΠΊΠΎΠ½ΠΊΡΠ΅ΡΠ½ΠΎΠΉ ΡΠ΅ΡΡΠΈΡΠΎΡΠΈΠΈ ΠΏΡΠΎΠ²ΠΎΠ΄ΡΡΡΡ Π³Π΅ΠΎΠ΄Π΅Π·ΠΈΡΠ΅ΡΠΊΠΈΠ΅ ΠΈΡΡΠ»Π΅Π΄ΠΎΠ²Π°Π½ΠΈΡ, ΡΠ΅Π·ΡΠ»ΡΡΠ°ΡΡ Π°Π½Π°Π»ΠΈΠ·Π° ΠΈΠ·ΡΡΠ°ΡΡΡΡ ΠΈ ΠΎΠ±ΡΠ°Π±Π°ΡΡΠ²Π°ΡΡΡΡ, ΠΈ Π½Π° ΠΎΡΠ½ΠΎΠ²Π΅ ΠΏΠΎΠ»ΡΡΠ΅Π½Π½ΡΡ Π΄Π°Π½Π½ΡΡ ΡΠΎΡΡΠ°Π²Π»ΡΠ΅ΡΡΡ ΡΠΎΠΏΠΎΠΏΠ»Π°Π½.
Π’ΠΎΠΏΠΎΠ³ΡΠ°ΡΠΈΡΠ΅ΡΠΊΠΈΠΉ ΠΏΠ»Π°Π½ ΠΏΡΠ°ΠΊΡΠΈΡΠ΅ΡΠΊΠΈ Π½Π΅ ΠΎΡΠ»ΠΈΡΠ°Π΅ΡΡΡ ΠΎΡ Π³Π΅ΠΎΠ³ΡΠ°ΡΠΈΡΠ΅ΡΠΊΠΎΠΉ ΠΊΠ°ΡΡΡ.
ΠΡΠ½ΠΎΠ²Π½Π°Ρ ΡΠ°Π·Π½ΠΈΡΠ° ΠΌΠ΅ΠΆΠ΄Ρ Π΄Π²ΡΠΌΡ Π΄ΠΎΠΊΡΠΌΠ΅Π½ΡΠ°ΠΌΠΈ Π·Π°ΠΊΠ»ΡΡΠ°Π΅ΡΡΡ Π² ΠΈΡΠΏΠΎΠ»ΡΠ·ΡΠ΅ΠΌΡΡ ΠΌΠ°ΡΡΡΠ°Π±Π°Ρ .
ΠΠ°ΠΊ ΠΈΠ·Π²Π΅ΡΡΠ½ΠΎ, Π² ΠΊΠ°ΡΡΠ°Ρ ΠΎΡΠΎΠ±ΡΠ°ΠΆΠ°ΡΡΡΡ Π±ΠΎΠ»Π΅Π΅ ΠΎΠ±ΡΠΈΡΠ½ΡΠ΅ ΡΠ΅ΡΡΠΈΡΠΎΡΠΈΠΈ, Π² ΡΠΎ Π²ΡΠ΅ΠΌΡ ΠΊΠ°ΠΊ ΡΠΎΠΏΠΎΠΏΠ»Π°Π½ ΡΠΎΠ΄Π΅ΡΠΆΠΈΡ Π΄Π°Π½Π½ΡΠ΅ ΠΎ ΠΌΠ΅Π½ΡΡΠΈΡ ΠΏΠΎ ΠΌΠ°ΡΡΡΠ°Π±Π°ΠΌ ΡΠ΅ΡΡΠΈΡΠΎΡΠΈΡΡ . Π’Π°ΠΊΠΆΠ΅ ΠΏΡΠΈ ΡΠΎΡΡΠ°Π²Π»Π΅Π½ΠΈΠΈ ΠΊΠ°ΡΡΡ ΡΡΠΈΡΡΠ²Π°ΡΡ Π΅ΡΡΠ΅ΡΡΠ²Π΅Π½Π½ΠΎΠ΅ ΠΈΡΠΊΠ°ΠΆΠ΅Π½ΠΈΠ΅ ΠΏΠ»ΠΎΡΠ°Π΄ΠΈ ΠΠ΅ΠΌΠ»ΠΈ, Π° Π² ΡΠΎΠΏΠΎΠΏΠ»Π°Π½Π°Ρ ΠΊΡΠΈΠ²ΠΈΠ·Π½Π΅ ΠΏΠΎΠ²Π΅ΡΡ Π½ΠΎΡΡΠΈ Π½Π΅ ΠΏΡΠΈΠ΄Π°ΡΡ ΠΎΡΠΎΠ±ΠΎΠ³ΠΎ Π·Π½Π°ΡΠ΅Π½ΠΈΡ.
Π’ΠΎΠΏΠΎΠ³ΡΠ°ΡΠΈΡΠ΅ΡΠΊΠΈΠΉ ΠΏΠ»Π°Π½ Π·Π΅ΠΌΠ΅Π»ΡΠ½ΠΎΠ³ΠΎ ΡΡΠ°ΡΡΠΊΠ° Π΄ΠΎΠ»ΠΆΠ΅Π½ ΠΎΡΠΎΠ±ΡΠ°ΠΆΠ°ΡΡ Π³ΡΠ°Π½ΠΈΡΡ Π·Π΅ΠΌΠ΅Π»ΡΠ½ΡΡ ΡΠ³ΠΎΠ΄ΠΈΠΉ, ΠΈΠΌΠ΅ΡΡΠΈΠ΅ΡΡ ΠΈΠ½ΠΆΠ΅Π½Π΅ΡΠ½ΠΎ-ΡΠ΅Ρ Π½ΠΈΡΠ΅ΡΠΊΠΈΠ΅ ΡΠΎΠΎΡΡΠΆΠ΅Π½ΠΈΡ, ΠΎΡΠΎΠ±Π΅Π½Π½ΠΎΡΡΠΈ ΡΠ΅Π»ΡΠ΅ΡΠ° ΠΌΠ΅ΡΡΠ½ΠΎΡΡΠΈ, Π° ΡΠ°ΠΊΠΆΠ΅ Π»ΠΈΠ½ΠΈΠΈ ΠΊΠΎΠΌΠΌΡΠ½ΠΈΠΊΠ°ΡΠΈΠΉ. Π’Π°ΠΊΠΆΠ΅ Π² ΡΡΠΎΠΌ Π΄ΠΎΠΊΡΠΌΠ΅Π½ΡΠ΅ ΠΌΠΎΠΆΠ½ΠΎ Π±ΡΠ΄Π΅Ρ ΠΏΠΎΠ»ΡΡΠΈΡΡ ΡΠ²Π΅Π΄Π΅Π½ΠΈΡ ΠΎ ΠΊΠ°ΡΠ΅ΡΡΠ²Π΅Π½Π½ΡΡ , Π²ΡΡΠΎΡΠ½ΡΡ ΠΈ ΠΊΠΎΠ»ΠΈΡΠ΅ΡΡΠ²Π΅Π½Π½ΡΡ ΠΏΠΎΠΊΠ°Π·Π°ΡΠ΅Π»ΡΡ ΠΈΠ·ΠΎΠ±ΡΠ°ΠΆΠ΅Π½Π½ΠΎΠ³ΠΎ ΡΡΠ°ΡΡΠΊΠ°.
Π§ΡΠΎ ΡΡΠΎ ΡΠ°ΠΊΠΎΠ΅ ΠΈ ΠΊΠΎΠ³Π΄Π° Π½Π΅ΠΎΠ±Ρ ΠΎΠ΄ΠΈΠΌΠΎ?
ΠΠ΅ΠΎΠ΄Π΅Π·ΠΈΡΠ΅ΡΠΊΠΈΠ΅ ΡΡΡΠΌΠΊΠΈ ΠΈ ΠΎΠ±ΠΎΠ±ΡΠ΅Π½ΠΈΠ΅ Π΄Π°Π½Π½ΡΡ Π΄Π»Ρ ΡΠΎΡΡΠ°Π²Π»Π΅Π½ΠΈΡ ΡΠΎΠΏΠΎΠΏΠ»Π°Π½Π° Π΄ΠΎΠ»ΠΆΠ½Ρ ΡΡΡΠΎΠ³ΠΎ ΠΎΡΠ²Π΅ΡΠ°ΡΡ ΡΡΡΠ°Π½ΠΎΠ²Π»Π΅Π½Π½ΠΎΠΌΡ ΡΠ΅Π³Π»Π°ΠΌΠ΅Π½ΡΡ.
Π ΡΠ°ΡΡΠ½ΠΎΡΡΠΈ, ΡΠΎΡΡΠ°Π²Π»Π΅Π½ΠΈΠ΅ ΠΊΠ°Π΄Π°ΡΡΡΠΎΠ²ΠΎΠΉ Π΄ΠΎΠΊΡΠΌΠ΅Π½ΡΠ°ΡΠΈΠΈ Π΄ΠΎΠ»ΠΆΠ½ΠΎ ΡΠΎΠΎΡΠ²Π΅ΡΡΡΠ²ΠΎΠ²Π°ΡΡ ΠΏΡΠ°Π²ΠΈΠ»Π°ΠΌ, ΡΠΎΠ΄Π΅ΡΠΆΠ°ΡΠΈΠΌΡΡ Π² ΡΠ°ΠΊΠΈΡ Π½ΠΎΡΠΌΠ°ΡΠΈΠ²Π½ΡΡ Π°ΠΊΡΠ°Ρ , ΠΊΠ°ΠΊ , Β«ΠΠ½ΡΡΡΡΠΊΡΠΈΡ ΠΏΠΎ ΡΠΎΠΏΠΎΠ³ΡΠ°ΡΠΈΡΠ΅ΡΠΊΠΎΠΉ ΡΡΠ΅ΠΌΠΊΠ΅Β», Β«Π£ΡΠ»ΠΎΠ²Π½ΡΠ΅ Π·Π½Π°ΠΊΠΈ Π΄Π»Ρ ΡΠΎΠΏΠΎΠ³ΡΠ°ΡΠΈΡΠ΅ΡΠΊΠΈΡ ΠΏΠ»Π°Π½ΠΎΠ²Β».
Π’ΠΎΠΏΠΎΠ³ΡΠ°ΡΠΈΡΠ΅ΡΠΊΠΈΠΉ ΠΏΠ»Π°Π½ Π·Π΅ΠΌΠ΅Π»ΡΠ½ΠΎΠ³ΠΎ ΡΡΠ°ΡΡΠΊΠ° ΡΠ°Π·ΡΠ°Π±Π°ΡΡΠ²Π°Π΅ΡΡΡ Π³Π»Π°Π²Π½ΡΠΌ ΠΎΠ±ΡΠ°Π·ΠΎΠΌ Π΄Π»Ρ ΠΏΡΠ°Π²ΠΈΠ»ΡΠ½ΠΎΠ³ΠΎ ΡΠ°ΡΡΠ΅ΡΠ° ΠΈ ΡΡΠΏΠ΅ΡΠ½ΠΎΠ³ΠΎ ΡΠΎΡΡΠ°Π²Π»Π΅Π½ΠΈΡ ΠΏΡΠΎΠ΅ΠΊΡΠ½ΠΎΠΉ Π΄ΠΎΠΊΡΠΌΠ΅Π½ΡΠ°ΡΠΈΠΈ ΠΏΠΎ ΡΡΡΠΎΠΈΡΠ΅Π»ΡΡΡΠ²Ρ ΠΎΠ±ΡΠ΅ΠΊΡΠΎΠ² ΠΆΠΈΠ»ΠΎΠΉ Π½Π΅Π΄Π²ΠΈΠΆΠΈΠΌΠΎΡΡΠΈ ΠΈ ΠΏΠΎΠΌΠ΅ΡΠ΅Π½ΠΈΠΉ, ΠΏΡΠ΅Π΄Π½Π°Π·Π½Π°ΡΠ΅Π½Π½ΡΡ Π΄Π»Ρ ΠΏΡΠΎΠΈΠ·Π²ΠΎΠ΄ΡΡΠ²Π΅Π½Π½ΡΡ ΠΌΠΎΡΠ½ΠΎΡΡΠ΅ΠΉ.
Π’Π°ΠΊ, ΡΠΎΠΏΠΎΠ³ΡΠ°ΡΠΈΡΠ΅ΡΠΊΠΈΠΉ ΠΏΠ»Π°Π½ ΠΎΠ±ΡΠ·Π°ΡΠ΅Π»Π΅Π½ Π² ΡΠ»Π΅Π΄ΡΡΡΠΈΡ
ΡΠ»ΡΡΠ°ΡΡ
:
- ΠΏΡΠΈ ΡΠ°Π·ΡΠ°Π±ΠΎΡΠΊΠ΅ Π»Π°Π½Π΄ΡΠ°ΡΡΠ½ΠΎΠ³ΠΎ ΠΏΡΠΎΠ΅ΠΊΡΠ° ΠΠ£;
- ΠΏΡΠΈ ΡΠ°Π·ΡΠ°Π±ΠΎΡΠΊΠ΅ Π»ΠΈΠ½ΠΈΠΉ ΠΊΠΎΠΌΠΌΡΠ½ΠΈΠΊΠ°ΡΠΈΠΉ;
- ΠΏΡΠΈ ΡΡΠΈΠ΄ΠΈΡΠ΅ΡΠΊΠΎΠΌ ΠΎΡΠΎΡΠΌΠ»Π΅Π½ΠΈΠΈ ΠΏΡΠ°Π²Π° ΡΠΎΠ±ΡΡΠ²Π΅Π½Π½ΠΎΡΡΠΈ Π½Π° ΠΠ£;
- ΠΏΡΠΈ ΠΏΡΠΎΠ²Π΅Π΄Π΅Π½ΠΈΠΈ ΡΠ΅ΠΊΠΎΠ½ΡΡΡΡΠΊΡΠΈΠΈ ΠΎΠ±ΡΠ΅ΠΊΡΠ°;
- Π΄Π»Ρ ΠΏΠΎΠ»ΡΡΠ΅Π½ΠΈΡ ΡΠ°Π·ΡΠ΅ΡΠΈΡΠ΅Π»ΡΠ½ΡΡ Π΄ΠΎΠΊΡΠΌΠ΅Π½ΡΠΎΠ² Π½Π° ΠΆΠΈΠ»ΠΈΡΠ½ΠΎΠ΅ ΡΡΡΠΎΠΈΡΠ΅Π»ΡΡΡΠ²ΠΎ ΠΈ Ρ.Π΄.
ΠΠΎΠΈΡΠΊ ΠΏΠ»Π°Π½Π° Π½Π° ΠΊΠ°ΡΡΠ΅ Π ΠΎΡΡΠ΅Π΅ΡΡΡΠ° ΠΎΠ½Π»Π°ΠΉΠ½
ΠΠ°ΠΊ ΠΈΠ·Π²Π΅ΡΡΠ½ΠΎ, ΠΏΠΎΠ»ΡΡΠΈΡΡ ΠΊΠ°Π΄Π°ΡΡΡΠΎΠ²ΡΡ Π΄ΠΎΠΊΡΠΌΠ΅Π½ΡΠ°ΡΠΈΡ ΡΡΠ°ΡΡΠΊΠ° ΠΌΠΎΠΆΠ½ΠΎ Π΄Π²ΡΠΌΡ ΡΠΏΠΎΡΠΎΠ±Π°ΠΌΠΈ:
- ΠΠΎΡΡΠ΅Π΄ΡΡΠ²ΠΎΠΌ ΠΎΡΠΎΡΠΌΠ»Π΅Π½ΠΈΡ ΠΏΠΈΡΡΠΌΠ΅Π½Π½ΠΎΠ³ΠΎ Π·Π°ΠΏΡΠΎΡΠ° Π½Π° ΠΏΠΎΠ»ΡΡΠ΅Π½ΠΈΠ΅ Π²ΡΠΏΠΈΡΠΊΠΈ ΠΈΠ· ΠΠΠ Π. ΠΡΠΈ ΡΡΠΎΠΌ ΡΠΎΡΡΡΠ΄Π½ΠΈΠΊΠΈ ΠΠ€Π¦ ΠΈΠ»ΠΈ Π ΠΎΡΡΠ΅Π΅ΡΡΡΠ° ΠΏΡΠΈΠ³ΠΎΡΠΎΠ²ΡΡ ΠΏΠΎ ΠΆΠ΅Π»Π°Π½ΠΈΡ Π·Π°ΡΠ²ΠΈΡΠ΅Π»Ρ Π»ΠΈΠ±ΠΎ Π±ΡΠΌΠ°ΠΆΠ½ΡΠΉ, Π»ΠΈΠ±ΠΎ ΡΠ»Π΅ΠΊΡΡΠΎΠ½Π½ΡΠΉ Π²Π°ΡΠΈΠ°Π½Ρ Π΄ΠΎΠΊΡΠΌΠ΅Π½ΡΠ°, Π² ΠΊΠΎΡΠΎΡΠΎΠΌ ΠΏΠΎΠΌΠΈΠΌΠΎ ΡΠ°ΠΌΠΎΠ³ΠΎ ΡΠΎΠΏΠΎΠΏΠ»Π°Π½Π° Π±ΡΠ΄ΡΡ Π΄Π°Π½Π½ΡΠ΅ ΠΎ ΠΏΡΠ°Π²ΠΎΠΎΠ±Π»Π°Π΄Π°ΡΠ΅Π»ΡΡ , ΠΊΠ°Π΄Π°ΡΡΡΠΎΠ²ΡΠ΅ Ρ Π°ΡΠ°ΠΊΡΠ΅ΡΠΈΡΡΠΈΠΊΠΈ Π·Π΅ΠΌΠ΅Π»ΡΠ½ΠΎΠ³ΠΎ ΡΡΠ°ΡΡΠΊΠ°, Π° ΡΠ°ΠΊΠΆΠ΅ Π½Π°Π»ΠΎΠΆΠ΅Π½Π½ΡΠ΅ ΠΎΠ±ΡΠ΅ΠΌΠ΅Π½Π΅Π½ΠΈΡ.
- Π§Π΅ΡΠ΅Π· ΠΏΡΠ±Π»ΠΈΡΠ½ΡΡ ΠΊΠ°Π΄Π°ΡΡΡΠΎΠ²ΡΡ ΠΊΠ°ΡΡΡ. ΠΠ°Π½Π½ΡΠΉ ΠΎΠ½Π»Π°ΠΉΠ½-ΡΠ΅ΡΠ²ΠΈΡ Π±ΡΠ» ΡΠ°Π·ΡΠ°Π±ΠΎΡΠ°Π½ Π ΠΎΡΡΠ΅Π΅ΡΡΡΠΎΠΌ ΠΈ ΠΏΠΎΠ·Π²ΠΎΠ»ΡΠ΅Ρ Π»ΡΠ±ΠΎΠΌΡ ΡΠ΅Π»ΠΎΠ²Π΅ΠΊΡ ΠΏΠΎΠ»ΡΡΠΈΡΡ Π½Π΅ΠΎΠ±Ρ ΠΎΠ΄ΠΈΠΌΡΠ΅ ΡΠ²Π΅Π΄Π΅Π½ΠΈΡ ΠΎ Π·Π΅ΠΌΠ΅Π»ΡΠ½ΡΡ ΡΡΠ°ΡΡΠΊΠ°Ρ .
ΠΡΠ±Π»ΠΈΡΠ½ΡΡ ΠΊΠ°Π΄Π°ΡΡΡΠΎΠ²ΡΡ ΠΊΠ°ΡΡΡ ΠΌΠΎΠΆΠ½ΠΎ ΠΏΠΎΡΠΌΠΎΡΡΠ΅ΡΡ, ΠΏΠ΅ΡΠ΅ΠΉΠ΄Ρ ΠΏΠΎ ΡΡΡΠ»ΠΊΠ΅ http://pkk5.rosreestr.ru. Π‘Π΅ΡΠ²ΠΈΡ Π°Π±ΡΠΎΠ»ΡΡΠ½ΠΎ Π±Π΅ΡΠΏΠ»Π°ΡΠ΅Π½. Π§ΡΠΎΠ±Ρ Π½Π°ΠΉΡΠΈ ΠΊΠ°Π΄Π°ΡΡΡΠΎΠ²ΡΠΉ ΠΏΠ»Π°Π½ ΡΠ΅ΡΠ΅Π· ΠΠΠ, Π½Π°Π΄ΠΎ Π²Π²Π΅ΡΡΠΈ Π»ΠΈΠ±ΠΎ ΠΊΠ°Π΄Π°ΡΡΡΠΎΠ²ΡΠΉ Π½ΠΎΠΌΠ΅Ρ, Π»ΠΈΠ±ΠΎ ΡΠΎΡΠ½ΡΠΉ Π°Π΄ΡΠ΅Ρ ΡΡΠ°ΡΡΠΊΠ°.
Π’ΠΎΠΏΠΎΠ³ΡΠ°ΡΠΈΡΠ΅ΡΠΊΠΈΠΉ ΠΏΠ»Π°Π½ ΡΡΠ°ΡΡΠΊΠ° Π½Π΅Π²ΠΎΠ·ΠΌΠΎΠΆΠ½ΠΎ ΠΏΠΎΠ»ΡΡΠΈΡΡ ΡΠ΅ΡΠ΅Π· ΠΎΠ½Π»Π°ΠΉΠ½-ΡΠ΅ΡΠ²ΠΈΡ Π ΠΎΡΡΠ΅Π΅ΡΡΡΠ°. ΠΠ»Ρ ΡΠΎΠ³ΠΎ, ΡΡΠΎΠ±Ρ ΠΏΠΎΠ»ΡΡΠΈΡΡ ΡΠΎΠΏΠΎΠΏΠ»Π°Π½, Π½Π΅ΠΎΠ±Ρ ΠΎΠ΄ΠΈΠΌΠΎ Π²ΠΎΡΠΏΠΎΠ»ΡΠ·ΠΎΠ²Π°ΡΡΡΡ ΠΏΠΎΠΌΠΎΡΡΡ Π³Π΅ΠΎΠ΄Π΅Π·ΠΈΡΡΠΎΠ².
Π’ΠΎΠΏΠΎΠ³ΡΠ°ΡΠΈΡΠ΅ΡΠΊΠΈΠ΅ ΡΠ°Π±ΠΎΡΡ
ΠΠ°ΠΊΠ°Π·Π°ΡΡ ΡΠΎΠΏΠΎΠ³ΡΠ°ΡΠΈΡΠ΅ΡΠΊΠΈΠ΅ ΡΠ°Π±ΠΎΡΡ ΠΌΠΎΠΆΠ½ΠΎ Π² Π»ΡΠ±ΠΎΠΉ Π³Π΅ΠΎΠ΄Π΅Π·ΠΈΡΠ΅ΡΠΊΠΎΠΉ ΠΊΠΎΠΌΠΏΠ°Π½ΠΈΠΈ, ΠΊΠΎΡΠΎΡΠ°Ρ Π·Π°ΡΠ΅Π³ΠΈΡΡΡΠΈΡΠΎΠ²Π°Π½Π° Π² ΡΠΈΡΡΠ΅ΠΌΠ΅ ΡΠ°ΠΌΠΎΡΠ΅Π³ΡΠ»ΠΈΡΡΠ΅ΠΌΡΡ ΠΎΡΠ³Π°Π½ΠΈΠ·Π°ΡΠΈΠΉ. Π’Π°ΠΊΠΈΠ΅ ΠΊΠΎΠΌΠΏΠ°Π½ΠΈΠΈ ΡΠ°ΠΌΠΈ ΠΏΡΠΎΠ²Π΅Π΄ΡΡ ΡΠ°Π±ΠΎΡΡ ΠΏΠΎ ΡΠ΅Π³ΠΈΡΡΡΠ°ΡΠΈΠΈ ΡΠΎΠΏΠΎΠΏΠ»Π°Π½Π° Π² ΠΌΠ΅ΡΡΠ½ΡΡ ΠΎΡΠ³Π°Π½Π°Ρ ΠΏΠΎ Π³ΡΠ°Π΄ΠΎΡΡΡΠΎΠΈΡΠ΅Π»ΡΡΡΠ²Ρ ΠΈ Π°ΡΡ ΠΈΡΠ΅ΠΊΡΡΡΠ΅, ΠΠ΅ΠΎΡΠΎΠ½Π΄Π΅ ΠΈ ΠΠ΅ΠΎΠ½Π°Π΄Π·ΠΎΡΠ΅.
ΠΡΠ±ΠΎΡ ΠΊΠΎΠΌΠΏΠ°Π½ΠΈΠΈ ΡΠ²Π»ΡΠ΅ΡΡΡ ΠΏΠ΅ΡΠ²ΠΈΡΠ½ΡΠΌ ΠΈ ΡΠ°ΠΌΡΠΌ Π²Π°ΠΆΠ½ΡΠΌ ΡΡΠ°ΠΏΠΎΠΌ ΠΏΡΠΈ ΠΏΠΎΠ»ΡΡΠ΅Π½ΠΈΠΈ ΡΠΎΠΏΠΎΠΏΠ»Π°Π½Π°. ΠΡΠ°ΠΌΠΎΡΠ½ΡΠ΅ ΡΠΏΠ΅ΡΠΈΠ°Π»ΠΈΡΡΡ Π½Π΅ ΡΠΎΠ»ΡΠΊΠΎ ΠΏΡΠΎΠΊΠΎΠ½ΡΡΠ»ΡΡΠΈΡΡΡΡ ΠΏΠΎ Π²ΡΠ΅ΠΌ Π²ΠΎΠΏΡΠΎΡΠ°ΠΌ, Π½ΠΎ ΠΈ ΡΠΎΡΡΠ°Π²ΡΡ Π³ΡΠ°ΠΌΠΎΡΠ½ΠΎΠ΅ ΡΠ΅Ρ Π½ΠΈΡΠ΅ΡΠΊΠΎΠ΅ Π·Π°Π΄Π°Π½ΠΈΠ΅.
Π’Π΅Ρ Π·Π°Π΄Π°Π½ΠΈΠ΅
ΠΠ΅ΠΎΠ΄Π΅Π·ΠΈΡΠ΅ΡΠΊΠΎΠ΅ ΠΏΡΠ΅Π΄ΠΏΡΠΈΡΡΠΈΠ΅ ΠΎΠΏΡΠ΅Π΄Π΅Π»ΠΈΡ ΠΏΠ΅ΡΠ΅ΡΠ΅Π½Ρ ΡΠ°Π±ΠΎΡ ΠΈ ΠΏΠΎΠ΄Π³ΠΎΡΠΎΠ²ΠΈΡ ΡΠ΅Ρ Π·Π°Π΄Π°Π½ΠΈΠ΅ ΠΈΡΡ ΠΎΠ΄Ρ ΠΈΠ· ΠΏΠΎΠΆΠ΅Π»Π°Π½ΠΈΠΉ Π·Π°ΠΊΠ°Π·ΡΠΈΠΊΠ°.
Π’Π°Π±Π»ΠΈΡΠ° ΠΏΡΠΈΠΌΠ΅ΡΠ½ΡΡ ΡΠ°ΡΡΠ΅Π½ΠΎΠΊ Π·Π° ΠΏΡΠΎΠ²Π΅Π΄Π΅Π½ΠΈΠ΅ Π³Π΅ΠΎΠ΄Π΅Π·ΠΈΡΠ΅ΡΠΊΠΈΡ ΡΠ°Π±ΠΎΡ Π½Π° ΡΡΠ°ΡΡΠΊΠ΅ Π² 1 Π³Π°:
| β | ΠΠ°Π·Π²Π°Π½ΠΈΠ΅ ΡΠ°Π±ΠΎΡΡ | Π¦Π΅Π½Π° Π² ΡΡΠ±Π»ΡΡ | ΠΡΠΎΠ΄ΠΎΠ»ΠΆΠΈΡΠ΅Π»ΡΠ½ΠΎΡΡΡ Π² ΡΠ°ΡΠ°Ρ |
| 1 | Π€ΠΎΡΠΎΡΡΡΠΌΠΊΠ° | 8,000-9,000 | 1-2 |
| 2 | Π’Π°Ρ Π΅ΠΎΠΌΠ΅ΡΡΠΈΡΠ΅ΡΠΊΠ°Ρ ΡΡΡΠΌΠΊΠ° | 11,000-12,000 | 3-4 |
| 3 | ΠΠΎΠ½ΡΡΡΠ½Π°Ρ ΡΡΡΠΌΠΊΠ° | 6,000 | 4-5 |
| 4 | Π’ΠΎΠΏΠΎΡΡΡΠΌΠΊΠ° | 10,000 | 6-8 |
| 5 | ΠΠ΅Π½Π΄ΡΠΎΠΏΠ»Π°Π½ | 15,000 | 12-18 |
Π¦Π΅Π½Ρ Π½Π° ΡΡΠ»ΡΠ³ΠΈ ΡΠΊΠ°Π·Π°Π½Ρ ΡΡΠ΅Π΄Π½ΠΈΠ΅, Π² Π·Π°Π²ΠΈΡΠΈΠΌΠΎΡΡΠΈ ΠΎΡ ΠΌΠ΅ΡΡΠ½ΡΡ ΡΡΠ»ΠΎΠ²ΠΈΠΉ ΠΈ ΡΠ΅Π³ΠΈΠΎΠ½Π° ΡΡΠΎΠΈΠΌΠΎΡΡΡ ΠΌΠΎΠΆΠ΅Ρ ΡΡΡΠ΅ΡΡΠ²Π΅Π½Π½ΠΎ ΠΎΡΠ»ΠΈΡΠ°ΡΡΡΡ.
Π’Π΅Ρ Π½ΠΈΡΠ΅ΡΠΊΠΎΠ΅ Π·Π°Π΄Π°Π½ΠΈΠ΅ ΡΠ²Π»ΡΠ΅ΡΡΡ ΠΎΡΠ½ΠΎΠ²ΠΎΠΏΠΎΠ»Π°Π³Π°ΡΡΠΈΠΌ Π΄ΠΎΠΊΡΠΌΠ΅Π½ΡΠΎΠΌ, ΠΊΠΎΡΠΎΡΡΠΉ ΡΠ»ΡΠΆΠΈΡ ΠΎΡΠ½ΠΎΠ²ΠΎΠΉ Π΄Π»Ρ ΡΠΎΡΡΠ°Π²Π»Π΅Π½ΠΈΡ ΡΠΎΠΏΠΎΠ³ΡΠ°ΡΠΈΡΠ΅ΡΠΊΠΎΠ³ΠΎ ΠΏΠ»Π°Π½Π°. Π Π½ΡΠΌ ΠΎΡΠΎΠ±ΡΠ°ΠΆΠ°Π΅ΡΡΡ ΠΏΠ΅ΡΠ΅ΡΠ΅Π½Ρ Π²ΡΠΏΠΎΠ»Π½ΡΠ΅ΠΌΡΡ ΡΠ°Π±ΠΎΡ, ΠΈΡ ΠΎΡΠ΅ΡΠ΅Π΄Π½ΠΎΡΡΡ ΠΈ ΠΏΠΎΡΡΠ΄ΠΎΠΊ ΠΏΡΠΎΠ²Π΅Π΄Π΅Π½ΠΈΡ. Π’Π°ΠΊΠΆΠ΅ ΡΠ΅Ρ Π·Π°Π΄Π°Π½ΠΈΠ΅ ΡΠ»ΡΠΆΠΈΡ ΠΎΡΠ½ΠΎΠ²ΠΎΠΉ Π΄Π»Ρ Π²ΠΎΠ·Π½ΠΈΠΊΠ½ΠΎΠ²Π΅Π½ΠΈΡ Π΄ΠΎΠ³ΠΎΠ²ΠΎΡΠ½ΡΡ ΠΎΠ±ΡΠ·Π°ΡΠ΅Π»ΡΡΡΠ² Π·Π°ΠΊΠ°Π·ΡΠΈΠΊΠ° ΠΈ ΠΏΠΎΠ΄ΡΡΠ΄ΡΠΈΠΊΠ°.
ΠΡΠ»ΠΈ Π²ΠΎΠ·Π½ΠΈΠΊΠ½ΡΡ ΠΊΠ°ΠΊΠΈΠ΅-Π»ΠΈΠ±ΠΎ ΡΠΏΠΎΡΠ½ΡΠ΅ ΠΌΠΎΠΌΠ΅Π½ΡΡ, ΡΠΎ ΠΈΡ ΡΡΠ΅Π³ΡΠ»ΠΈΡΠΎΠ²Π°Π½ΠΈΠ΅ Π±ΡΠ΄Π΅Ρ ΠΏΡΠΎΡ ΠΎΠ΄ΠΈΡΡ Π½Π° ΠΎΡΠ½ΠΎΠ²Π΅ ΠΏΠΎΠ»ΠΎΠΆΠ΅Π½ΠΈΠΉ ΡΠ΅Ρ Π½ΠΈΡΠ΅ΡΠΊΠΎΠ³ΠΎ Π·Π°Π΄Π°Π½ΠΈΡ.
ΠΠ°ΠΊΠ»ΡΡΠ΅Π½ΠΈΠ΅ Π΄ΠΎΠ³ΠΎΠ²ΠΎΡΠ°
ΠΠΌΠ΅Π½Π½ΠΎ Π΄ΠΎΠ³ΠΎΠ²ΠΎΡΠΎΠΌ Π±ΡΠ΄Π΅Ρ ΡΡΡΠ°Π½Π°Π²Π»ΠΈΠ²Π°ΡΡΡΡ ΡΠ΅Π³Π»Π°ΠΌΠ΅Π½Ρ ΡΠ°Π±ΠΎΡ. ΠΠ±ΡΡΠ½ΠΎ Π²ΠΌΠ΅ΡΡΠ΅ Ρ ΠΏΡΠΎΠ²Π΅Π΄Π΅Π½ΠΈΠ΅ΠΌ ΡΠΎΠΏΠΎΠ³ΡΠ°ΡΠΈΡΠ΅ΡΠΊΠΎΠΉ ΡΡΡΠΌΠΊΠΈ ΠΏΡΠΎΠ²ΠΎΠ΄ΡΡ Π³Π΅ΠΎΠ»ΠΎΠ³ΠΈΡΠ΅ΡΠΊΠΈΠ΅ ΠΈΠ·ΡΡΠΊΠ°Π½ΠΈΡ. Π Π΄ΠΎΠ³ΠΎΠ²ΠΎΡΠ΅ ΠΏΠΎΠ΄ΡΡΠ΄Π° Π½Π° Π³Π΅ΠΎΠ΄Π΅Π·ΠΈΡΠ΅ΡΠΊΠΈΠ΅ ΠΈΡΡΠ»Π΅Π΄ΠΎΠ²Π°Π½ΠΈΡ ΡΠ»Π΅Π΄ΡΠ΅Ρ ΡΡΠΎΡΠ½ΠΈΡΡ ΡΡΠΎΠΊΠΈ ΠΏΡΠΎΠ²Π΅Π΄Π΅Π½ΠΈΡ ΡΠ°Π±ΠΎΡ, Π° ΡΠ°ΠΊΠΆΠ΅ ΡΠ°ΡΡΠ΅Π½ΠΊΠΈ Π·Π° ΠΏΡΠ΅Π΄ΠΎΡΡΠ°Π²Π»ΡΠ΅ΠΌΡΠ΅ ΡΡΠ»ΡΠ³ΠΈ.
ΠΠ΅ΠΎΠ΄Π΅Π·ΠΈΡΡΠ°ΠΌ Π΄Π»Ρ ΡΡΠΏΠ΅ΡΠ½ΠΎΠ³ΠΎ ΠΈΡΠΏΠΎΠ»Π½Π΅Π½ΠΈΡ ΡΠ²ΠΎΠΈΡ ΠΎΠ±ΡΠ·Π°ΡΠ΅Π»ΡΡΡΠ² Π²Π°ΠΆΠ½ΠΎ ΠΈΠΌΠ΅ΡΡ Π΄ΠΎΡΡΡΠΏ ΠΊ Π΄ΠΎΠΊΡΠΌΠ΅Π½ΡΠ°ΠΌ ΠΎ Π·Π΅ΠΌΠ΅Π»ΡΠ½ΠΎΠΌ ΡΡΠ°ΡΡΠΊΠ΅ (ΠΊΠ°Π΄Π°ΡΡΡΠΎΠ²Π°Ρ Π΄ΠΎΠΊΡΠΌΠ΅Π½ΡΠ°ΡΠΈΡ) ΠΈ ΠΊ ΡΠ²Π΅Π΄Π΅Π½ΠΈΡΠΌ ΠΎ ΠΏΠΎΠ΄ΡΠ΅Π·Π΄Π½ΡΡ ΠΏΡΡΡΡ .
ΠΡΠΎΠ²Π΅Π΄Π΅Π½ΠΈΠ΅ ΡΠ°Π±ΠΎΡ
ΠΡΠΎΡ ΡΡΠ°ΠΏ ΡΠΎΡΡΠΎΠΈΡ ΠΈΠ· Π΄Π²ΡΡ
ΡΠ°ΡΡΠ΅ΠΉ β ΠΏΠΎΠ»Π΅Π²ΡΡ
ΡΠ°Π±ΠΎΡ ΠΈ Π»Π°Π±ΠΎΡΠ°ΡΠΎΡΠ½ΡΡ
ΠΈΡΡΠ»Π΅Π΄ΠΎΠ²Π°Π½ΠΈΠΉ. ΠΠ΅ΠΎΠ΄Π΅Π·ΠΈΡΡΡ ΠΏΠ΅ΡΠ²ΡΠΌ Π΄Π΅Π»ΠΎΠΌ ΠΈΠ·ΡΡΠ°ΡΡ ΡΡ
Π΅ΠΌΡ ΡΡΠ°ΡΡΠΊΠ°. ΠΡΠΎ Π½Π΅ΠΎΠ±Ρ
ΠΎΠ΄ΠΈΠΌΠΎ Π΄Π»Ρ ΡΠ°Π·ΡΠ°Π±ΠΎΡΠΊΠΈ ΠΏΠ»Π°Π½Π° ΡΠ°Π±ΠΎΡ.
ΠΠΎΡΠ»Π΅ ΡΡΠΎΠ³ΠΎ Π½Π°ΡΠΈΠ½Π°ΡΡΡΡ ΠΏΠΎΠ»Π΅Π²ΡΠ΅ ΠΌΠ΅ΡΠΎΠΏΡΠΈΡΡΠΈΡ Π½Π° ΡΡΠ°ΡΡΠΊΠ΅. ΠΡΠΈ ΠΏΠΎΠΌΠΎΡΠΈ ΡΠΏΠ΅ΡΠΈΠ°Π»ΡΠ½ΡΡ ΠΈΠ½ΡΡΡΡΠΌΠ΅Π½ΡΠΎΠ² ΡΠΎΠ±ΠΈΡΠ°ΡΡ ΠΈ Π·Π°ΠΊΡΠ΅ΠΏΠ»ΡΡΡ ΡΠ²Π΅Π΄Π΅Π½ΠΈΡ ΠΎΠ± ΠΎΠ±ΡΠ΅ΠΊΡΠ΅ ΠΈΡΡΠ»Π΅Π΄ΠΎΠ²Π°Π½ΠΈΡ.
ΠΡΠΏΠΎΠ»ΡΠ·ΡΡ ΡΠΏΠ΅ΡΠΈΠ°Π»ΡΠ½ΡΡ ΡΠ΅Ρ Π½ΠΈΠΊΡ, ΡΠΎΠΏΠΎΠ³ΡΠ°ΡΠΈΡΡΡ Π² Π»Π°Π±ΠΎΡΠ°ΡΠΎΡΠ½ΡΡ ΡΡΠ»ΠΎΠ²ΠΈΡΡ Π²ΡΠΏΠΎΠ»Π½ΡΡΡ ΡΠΈΠ½Π°Π»ΡΠ½ΡΡ ΡΠ°ΡΡΡ ΠΈΡΡΠ»Π΅Π΄ΠΎΠ²Π°Π½ΠΈΠΉ.
ΠΡΠΎΡΠΌΠ»Π΅Π½ΠΈΠ΅ ΡΠ΅Π·ΡΠ»ΡΡΠ°ΡΠΎΠ²
Π’ΠΎΠΏΠΎΠΏΠ»Π°Π½Ρ ΡΠΎΠ·Π΄Π°ΡΡΡΡ Π² Π΄Π²ΡΡ ΡΠΊΠ·Π΅ΠΌΠΏΠ»ΡΡΠ°Ρ ΡΠ°Π·Π»ΠΈΡΠ½ΠΎΠ³ΠΎ Π²ΠΈΠ΄Π°: ΡΠ»Π΅ΠΊΡΡΠΎΠ½Π½Π°Ρ Π²Π΅ΡΡΠΈΡ ΠΈ Π±ΡΠΌΠ°ΠΆΠ½ΡΠΉ ΡΠ΅ΡΡΡΠΆ. ΠΡΠΈ Π½Π΅ΠΎΠ±Ρ ΠΎΠ΄ΠΈΠΌΠΎΡΡΠΈ ΡΠ»Π΅ΠΊΡΡΠΎΠ½Π½ΡΠΉ Π²Π°ΡΠΈΠ°Π½Ρ ΡΠΎΠΏΠΎΠΏΠ»Π°Π½Π° ΠΌΠΎΠΆΠ΅Ρ Π±ΡΡΡ ΡΠΏΡΠΎΠ΅ΠΊΡΠΈΡΠΎΠ²Π°Π½ Ρ ΠΎΠ±ΡΠ΅ΠΌΠ½ΡΠΌΠΈ 3D-ΠΌΠΎΠ΄Π΅Π»ΡΠΌΠΈ ΠΎΠ±ΡΠ΅ΠΊΡΠΎΠ². Π’ΠΎΠΏΠΎΠΏΠ»Π°Π½ Π½Π° Π±ΡΠΌΠ°ΠΆΠ½ΠΎΠΌ Π½ΠΎΡΠΈΡΠ΅Π»Π΅ ΡΡΠ΅Π±ΡΠ΅Ρ Π±ΠΎΠ»ΡΡΠ΅ Π²ΡΠ΅ΠΌΠ΅Π½ΠΈ ΠΈ Π½Π°Π²ΡΠΊΠΎΠ².
Π§Π΅ΠΌ ΡΠ»ΠΎΠΆΠ½Π΅Π΅ ΡΡ Π΅ΠΌΠ° ΠΈ ΡΠ΅ΠΌ Π±ΠΎΠ»ΡΡΠ΅ ΠΈΠ½ΡΠΎΡΠΌΠ°ΡΠΈΠΈ ΡΠ»Π΅Π΄ΡΠ΅Ρ ΠΎΡΠΎΠ±ΡΠ°Π·ΠΈΡΡ, ΡΠ΅ΠΌ Π±ΠΎΠ»ΡΡΠ΅ Π²ΡΠ΅ΠΌΠ΅Π½ΠΈ ΡΠΉΠ΄ΡΡ Ρ ΡΠΎΠΏΠΎΠ³ΡΠ°ΡΠΈΡΡΠ° Π½Π° Π΅Ρ ΡΠΎΡΡΠ°Π²Π»Π΅Π½ΠΈΠ΅.
ΠΠ΅Π· ΡΠΎΠ³Π»Π°ΡΠΎΠ²Π°Π½ΠΈΡ ΡΠΎΠΏΠΎΠΏΠ»Π°Π½Π° Π² ΡΠ°Π·Π»ΠΈΡΠ½ΡΡ ΠΈΠ½ΡΡΠ°Π½ΡΠΈΡΡ Π΄ΠΎΠΊΡΠΌΠ΅Π½Ρ Π½Π΅ Π±ΡΠ΄Π΅Ρ ΠΈΠΌΠ΅ΡΡ ΡΡΠΈΠ΄ΠΈΡΠ΅ΡΠΊΠΎΠΉ ΡΠΈΠ»Ρ.
ΠΠ±ΡΡΠ½ΠΎ ΡΠΎΠ³Π»Π°ΡΠΈΡΠ΅Π»ΡΠ½ΡΠ΅ ΠΏΡΠΎΡΠ΅Π΄ΡΡΡ ΡΠ°ΠΊΠΆΠ΅ ΠΏΡΠΎΠ²ΠΎΠ΄ΡΡΡΡ Π³Π΅ΠΎΠ΄Π΅Π·ΠΈΡΠ΅ΡΠΊΠΈΠΌΠΈ ΠΊΠΎΠΌΠΏΠ°Π½ΠΈΡΠΌΠΈ, ΠΊΠΎΡΠΎΡΡΠ΅ ΠΈΠΌΠ΅ΡΡ Π²Π½ΡΡΠΈΡΠ΅Π»ΡΠ½ΡΠΉ ΠΎΠΏΡΡ ΠΎΠ±ΡΠ°ΡΠ΅Π½ΠΈΡ Ρ Π³ΠΎΡΡΠ΄Π°ΡΡΡΠ²Π΅Π½Π½ΡΠΌΠΈ ΠΎΡΠ³Π°Π½Π°ΠΌΠΈ.
Π’Π°ΠΊΠΈΠΌ ΠΎΠ±ΡΠ°Π·ΠΎΠΌ, ΡΠΎΠΏΠΎΠ³ΡΠ°ΡΠΈΡΠ΅ΡΠΊΠΈΠΉ ΠΈ ΠΊΠ°Π΄Π°ΡΡΡΠΎΠ²ΡΠΉ ΠΏΠ»Π°Π½ ΡΠΈΠΊΡΠΈΡΡΡΡ ΠΎΠ±ΡΠ΅ΠΊΡΡ Π½Π° Π·Π΅ΠΌΠ΅Π»ΡΠ½ΠΎΠΌ ΡΡΠ°ΡΡΠΊΠ΅, ΠΈ ΠΈΡ ΠΏΠΎΠ»ΡΡΠ΅Π½ΠΈΠ΅ ΡΠ²Π»ΡΠ΅ΡΡΡ ΠΎΠ΄Π½ΠΎΠΉ ΠΈΠ· ΠΎΡΠ½ΠΎΠ²Π½ΡΡ ΡΠ΅Π»Π΅ΠΉ ΠΏΡΠΎΠ²Π΅Π΄Π΅Π½ΠΈΡ Π³Π΅ΠΎΠ΄Π΅Π·ΠΈΡΠ΅ΡΠΊΠΈΡ ΠΈΡΡΠ»Π΅Π΄ΠΎΠ²Π°Π½ΠΈΠΉ.
Π‘ΡΡΠ΅ΡΡΠ²ΡΠ΅Ρ ΡΡΠ΄ ΡΠ°Π·Π»ΠΈΡΠΈΠΉ ΠΌΠ΅ΠΆΠ΄Ρ ΡΠΊΠ°Π·Π°Π½Π½ΡΠΌΠΈ Π΄Π²ΡΠΌΡ ΠΏΠ»Π°Π½Π°ΠΌΠΈ. Π’Π°ΠΊ, ΠΊΠ°Π΄Π°ΡΡΡΠΎΠ²ΡΠΉ ΠΏΠ»Π°Π½ ΡΠΈΠΊΡΠΈΡΡΠ΅Ρ ΠΌΠ΅ΡΡΠΎΠΏΠΎΠ»ΠΎΠΆΠ΅Π½ΠΈΠ΅ ΡΡΠ°ΡΡΠΊΠ°, ΠΎΠ±ΡΠ΅ΠΊΡΡ ΠΈ ΡΡΡΠΎΠ΅Π½ΠΈΡ Π½Π° Π½ΡΠΌ, ΠΎΠΏΡΠ΅Π΄Π΅Π»ΡΠ΅Ρ ΠΏΠ»ΠΎΡΠ°Π΄Ρ ΠΈ ΠΊΠΎΠ½ΡΠΈΠ³ΡΡΠ°ΡΠΈΠΈ ΠΌΠ΅ΡΡΠ½ΠΎΡΡΠΈ. ΠΠ°Π΄Π°ΡΡΡΠΎΠ²Π°Ρ ΡΡΡΠΌΠΊΠ° ΠΏΡΠ΅ΠΈΠΌΡΡΠ΅ΡΡΠ²Π΅Π½Π½ΠΎ Π½ΡΠΆΠ½Π° Π΄Π»Ρ ΠΌΠ΅ΠΆΠ΅Π²Π°Π½ΠΈΡ Π³ΡΠ°Π½ΠΈΡ.
ΠΠΎΠ»Π΅Π·Π½ΠΎΠ΅ Π²ΠΈΠ΄Π΅ΠΎ
Π‘ΠΌΠΎΡΡΠΈΡΠ΅ ΠΈΠ½ΡΠ΅ΡΠ΅ΡΠ½ΡΠΉ Π²ΠΈΠ΄Π΅ΠΎΠΌΠ°ΡΠ΅ΡΠΈΠ°Π», Π² ΠΊΠΎΡΠΎΡΠΎΠΌ Π΄Π°Π½Ρ ΡΠΎΠ²Π΅ΡΡ, ΠΊΠ°ΠΊΠΈΠΌ ΡΠΏΠΎΡΠΎΠ±ΠΎΠΌ ΠΌΠΎΠΆΠ½ΠΎ ΡΡΠΊΠΎΠ½ΠΎΠΌΠΈΡΡ ΠΏΡΠΈ Π·Π°ΠΊΠ°Π·Π΅ ΡΠΎΠΏΠΎΡΡΠ΅ΠΌΠΊΠΈ.
ΠΠ°ΠΊΠ»ΡΡΠ΅Π½ΠΈΠ΅
Π ΡΠΎΠΏΠΎΠ³ΡΠ°ΡΠΈΡΠ΅ΡΠΊΠΎΠΌ ΠΏΠ»Π°Π½Π΅ ΠΎΠΏΡΠ΅Π΄Π΅Π»ΡΡΡΡΡ ΠΊΠ»ΡΡΠ΅Π²ΡΠ΅ ΠΏΠ°ΡΠ°ΠΌΠ΅ΡΡΡ ΠΌΠ΅ΡΡΠ½ΠΎΡΡΠΈ Ρ ΡΡΡΡΠΎΠΌ ΡΠ΅Π»ΡΠ΅ΡΠ° ΠΈ ΠΏΠ΅ΡΠ΅ΠΏΠ°Π΄ΠΎΠ² Π²ΡΡΠΎΡ. Π’ΠΎΠΏΠΎΠ³ΡΠ°ΡΠΈΡΠ΅ΡΠΊΠ°Ρ ΡΡΡΠΌΠΊΠ° ΡΡΠ΅Π±ΡΠ΅ΡΡΡ Π΄Π»Ρ ΠΏΡΠΎΠ²Π΅Π΄Π΅Π½ΠΈΡ ΠΈΠ½ΠΆΠ΅Π½Π΅ΡΠ½ΡΡ ΠΈΡΡΠ»Π΅Π΄ΠΎΠ²Π°Π½ΠΈΠΉ, Π²ΡΠΏΠΎΠ»Π½Π΅Π½ΠΈΡ Π»Π°Π½Π΄ΡΠ°ΡΡΠ½ΡΡ ΠΏΡΠΎΠ΅ΠΊΡΠΎΠ², Π° ΡΠ°ΠΊΠΆΠ΅ Π΄Π»Ρ ΠΏΡΠΈΠ²ΡΠ·ΠΊΠΈ ΡΡΡΠΎΠΈΡΠ΅Π»ΡΠ½ΡΡ ΠΎΠ±ΡΠ΅ΠΊΡΠΎΠ² Π½Π° ΠΌΠ΅ΡΡΠ½ΠΎΡΡΠΈ.
ΠΠΊΠΎΠ½ΡΠ°ΠΊΡΠ΅
Google+
ΠΠ΄Π½ΠΎΠΊΠ»Π°ΡΡΠ½ΠΈΠΊΠΈ
ΠΠΎΠΉ ΠΌΠΈΡ
stroim-domik.org
ΡΡΠΎ ΡΡΠΎ ΡΠ°ΠΊΠΎΠ΅, ΠΊΡΠΎ Π΅Ρ Π΄Π΅Π»Π°Π΅Ρ ΠΈ ΠΌΠΎΠΆΠ½ΠΎ Π»ΠΈ ΡΠ°ΠΌΠΎΡΡΠΎΡΡΠ΅Π»ΡΠ½ΠΎ ΠΏΡΠΎΠ²Π΅ΡΡΠΈ ΡΡΠ΅ΠΌΠΊΡ
Π Π΅ΡΠΈΠ»ΠΈ ΠΊΡΠΏΠΈΡΡ ΠΈΠ»ΠΈ ΡΠΆΠ΅ ΠΊΡΠΏΠΈΠ»ΠΈ Π·Π΅ΠΌΠ΅Π»ΡΠ½ΡΠΉ Π½Π°Π΄Π΅Π»? Π‘ΠΎΠ±ΠΈΡΠ°Π΅ΡΠ΅ΡΡ ΡΡΡΠΎΠΈΡΡ Π΄ΠΎΠΌ? ΠΠ½Π°ΡΠΈΡ, ΠΏΠΎΡΠ° ΠΏΠΎΠ·Π½Π°ΠΊΠΎΠΌΠΈΡΡΡΡ Ρ ΠΏΠ΅ΡΠ΅ΡΠ½Π΅ΠΌ Π²ΠΎΠ·ΠΌΠΎΠΆΠ½ΡΡ ΡΠ°ΡΡ ΠΎΠ΄ΠΎΠ². Π Π°Π·Π±Π΅ΡΠ΅ΠΌΡΡ, ΡΡΠΎ ΡΠ°ΠΊΠΎΠ΅ ΡΠΎΠΏΠΎΠ³ΡΠ°ΡΠΈΡΠ΅ΡΠΊΠ°Ρ ΡΡΠ΅ΠΌΠΊΠ° Π·Π΅ΠΌΠ΅Π»ΡΠ½ΠΎΠ³ΠΎ ΡΡΠ°ΡΡΠΊΠ° ΠΈ ΠΌΠΎΠΆΠ½ΠΎ Π»ΠΈ ΡΡΠΊΠΎΠ½ΠΎΠΌΠΈΡΡ, Π½Π΅ Π΄Π΅Π»Π°Ρ Π΅Π΅.
Π‘ΠΎΠ΄Π΅ΡΠΆΠ°Π½ΠΈΠ΅ ΡΡΠ°ΡΡΠΈ
ΠΠΎΡΠΎΠ³ΠΈΠ΅ ΡΠΈΡΠ°ΡΠ΅Π»ΠΈ! ΠΠ°ΡΠΈ ΡΡΠ°ΡΡΠΈ ΡΠ°ΡΡΠΊΠ°Π·ΡΠ²Π°ΡΡ ΠΎ ΡΠΈΠΏΠΎΠ²ΡΡ
ΡΠΏΠΎΡΠΎΠ±Π°Ρ
ΡΠ΅ΡΠ΅Π½ΠΈΡ ΡΡΠΈΠ΄ΠΈΡΠ΅ΡΠΊΠΈΡ
Π²ΠΎΠΏΡΠΎΡΠΎΠ², Π½ΠΎ ΠΊΠ°ΠΆΠ΄ΡΠΉ ΡΠ»ΡΡΠ°ΠΉ Π½ΠΎΡΠΈΡ ΡΠ½ΠΈΠΊΠ°Π»ΡΠ½ΡΠΉ Ρ
Π°ΡΠ°ΠΊΡΠ΅Ρ.
Β
ΠΡΠ»ΠΈ Π²Ρ Ρ
ΠΎΡΠΈΡΠ΅ ΡΠ·Π½Π°ΡΡ, ΠΊΠ°ΠΊ ΡΠ΅ΡΠΈΡΡ ΠΈΠΌΠ΅Π½Π½ΠΎ ΠΠ°ΡΡ ΠΏΡΠΎΠ±Π»Π΅ΠΌΡ — ΠΎΠ±ΡΠ°ΡΠ°ΠΉΡΠ΅ΡΡ Π² ΡΠΎΡΠΌΡ ΠΎΠ½Π»Π°ΠΉΠ½-ΠΊΠΎΠ½ΡΡΠ»ΡΡΠ°Π½ΡΠ° ΡΠΏΡΠ°Π²Π° ΠΈΠ»ΠΈ Π·Π²ΠΎΠ½ΠΈΡΠ΅ ΠΏΠΎ ΡΠ΅Π»Π΅ΡΠΎΠ½Ρ
+7Β (499) 450-39-61
8Β (800) 302-33-28
Β
ΠΡΠΎ Π±ΡΡΡΡΠΎ ΠΈ Π±Π΅ΡΠΏΠ»Π°ΡΠ½ΠΎ!
Π ΡΠΎΠΏΠΎΡΡΠ΅ΠΌΠΊΠ΅
ΠΠΎΠΏΡΠΎΡ Β«ΠΠ°ΠΊ ΡΠ΄Π΅Π»Π°ΡΡ ΡΠΎΠΏΠΎΠ³ΡΠ°ΡΠΈΡΠ΅ΡΠΊΡΡ ΡΡΠ΅ΠΌΠΊΡ Π·Π΅ΠΌΠ΅Π»ΡΠ½ΠΎΠ³ΠΎ ΡΡΠ°ΡΡΠΊΠ°?Β» Π±ΡΠ΄Π΅Ρ Π°ΠΊΡΡΠ°Π»Π΅Π½, Π΅ΡΠ»ΠΈ Π²Ρ ΡΡΡΠΎΠΈΡΠ΅ Π΄ΠΎΠΌ Π½Π° ΡΡΠ°ΡΡΠΊΠ΅ ΠΈ ΠΎΡΠΎΡΠΌΠ»ΡΠ΅ΡΠ΅ ΡΠ°Π·ΡΠ΅ΡΠΈΡΠ΅Π»ΡΠ½ΡΠ΅ Π΄ΠΎΠΊΡΠΌΠ΅Π½ΡΡ Π½Π° Π΅Π³ΠΎ ΡΡΡΠΎΠΈΡΠ΅Π»ΡΡΡΠ²ΠΎ.
Π ΡΡΠΈΡ ΡΠ»ΡΡΠ°ΡΡ Π±Π΅Π· ΡΠΎΠΏΠΎΠ³ΡΠ°ΡΠΈΡΠ΅ΡΠΊΠΎΠΉ ΡΡΠ΅ΠΌΠΊΠΈ Π½Π΅ ΠΎΠ±ΠΎΠΉΡΠΈΡΡ. ΠΡΠΎΠΌΠ΅ ΡΠΎΠ³ΠΎ, ΡΠΎΠΏΠΎΡΡΠ΅ΠΌΠΊΠ° Π±ΡΠ΄Π΅Ρ Π½ΡΠΆΠ½Π°, Π΅ΡΠ»ΠΈ Π²Ρ Π±ΡΠ΄Π΅ΡΠ΅:
- ΠΎΡΠΎΡΠΌΠ»ΡΡΡ Π² ΡΠΎΠ±ΡΡΠ²Π΅Π½Π½ΠΎΡΡΡ Π·Π΅ΠΌΠ΅Π»ΡΠ½ΡΠΉ Π½Π°Π΄Π΅Π»;
- ΠΏΠΎΠ΄ΠΊΠ»ΡΡΠ°ΡΡ ΡΠ°ΠΊΠΈΠ΅ ΠΊΠΎΠΌΠΌΡΠ½ΠΈΠΊΠ°ΡΠΈΠΈ, ΠΊΠ°ΠΊ Π²ΠΎΠ΄ΠΎΠΏΡΠΎΠ²ΠΎΠ΄, Π³Π°Π·ΠΎΠΏΡΠΎΠ²ΠΎΠ΄ ΠΈ Ρ.ΠΏ.;
- ΠΏΡΠΎΠΊΠ»Π°Π΄ΡΠ²Π°ΡΡ ΡΠ΅Π»Π΅ΡΠΎΠ½Π½ΡΠΉ ΠΊΠ°Π±Π΅Π»Ρ;
- ΠΌΠ΅Π½ΡΡΡ ΡΠΆΠ΅ ΠΈΠΌΠ΅ΡΡΠΈΠ΅ΡΡ ΠΈΠ½ΠΆΠ΅Π½Π΅ΡΠ½ΡΠ΅ ΡΠ΅ΡΠΈ;
- ΠΏΡΠΎΡΠ΅ΡΡΠΈΠΎΠ½Π°Π»ΡΠ½ΠΎ Π·Π°Π½ΠΈΠΌΠ°ΡΡΡΡ Π»Π°Π½Π΄ΡΠ°ΡΡΠ½ΡΠΌ Π΄ΠΈΠ·Π°ΠΉΠ½ΠΎΠΌ ΠΈ Π΄Ρ.
ΠΠ±ΡΡΠ½ΠΎ ΠΏΠ»Π°Π½Ρ ΠΈ ΠΊΠ°ΡΡΡ ΠΏΠΎΠ»ΡΡΠ°ΡΡ ΠΌΠ΅ΡΠΎΠ΄ΠΎΠΌ Π°ΡΡΠΎΡΠΎΡΠΎΡΡΠ΅ΠΌΠΊΠΈ. ΠΠ½ΠΎΠ³Π΄Π° β Ρ ΠΏΠΎΠΌΠΎΡΡΡ ΠΊΠΎΡΠΌΠΈΡΠ΅ΡΠΊΠΎΠΉ ΡΡΠ΅ΠΌΠΊΠΈ. ΠΠΎ Π½Π° Π½Π΅Π±ΠΎΠ»ΡΡΠΈΡ ΡΡΠ°ΡΡΠΊΠ°Ρ ΠΈΡ ΠΏΠΎΠ»ΡΡΠ°ΡΡ, ΠΈΡΠΏΠΎΠ»ΡΠ·ΡΡ Π½Π°Π·Π΅ΠΌΠ½ΡΠ΅ ΡΠ½ΠΈΠΌΠΊΠΈ.
ΠΠ»Ρ ΡΡΠ΅ΠΌΠΊΠΈ ΠΈ Π·Π°ΠΌΠ΅ΡΠΎΠ² ΠΈΡΠΏΠΎΠ»ΡΠ·ΡΡΡ ΡΠΏΠ΅ΡΠΈΠ°Π»ΡΠ½ΡΠ΅ ΠΈΠ½ΡΡΡΡΠΌΠ΅Π½ΡΡ β ΡΠ°Ρ
Π΅ΠΎΠΌΠ΅ΡΡΡ, Π½ΠΈΠ²Π΅Π»ΠΈΡΡ, ΡΠ΅ΠΎΠ΄ΠΎΠ»ΠΈΡΡ ΠΈ Π΄Ρ. Π‘ ΠΏΠΎΠΌΠΎΡΡΡ ΡΡΠΈΡ
ΠΏΡΠΈΡΠΏΠΎΡΠΎΠ±Π»Π΅Π½ΠΈΠΉ ΠΈΠ·ΠΌΠ΅ΡΡΡΡ ΠΈ ΡΠΈΠΊΡΠΈΡΡΡΡ ΡΠ³Π»Ρ, Π²ΡΡΠΎΡΡ, ΡΠ°ΡΡΡΠΎΡΠ½ΠΈΡ, ΠΊΠΎΠΎΡΠ΄ΠΈΠ½Π°ΡΡ ΠΈ Π΄ΡΡΠ³ΠΈΠ΅ ΠΏΠ°ΡΠ°ΠΌΠ΅ΡΡΡ ΠΎΠ±ΡΠ΅ΠΊΡΠΎΠ², ΠΊΠΎΡΠΎΡΡΠ΅ Π΅ΡΡΡ Π½Π° ΡΡΠ°ΡΡΠΊΠ΅. ΠΠ΅ΡΡ ΠΊΠΎΠΌΠΏΠ»Π΅ΠΊΡ ΠΈΠ·ΠΌΠ΅ΡΠΈΡΠ΅Π»ΡΠ½ΡΡ
ΡΠ°Π±ΠΎΡ ΠΈ Π½Π°Π·ΡΠ²Π°Π΅ΡΡΡ ΡΠΎΠΏΠΎΠ³ΡΠ°ΡΠΈΡΠ΅ΡΠΊΠΎΠΉ ΡΡΠ΅ΠΌΠΊΠΎΠΉ Π·Π΅ΠΌΠ΅Π»ΡΠ½ΠΎΠ³ΠΎ ΡΡΠ°ΡΡΠΊΠ°.
ΠΠΎΠΆΠ΅Ρ ΠΏΡΠΈΠ³ΠΎΠ΄ΠΈΡΡΡΡ:
ΠΠ°ΠΊ Π±Π΅ΡΠΏΠ»Π°ΡΠ½ΠΎ ΡΠ΄Π΅Π»Π°ΡΡ ΠΌΠ΅ΠΆΠ΅Π²Π°Π½ΠΈΠ΅ Π·Π΅ΠΌΠ΅Π»ΡΠ½ΠΎΠ³ΠΎ ΡΡΠ°ΡΡΠΊΠ°
Π§ΡΠΎ ΡΠ°ΠΊΠΎΠ΅ ΡΡ Π΅ΠΌΠ° ΠΏΠ»Π°Π½ΠΈΡΠΎΠ²ΠΎΡΠ½ΠΎΠΉ ΠΎΡΠ³Π°Π½ΠΈΠ·Π°ΡΠΈΠΈ Π·Π΅ΠΌΠ΅Π»ΡΠ½ΠΎΠ³ΠΎ ΡΡΠ°ΡΡΠΊΠ° (Π‘ΠΠΠΠ£) ΠΈ ΠΊΠ°ΠΊ Π΅Ρ Π½Π°ΡΠΈΡΠΎΠ²Π°ΡΡ
ΠΠ· ΡΠ΅Π³ΠΎ ΡΠΊΠ»Π°Π΄ΡΠ²Π°Π΅ΡΡΡ ΠΊΠ°Π΄Π°ΡΡΡΠΎΠ²Π°Ρ ΡΡΠΎΠΈΠΌΠΎΡΡΡ Π·Π΅ΠΌΠ΅Π»ΡΠ½ΠΎΠ³ΠΎ ΡΡΠ°ΡΡΠΊΠ° ΠΈ ΡΠΊΠΎΠ»ΡΠΊΠΎ ΡΡΠΎΠΈΡ 1 ΡΠΎΡΠΊΠ° Π·Π΅ΠΌΠ»ΠΈ
ΠΠΎ ΠΈΡΠΎΠ³Π°ΠΌ ΠΈΠ·ΠΌΠ΅ΡΠ΅Π½ΠΈΠΉ ΡΠΎΡΡΠ°Π²Π»ΡΡΡ ΡΠΎΠΏΠΎΠ³ΡΠ°ΡΠΈΡΠ΅ΡΠΊΠΈΠΉ ΠΏΠ»Π°Π½. ΠΡΠΎ ΡΠ΅ΡΡΠ΅ΠΆ, Π½Π° ΠΊΠΎΡΠΎΡΠΎΠΌ Π² ΠΌΠ°ΡΡΡΠ°Π±Π΅ ΡΠΊΠ°Π·ΡΠ²Π°ΡΡ ΡΠ²Π΅Π΄Π΅Π½ΠΈΡ ΠΎ ΡΠ΅Π»ΡΠ΅ΡΠ΅ ΡΡΠ°ΡΡΠΊΠ° ΠΈ ΠΎΠ±ΡΠ΅ΠΊΡΠ°Ρ , ΠΊΠΎΡΠΎΡΡΠ΅ Π΅ΡΡΡ Π½Π° Π½Π΅ΠΌ. Π‘ ΠΏΠΎΠΌΠΎΡΡΡ ΡΠΈΠΌΠ²ΠΎΠ»ΠΎΠ² Π½Π° ΠΏΠ»Π°Π½Π΅ ΠΏΠΎΠΊΠ°Π·ΡΠ²Π°ΡΡ Π·Π΄Π°Π½ΠΈΡ, ΡΠΎΠΎΡΡΠΆΠ΅Π½ΠΈΡ, ΠΏΡΠΎΠΈΠ·ΡΠ°ΡΡΠ°ΡΡΠΈΠ΅ Π΄Π΅ΡΠ΅Π²ΡΡ, ΠΊΡΡΡΡ, ΠΈΠΌΠ΅ΡΡΠΈΠ΅ΡΡ Ρ ΠΎΠ»ΠΌΡ, ΡΠΌΡ, ΡΡΠΎΠ»Π±Ρ, ΠΊΠΎΠΌΠΌΡΠ½ΠΈΠΊΠ°ΡΠΈΠΈ ΠΈ Ρ.ΠΏ.
ΠΠ½ΠΈΠΌΠ°Π½ΠΈΠ΅! Π Π΅Π·ΡΠ»ΡΡΠ°ΡΡ ΡΠΎΠΏΠΎΡΡΠ΅ΠΌΠΊΠΈ ΠΈΡΠΏΠΎΠ»ΡΠ·ΡΡΡ Π΄Π»Ρ ΠΏΡΠΎΠ΅ΠΊΡΠΈΡΠΎΠ²Π°Π½ΠΈΡ, ΡΡΡΠΎΠΈΡΠ΅Π»ΡΡΡΠ²Π° ΠΈ Π΄Π°Π»ΡΠ½Π΅ΠΉΡΠ΅Π³ΠΎ ΠΎΡΠΎΡΠΌΠ»Π΅Π½ΠΈΡ Π½Π΅ΠΎΠ±Ρ ΠΎΠ΄ΠΈΠΌΡΡ Π΄ΠΎΠΊΡΠΌΠ΅Π½ΡΠΎΠ² Π½Π° Π·Π΅ΠΌΠ»Ρ.
ΠΠΎΠΆΠ½ΠΎ Π»ΠΈ ΡΠ΄Π΅Π»Π°ΡΡ ΡΠ°ΠΌΠΎΠΌΡ
ΠΡΠΎ Π΄Π΅Π»Π°Π΅Ρ ΡΠΎΠΏΠΎΠ³ΡΠ°ΡΠΈΡΠ΅ΡΠΊΡΡ ΡΡΠ΅ΠΌΠΊΡ Π·Π΅ΠΌΠ΅Π»ΡΠ½ΠΎΠ³ΠΎ ΡΡΠ°ΡΡΠΊΠ°? ΠΠ°ΠΆΠ΄ΡΠΉ ΡΠΎΠ±ΡΡΠ²Π΅Π½Π½ΠΈΠΊ Π·Π°ΠΈΠ½ΡΠ΅ΡΠ΅ΡΠΎΠ²Π°Π½ ΡΠΌΠ΅Π½ΡΡΠΈΡΡ ΡΠ²ΠΎΠΈ ΡΠ°ΡΡ ΠΎΠ΄Ρ Π½Π° ΡΠΎΠ΄Π΅ΡΠΆΠ°Π½ΠΈΠ΅ ΡΡΠ°ΡΡΠΊΠ°. Π‘Π»ΡΡΠ°Π΅ΡΡΡ, ΡΡΠΎ Π²Π»Π°Π΄Π΅Π»Π΅Ρ ΡΡΠ°ΡΡΠΊΠ° Ρ ΠΎΡΠ΅Ρ ΡΠ°ΠΌ ΠΏΡΠΎΠ²Π΅ΡΡΠΈ ΡΠΎΠΏΠΎΠ³ΡΠ°ΡΠΈΡΠ΅ΡΠΊΡΡ ΡΡΠ΅ΠΌΠΊΡ. ΠΠΎ Π΄Π»Ρ ΡΡΠΎΠΉ ΡΠ»ΠΎΠΆΠ½ΠΎΠΉ ΠΏΡΠΎΡΠ΅Π΄ΡΡΡ Π½ΡΠΆΠ½Ρ ΠΎΡΠΎΠ±ΡΠ΅ Π·Π½Π°Π½ΠΈΡ ΠΈ Π½Π°Π²ΡΠΊΠΈ. Π Π΅ΡΠ΅ ΡΠΏΠ΅ΡΠΈΠ°Π»ΡΠ½ΠΎΠ΅ Π΄ΠΎΡΠΎΠ³ΠΎΡΡΠΎΡΡΠ΅Π΅ ΠΎΠ±ΠΎΡΡΠ΄ΠΎΠ²Π°Π½ΠΈΠ΅. ΠΡΠΈΡΠ΅ΠΌ ΠΎΠ½ΠΎ Π΄ΠΎΠ»ΠΆΠ½ΠΎ ΠΏΡΠΎΡ ΠΎΠ΄ΠΈΡΡ ΡΠ΅Π³ΡΠ»ΡΡΠ½ΡΠ΅ ΠΏΠΎΠ²Π΅ΡΠΊΠΈ ΠΏΡΠ°Π²ΠΈΠ»ΡΠ½ΠΎΡΡΠΈ Π½Π°ΡΡΡΠΎΠΉΠΊΠΈ ΠΈ ΠΈΠ·ΠΌΠ΅ΡΠ΅Π½ΠΈΠΉ.
ΠΡΠΎΠΌΠ΅ ΡΠΎΠ³ΠΎ, ΠΏΠΎ Π·Π°ΠΊΠΎΠ½Ρ ΡΠΎΠΏΠΎΠ³ΡΠ°ΡΠΈΡΠ΅ΡΠΊΡΡ ΡΡΠ΅ΠΌΠΊΡ ΠΌΠΎΠΆΠ΅Ρ ΠΏΡΠΎΠ²ΠΎΠ΄ΠΈΡΡ ΡΠΎΠ»ΡΠΊΠΎ ΡΠΏΠ΅ΡΠΈΠ°Π»ΠΈΡΡ, ΠΈΠΌΠ΅ΡΡΠΈΠΉ ΡΠΎΠΎΡΠ²Π΅ΡΡΡΠ²ΡΡΡΠ΅Π΅ ΠΎΠ±ΡΠ°Π·ΠΎΠ²Π°Π½ΠΈΠ΅ ΠΈ ΡΠ°Π·ΡΠ΅ΡΠ΅Π½ΠΈΠ΅. ΠΡΠΈΠΌ Π·Π°Π½ΠΈΠΌΠ°ΡΡΡΡ ΠΈΠ½ΠΆΠ΅Π½Π΅ΡΡ-Π³Π΅ΠΎΠ΄Π΅Π·ΠΈΡΡΡ. ΠΠ±ΡΡΠ½ΠΎ ΠΎΠ½ΠΈ ΡΠ°Π±ΠΎΡΠ°ΡΡ Π² ΡΠΏΠ΅ΡΠΈΠ°Π»ΠΈΠ·ΠΈΡΠΎΠ²Π°Π½Π½ΡΡ Π³Π΅ΠΎΠ΄Π΅Π·ΠΈΡΠ΅ΡΠΊΠΈΡ ΠΎΡΠ³Π°Π½ΠΈΠ·Π°ΡΠΈΡΡ .

ΠΠΎΡΡΠΎΠΌΡ ΡΡΠΊΠΎΠ½ΠΎΠΌΠΈΡΡ Π½Π° ΡΠΎΠΏΠΎΡΡΠ΅ΠΌΠΊΠ΅ Π·Π΅ΠΌΠ΅Π»ΡΠ½ΠΎΠ³ΠΎ ΡΡΠ°ΡΡΠΊΠ°, Π·Π½Π°Ρ, ΡΡΠΎ ΡΡΠΎ ΡΠ°ΠΊΠΎΠ΅, Π΄Π»Ρ ΠΊΠ°ΠΊΠΈΡ ΡΠ΅Π»Π΅ΠΉ ΠΎΠ½Π° Π½ΡΠΆΠ½Π° ΠΈ ΡΠ΄Π΅Π»Π°Π² Π΅Π΅ ΡΠ°ΠΌΠΎΠΌΡ, Π½Π΅ ΠΏΠΎΠ»ΡΡΠΈΡΡΡ. ΠΠ°ΠΆΠ΅ Π΅ΡΠ»ΠΈ ΠΏΡΠΎΠ²Π΅ΡΡΠΈ Π·Π°ΠΌΠ΅ΡΡ ΡΠ°ΠΌΠΎΡΡΠΎΡΡΠ΅Π»ΡΠ½ΠΎ, Ρ ΠΏΠΎΠ»ΡΡΠ΅Π½Π½ΡΡ ΡΠ²Π΅Π΄Π΅Π½ΠΈΠΉ Π½Π΅ Π±ΡΠ΄Π΅Ρ ΡΡΠΈΠ΄ΠΈΡΠ΅ΡΠΊΠΎΠΉ ΡΠΈΠ»Ρ. ΠΠ½ΠΈ ΠΏΠΎΠ΄ΠΎΠΉΠ΄ΡΡ ΡΠΎΠ»ΡΠΊΠΎ Π΄Π»Ρ Π»ΠΈΡΠ½ΠΎΠ³ΠΎ ΠΈΡΠΏΠΎΠ»ΡΠ·ΠΎΠ²Π°Π½ΠΈΡ ΠΈ Π±ΡΠ΄ΡΡ Π±Π΅ΡΠΏΠΎΠ»Π΅Π·Π½Ρ Π΄Π»Ρ ΠΎΡΠΎΡΠΌΠ»Π΅Π½ΠΈΡ ΡΠ΅Ρ Π½ΠΈΡΠ΅ΡΠΊΠΎΠΉ ΠΈΠ»ΠΈ ΡΡΡΠΎΠΈΡΠ΅Π»ΡΠ½ΠΎΠΉ Π΄ΠΎΠΊΡΠΌΠ΅Π½ΡΠ°ΡΠΈΠΈ. Π‘Π°ΠΌΠΎΡΡΠΎΡΡΠ΅Π»ΡΠ½ΡΠ΅ Π·Π°ΠΌΠ΅ΡΡ Π±ΡΠ΄ΡΡ ΠΏΡΠΈΠ³ΠΎΠ΄Π½Ρ Π΄Π»Ρ ΠΏΡΠΎΡΡΠΎΠΉ ΡΡ Π΅ΠΌΡ ΡΡΠ°ΡΡΠΊΠ° Π² ΡΠ΅Π»ΡΡ Π΅Π³ΠΎ ΠΎΠ±ΡΡΡΡΠΎΠΉΡΡΠ²Π°.
ΠΠ°ΠΊ ΠΏΡΠΎΠ²ΠΎΠ΄ΠΈΡΡΡ ΡΠΎΠΏΠΎΠ³ΡΠ°ΡΠΈΡΠ΅ΡΠΊΠ°Ρ ΡΡΠ΅ΠΌΠΊΠ°
ΠΠ±ΡΡΠ½ΠΎ ΠΏΡΠΎΡΠ΅ΡΡ ΠΈΠ΄Π΅Ρ ΡΠ°ΠΊ:
- ΠΠΎΠ΄Π³ΠΎΡΠΎΠ²ΠΊΠ°. Π‘ΠΏΠ΅ΡΠΈΠ°Π»ΠΈΡΡΡ ΠΈΠ·ΡΡΠ°ΡΡ Π΄ΠΎΠΊΡΠΌΠ΅Π½ΡΡ, ΠΏΠΎΠ΄ΡΠ²Π΅ΡΠΆΠ΄Π°ΡΡΠΈΠ΅ ΠΏΡΠ°Π²ΠΎ Π½Π° Π·Π΅ΠΌΠ»Ρ, ΠΈ Π½Π°Ρ ΠΎΠ΄ΡΡΠΈΠ΅ΡΡ Π½Π° ΡΡΠ°ΡΡΠΊΠ΅ ΡΡΡΠΎΠ΅Π½ΠΈΡ. Π‘ΠΎΡΡΠ°Π²Π»ΡΡΡ ΡΠ΅Ρ Π½ΠΈΡΠ΅ΡΠΊΠΎΠ΅ Π·Π°Π΄Π°Π½ΠΈΠ΅ ΠΈ ΠΎΡΠΎΡΠΌΠ»ΡΡΡ Π΄ΠΎΠ³ΠΎΠ²ΠΎΡ.
- ΠΠΎΠ»Π΅Π²ΡΠ΅ ΡΠ°Π±ΠΎΡΡ. ΠΡΠΎΡ ΡΡΠ°ΠΏ Π²ΠΊΠ»ΡΡΠ°Π΅Ρ Π² ΡΠ΅Π±Ρ ΠΏΡΠ΅Π΄Π²Π°ΡΠΈΡΠ΅Π»ΡΠ½ΡΠΉ ΠΎΡΠΌΠΎΡΡ, ΠΎΡΠ΅Π½ΠΊΡ ΠΈ Π½Π΅ΠΏΠΎΡΡΠ΅Π΄ΡΡΠ²Π΅Π½Π½ΠΎΠ΅ ΠΏΡΠΎΠ²Π΅Π΄Π΅Π½ΠΈΠ΅ ΠΈΠ·ΠΌΠ΅ΡΠ΅Π½ΠΈΠΉ Π½Π° Π·Π΅ΠΌΠ΅Π»ΡΠ½ΠΎΠΌ ΡΡΠ°ΡΡΠΊΠ΅. Π‘ΠΏΠ΅ΡΠΈΠ°Π»ΠΈΡΡΡ ΡΠ½ΠΈΠΌΠ°ΡΡ ΡΠ»Π΅ΠΌΠ΅Π½ΡΡ ΡΡΠ°ΡΡΠΊΠ° ΠΈ ΡΠ΅Π»ΡΠ΅Ρ ΠΌΠ΅ΡΡΠ½ΠΎΡΡΠΈ.
- ΠΠ°ΠΌΠ΅ΡΠ°Π»ΡΠ½ΡΠ΅ ΡΠ°Π±ΠΎΡΡ. ΠΡΠΎ ΠΏΡΠΎΡΠ΅ΡΡ ΠΎΠ±ΡΠ°Π±ΠΎΡΠΊΠΈ ΡΠ΅Π·ΡΠ»ΡΡΠ°ΡΠΎΠ² ΠΈ Π½Π°ΠΏΠΈΡΠ°Π½ΠΈΡ ΠΎΡΡΠ΅ΡΠ°. ΠΠ° ΠΎΡΠ½ΠΎΠ²Π΅ ΠΈΠ·ΠΌΠ΅ΡΠ΅Π½ΠΈΠΉ ΠΏΠΎΠ»Π΅Π²ΠΎΠ³ΠΎ ΡΡΠ°ΠΏΠ° Π²ΡΡΠΈΡΠ»ΡΡΡ ΠΊΠΎΠΎΡΠ΄ΠΈΠ½Π°ΡΡ ΠΈ Π²ΡΡΠΎΡΡ, Π½Π°Π½ΠΎΡΡΡ ΠΈΡ Π½Π° ΠΏΠ»Π°Π½. ΠΡΠΎΠ²ΠΎΠ΄ΡΡ Π³ΠΎΡΠΈΠ·ΠΎΠ½ΡΠ°Π»ΠΈ ΠΈ Π²ΡΡΠ΅ΡΡΠΈΠ²Π°ΡΡ ΠΏΠ»Π°Π½, ΠΈΡΠΏΠΎΠ»ΡΠ·ΡΡ ΡΠΏΠ΅ΡΠΈΠ°Π»ΡΠ½ΡΠ΅ ΡΠΎΠΏΠΎΠ³ΡΠ°ΡΠΈΡΠ΅ΡΠΊΠΈΠ΅ Π·Π½Π°ΠΊΠΈ.
ΠΡ ΡΠ΅Π³ΠΎ Π·Π°Π²ΠΈΡΠΈΡ ΡΡΠΎΠΈΠΌΠΎΡΡΡ ΡΠ°Π±ΠΎΡ
Π‘ΡΠΎΠΈΠΌΠΎΡΡΡ ΡΠΎΠΏΠΎΠ³ΡΠ°ΡΠΈΡΠ΅ΡΠΊΠΎΠΉ ΡΡΠ΅ΠΌΠΊΠΈ ΠΎΠ±ΡΡΠ½ΠΎ Π΄ΠΎΠ³ΠΎΠ²ΠΎΡΠ½Π°Ρ. ΠΠ΅ Π΄ΠΎ Π½Π°ΡΠ°Π»Π° ΡΠ°Π±ΠΎΡ ΡΠΎΠ³Π»Π°ΡΠΎΠ²ΡΠ²Π°Π΅Ρ ΠΈΡΠΏΠΎΠ»Π½ΠΈΡΠ΅Π»Ρ Ρ Π·Π°ΠΊΠ°Π·ΡΠΈΠΊΠΎΠΌ. ΠΠ° ΡΡΠΌΠΌΡ Π²Π»ΠΈΡΠ΅Ρ ΠΌΠ½ΠΎΠ³ΠΎ ΡΠ°ΠΊΡΠΎΡΠΎΠ². ΠΠ΄ΠΈΠ½ ΠΈΠ· Π½ΠΈΡ β ΡΠ΅Π»ΡΠ΅Ρ ΠΌΠ΅ΡΡΠ½ΠΎΡΡΠΈ. Π§Π΅ΠΌ ΠΎΠ½ ΡΠ°Π·Π½ΠΎΠΎΠ±ΡΠ°Π·Π½Π΅Π΅, ΡΠ΅ΠΌ ΡΠ»ΠΎΠΆΠ½Π΅Π΅ ΠΈ ΡΡΡΠ΄ΠΎΠ·Π°ΡΡΠ°ΡΠ½Π΅Π΅ ΡΡΠ΅ΠΌΠΊΠ°.
ΠΠ° ΡΠ΅Π½Ρ Π²Π»ΠΈΡΡΡ ΡΠ°ΠΊΠΆΠ΅ ΡΠ°Π·ΠΌΠ΅Ρ Π½Π°Π΄Π΅Π»Π° ΠΈ Π΄Π»ΠΈΠ½Π° ΠΏΡΡΠΈ, ΠΊΠΎΡΠΎΡΡΠΉ Π½Π°Π΄ΠΎ ΠΏΡΠΎΠ΄Π΅Π»Π°ΡΡ ΡΠΏΠ΅ΡΠΈΠ°Π»ΠΈΡΡΠ°ΠΌ, ΡΡΠΎΠ±Ρ Π΄ΠΎΠ±ΡΠ°ΡΡΡΡ Π΄ΠΎ ΠΎΠ±ΡΠ»Π΅Π΄ΡΠ΅ΠΌΠΎΠ³ΠΎ ΡΡΠ°ΡΡΠΊΠ°. Π‘ΡΠΎΠΈΠΌΠΎΡΡΡ ΡΠ°ΠΊΠΆΠ΅ Π·Π°Π²ΠΈΡΠΈΡ ΠΎΡ ΡΠΏΠΎΡΠΎΠ±Π° ΡΡΠ΅ΠΌΠΊΠΈ ΠΈ ΠΈΡΠΏΠΎΠ»ΡΠ·ΡΠ΅ΠΌΠΎΠ³ΠΎ ΠΎΠ±ΠΎΡΡΠ΄ΠΎΠ²Π°Π½ΠΈΡ.
ΠΠΎΠΆΠ΅Ρ ΠΏΡΠΈΠ³ΠΎΠ΄ΠΈΡΡΡΡ:
Π§ΡΠΎ ΡΠ°ΠΊΠΎΠ΅ ΠΊΠ°Π΄Π°ΡΡΡΠΎΠ²ΡΠΉ ΡΡΠ΅Ρ ΠΎΠ±ΡΠ΅ΠΊΡΠΎΠ² Π½Π΅Π΄Π²ΠΈΠΆΠΈΠΌΠΎΠ³ΠΎ ΠΈΠΌΡΡΠ΅ΡΡΠ²Π°
Π§ΡΠΎ ΡΠ°ΠΊΠΎΠ΅ ΠΊΠ°Π΄Π°ΡΡΡΠΎΠ²Π°Ρ Π²ΡΠΏΠΈΡΠΊΠ° ΠΎ Π·Π΅ΠΌΠ΅Π»ΡΠ½ΠΎΠΌ ΡΡΠ°ΡΡΠΊΠ΅ ΠΈ Π³Π΄Π΅ Π΅Ρ ΠΌΠΎΠΆΠ½ΠΎ ΠΏΠΎΠ»ΡΡΠΈΡΡ
Π Π΅Π·ΡΠ»ΡΡΠ°Ρ ΡΠΎΠΏΠΎΡΡΠ΅ΠΌΠΊΠΈ
ΠΠ΄Π΅ ΠΏΠΎΠ»ΡΡΠΈΡΡ ΡΠΎΠΏΠΎΡΡΠ΅ΠΌΠΊΡ? Π£ ΠΈΡΠΏΠΎΠ»Π½ΠΈΡΠ΅Π»Ρ. ΠΡΠΎΡΠΌΠ»Π΅Π½Π½ΡΠΉ ΡΠΎΠΏΠΎΠ³ΡΠ°ΡΠΈΡΠ΅ΡΠΊΠΈΠΉ ΠΏΠ»Π°Π½ ΠΎΠ½ Π΄ΠΎΠ»ΠΆΠ΅Π½ Π²ΡΡΡΠΈΡΡ Π·Π°ΠΊΠ°Π·ΡΠΈΠΊΡ. ΠΠ»Π°Π½ ΠΎΠ±ΡΡΠ½ΠΎ ΠΎΡΠΎΡΠΌΠ»ΡΡΡ Π½Π° Π±ΡΠΌΠ°Π³Π΅ ΠΈΠ»ΠΈ Π² ΡΠ»Π΅ΠΊΡΡΠΎΠ½Π½ΠΎΠΌ Π²ΠΈΠ΄Π΅ (ΡΡΡΠΎΡΡ ΡΠΈΡΡΠΎΠ²ΡΡ ΠΌΠΎΠ΄Π΅Π»Ρ ΡΡΠ°ΡΡΠΊΠ°). ΠΠ°ΡΡΡΠ°Π± ΠΏΠ»Π°Π½Π° ΠΌΠΎΠΆΠ΅Ρ Π±ΡΡΡ ΡΠ°Π·Π½ΡΠΌ ΠΈ Π²Π°ΡΡΠΈΡΠΎΠ²Π°ΡΡΡΡ Π² Π·Π°Π²ΠΈΡΠΈΠΌΠΎΡΡΠΈ ΠΎΡ ΡΠ°Π·ΠΌΠ΅ΡΠΎΠ² ΡΡΠ°ΡΡΠΊΠ°.

Π‘ΠΊΠ°ΠΆΠ΅ΠΌ ΠΎ ΡΠΎΡΠ½ΠΎΡΡΠΈ ΡΠΎΠΏΠΎΠ³ΡΠ°ΡΠΈΡΠ΅ΡΠΊΠΎΠ³ΠΎ ΠΏΠ»Π°Π½Π°. ΠΠΎΠ΄ Π½Π΅ΠΉ ΠΏΠΎΠ½ΠΈΠΌΠ°ΡΡ ΡΡΠ΅Π΄Π½ΡΡ ΠΏΠΎΠ³ΡΠ΅ΡΠ½ΠΎΡΡΡ Π² ΠΎΠΏΡΠ΅Π΄Π΅Π»Π΅Π½ΠΈΠΈ ΡΠ°ΡΠΏΠΎΠ»ΠΎΠΆΠ΅Π½ΠΈΡ ΡΡΠ°ΡΡΠΊΠ° Π½Π° ΠΏΠ»Π°Π½Π΅. Π’ΠΎ Π΅ΡΡΡ ΡΡΠΎ ΡΠΎΡΠ½ΠΎΡΡΡ, Ρ ΠΊΠΎΡΠΎΡΠΎΠΉ Π½Π° ΠΏΠ»Π°Π½Π΅ ΠΌΠΎΠΆΠ½ΠΎ ΠΎΠΏΡΠ΅Π΄Π΅Π»ΠΈΡΡ ΠΊΠΎΠΎΡΠ΄ΠΈΠ½Π°ΡΡ. ΠΠ½Π° ΡΠ°Π·Π½Π°Ρ Π΄Π»Ρ ΠΊΠ°ΠΆΠ΄ΠΎΠ³ΠΎ ΠΌΠ°ΡΡΡΠ°Π±Π°.
ΠΠ»Ρ ΡΠ°Π²Π½ΠΈΠ½Π½ΠΎΠ³ΠΎ ΡΠ΅Π»ΡΠ΅ΡΠ° Π΄ΠΎΠΏΡΡΡΠΈΠΌΠ°Ρ ΠΏΠΎΠ³ΡΠ΅ΡΠ½ΠΎΡΡΡ β 0.5 ΠΌΠΌ Π² ΠΌΠ°ΡΡΡΠ°Π±Π΅. Π ΠΏΠ΅ΡΠ΅Π²ΠΎΠ΄Π΅ Π½Π° ΡΠ°ΡΡΡΠΎΡΠ½ΠΈΠ΅ Π΄Π»Ρ ΠΌΠ°ΡΡΡΠ°Π±Π° 1:500 ΠΏΠΎΠ³ΡΠ΅ΡΠ½ΠΎΡΡΡ ΡΠΎΡΡΠ°Π²ΠΈΡ 0.25 ΠΌΠ΅ΡΡΠ°. Π§Π΅ΠΌ ΠΊΡΡΠΏΠ½Π΅Π΅ ΠΌΠ°ΡΡΡΠ°Π±, ΡΠ΅ΠΌ ΠΌΠ΅Π½ΡΡΠ΅ ΠΏΠΎΠ³ΡΠ΅ΡΠ½ΠΎΡΡΡ.
ΠΠΎΠ΄Π²Π΅Π΄Π΅ΠΌ ΠΈΡΠΎΠ³ΠΈ
ΠΠ»Ρ ΠΊΠ°ΡΠ΅ΡΡΠ²Π° ΡΠΎΠΏΠΎΠ³ΡΠ°ΡΠΈΡΠ΅ΡΠΊΠΎΠΉ ΡΡΠ΅ΠΌΠΊΠΈ ΠΎΡΠ΅Π½Ρ Π²Π°ΠΆΠ½Π° ΠΊΠ²Π°Π»ΠΈΡΠΈΠΊΠ°ΡΠΈΡ ΡΠΏΠ΅ΡΠΈΠ°Π»ΠΈΡΡΠ°, ΠΊΠΎΡΠΎΡΡΠΉ Π΅Π΅ ΠΏΡΠΎΠ²ΠΎΠ΄ΠΈΡ. ΠΠ΅Π΄Ρ ΡΠ΅Π·ΡΠ»ΡΡΠ°ΡΡ ΠΈΠ·ΠΌΠ΅ΡΠ΅Π½ΠΈΠΉ ΡΡΠ΅Π±ΡΡΡ ΠΏΠΎΠ²ΡΡΠ΅Π½Π½ΠΎΠΉ ΡΠΎΡΠ½ΠΎΡΡΠΈ. ΠΠ°ΡΠ΅ΡΡΠ²Π΅Π½Π½Π°Ρ ΡΠΎΠΏΠΎΠ³ΡΠ°ΡΠΈΡΠ΅ΡΠΊΠ°Ρ ΡΡΠ΅ΠΌΠΊΠ° β Π²Π°ΠΆΠ½Π°Ρ ΡΠΎΡΡΠ°Π²Π»ΡΡΡΠ°Ρ ΡΡΠΏΠ΅ΡΠ½ΠΎΠ³ΠΎ ΠΏΡΠ΅ΠΎΠ±ΡΠ°Π·ΠΎΠ²Π°Π½ΠΈΡ Π»ΡΠ±ΠΎΠΉ ΡΠ΅ΡΡΠΈΡΠΎΡΠΈΠΈ.
ΠΡΠ»ΠΈ ΠΏΡΠΎΠ΅ΠΊΡΠ½Π°Ρ Π΄ΠΎΠΊΡΠΌΠ΅Π½ΡΠ°ΡΠΈΡ Π±ΡΠ΄Π΅Ρ ΡΠ°Π·ΡΠ°Π±Π°ΡΡΠ²Π°ΡΡΡΡ Π½Π° ΠΎΡΠ½ΠΎΠ²Π΅ ΡΠΎΠΏΠΎΠΏΠ»Π°Π½Π°, ΡΠ΄Π΅Π»Π°Π½Π½ΠΎΠ³ΠΎ Π½Π΅ΡΠΎΡΠ½ΠΎ ΠΈΠ»ΠΈ Ρ ΠΎΡΠΈΠ±ΠΊΠ°ΠΌΠΈ, ΠΏΠΎΡΠ»Π΅Π΄ΡΡΠ²ΠΈΡ ΠΌΠΎΠ³ΡΡ Π±ΡΡΡ ΠΊΡΠ°ΠΉΠ½Π΅ Π½Π΅ΠΏΡΠΈΡΡΠ½ΡΠΌΠΈ. Π ΡΠ²ΡΠ·ΠΈ Ρ ΡΡΠΈΠΌ ΡΠ΅ΠΊΠΎΠΌΠ΅Π½Π΄ΡΠ΅ΠΌ ΠΎΠ±ΡΠ°ΡΠ°ΡΡΡΡ ΠΈΡΠΊΠ»ΡΡΠΈΡΠ΅Π»ΡΠ½ΠΎ ΠΊ ΠΏΡΠΎΡΠ΅ΡΡΠΈΠΎΠ½Π°Π»Π°ΠΌ.
ΠΠ΅ Π½Π°ΡΠ»ΠΈ ΠΎΡΠ²Π΅ΡΠ° Π½Π° ΡΠ²ΠΎΠΉ Π²ΠΎΠΏΡΠΎΡ?
Π£Π·Π½Π°ΠΉΡΠ΅, ΠΊΠ°ΠΊ ΡΠ΅ΡΠΈΡΡ ΠΈΠΌΠ΅Π½Π½ΠΎ ΠΠ°ΡΡ ΠΏΡΠΎΠ±Π»Π΅ΠΌΡ — ΠΏΠΎΠ·Π²ΠΎΠ½ΠΈΡΠ΅ ΠΏΡΡΠΌΠΎ ΡΠ΅ΠΉΡΠ°Ρ:
Β
+7Β (499) 450-39-61
8Β (800) 302-33-28
Β
ΠΡΠΎ Π±ΡΡΡΡΠΎ ΠΈ Π±Π΅ΡΠΏΠ»Π°ΡΠ½ΠΎ!
101jurist.com
Π’ΠΎΠΏΠΎΡΡΠ΅ΠΌΠΊΠ° Π·Π΅ΠΌΠ΅Π»ΡΠ½ΠΎΠ³ΠΎ ΡΡΠ°ΡΡΠΊΠ° — Π·Π°ΡΠ΅ΠΌ Π½ΡΠΆΠ½Π°, ΠΊΠ°ΠΊ ΡΠ΄Π΅Π»Π°ΡΡ
Π’ΠΎΠΏΠΎΡΡΠ΅ΠΌΠΊΠ° Π·Π΅ΠΌΠ΅Π»ΡΠ½ΠΎΠ³ΠΎ ΡΡΠ°ΡΡΠΊΠ° ΡΠ°ΠΊΡΠΈΡΠ΅ΡΠΊΠΈ ΠΏΡΠ΅Π΄ΡΡΠ°Π²Π»ΡΠ΅Ρ ΡΠΎΠ±ΠΎΠΉ ΡΠ΅Π»ΡΠΉ ΠΊΠΎΠΌΠΏΠ»Π΅ΠΊΡ ΠΈΠ½ΠΆΠ΅Π½Π΅ΡΠ½ΠΎ-Π³Π΅ΠΎΠ΄Π΅Π·ΠΈΡΠ΅ΡΠΊΠΈΡ
ΡΠ°Π±ΠΎΡ, ΡΠ΅Π»ΡΡ ΠΊΠΎΡΠΎΡΡΡ
ΡΠ²Π»ΡΠ΅ΡΡΡ ΡΠΎΠ·Π΄Π°Π½ΠΈΠ΅ ΡΠΎΠΏΠΎΠ³ΡΠ°ΡΠΈΡΠ΅ΡΠΊΠΎΠΉ ΠΊΠ°ΡΡΡ ΠΈΠ»ΠΈ ΠΆΠ΅, ΠΈΠ½Π°ΡΠ΅ Π³ΠΎΠ²ΠΎΡΡ, ΠΏΠ»Π°Π½Π° ΠΊΠΎΠ½ΠΊΡΠ΅ΡΠ½ΠΎΠΉ ΠΌΠ΅ΡΡΠ½ΠΎΡΡΠΈ, Π² Π±ΡΠΌΠ°ΠΆΠ½ΠΎΠΌ ΠΈΠ»ΠΈ ΡΠΈΡΡΠΎΠ²ΠΎΠΌ Π²ΠΈΠ΄Π΅.Π’Π°ΠΊ ΠΊΠ°ΠΊ Π΄Π°Π½Π½Π°Ρ ΠΏΡΠΎΡΠ΅Π΄ΡΡΠ° Π²ΠΎΡΡΡΠ΅Π±ΠΎΠ²Π°Π½Π° ΠΏΠΎ ΡΠ΅ΠΉ Π΄Π΅Π½Ρ, ΠΎΡΡΠ°ΡΡΡΡ Π°ΠΊΡΡΠ°Π»ΡΠ½ΡΠΌΠΈ Π²ΠΎΠΏΡΠΎΡΡ ΠΎ ΡΠΎΠΌ, ΠΊΠΎΠ³Π΄Π° ΠΊ Π½Π΅ΠΉ Π½Π΅ΠΎΠ±Ρ ΠΎΠ΄ΠΈΠΌΠΎ ΠΏΡΠΈΠ±Π΅Π³Π°ΡΡ, ΠΈ ΠΊΡΠΎ Π½Π΅ΠΏΠΎΡΡΠ΅Π΄ΡΡΠ²Π΅Π½Π½ΠΎΒ ΠΏΡΠ΅Π΄ΠΎΡΡΠ°Π²Π»ΡΠ΅Ρ ΡΡΠ»ΡΠ³ΠΈ ΡΠΎΠΏΠΎΠ³ΡΠ°ΡΠΈΡΠ΅ΡΠΊΠΎΠΉ ΡΡΠ΅ΠΌΠΊΠΈ. Π Π°ΡΡΠΌΠΎΡΡΠΈΠΌ ΡΡΠΈ Π²ΠΎΠΏΡΠΎΡΡ ΠΏΠΎΠ΄ΡΠΎΠ±Π½Π΅Π΅.
Π§ΡΠΎ ΡΠ°ΠΊΠΎΠ΅ ΡΠΎΠΏΠΎΡΡΠ΅ΠΌΠΊΠ° ΠΈ Π·Π°ΡΠ΅ΠΌ ΠΎΠ½Π° Π½ΡΠΆΠ½Π°
Π’ΠΎΠΏΠΎΡΡΠ΅ΠΌΠΊΠ° Π·Π΅ΠΌΠ΅Π»ΡΠ½ΠΎΠ³ΠΎ ΡΡΠ°ΡΡΠΊΠ° ΡΠ²Π»ΡΠ΅ΡΡΡ Π²Π°ΠΆΠ½Π΅ΠΉΡΠΈΠΌ ΠΊΠΎΠΌΠΏΠΎΠ½Π΅Π½ΡΠΎΠΌ Π»ΡΠ±ΡΡ Π³Π΅ΠΎΠ΄Π΅Π·ΠΈΡΠ΅ΡΠΊΠΈΡ ΠΈΠ·ΡΡΠΊΠ°Π½ΠΈΠΉ ΠΈ ΠΎΠ±ΡΠ·Π°ΡΠ΅Π»ΡΠ½ΠΎ Π²Ρ ΠΎΠ΄ΠΈΡ Π² ΠΏΠ΅ΡΠ΅ΡΠ΅Π½Ρ ΡΡΠ»ΡΠ³ Π²ΡΠ΅Ρ ΠΏΡΠΎΠ΅ΠΊΡΠ½ΠΎ-Π³Π΅ΠΎΠ΄Π΅Π·ΠΈΡΠ΅ΡΠΊΠΈΡ ΠΎΡΠ³Π°Π½ΠΈΠ·Π°ΡΠΈΠΉ. Π Π΅Π·ΡΠ»ΡΡΠ°ΡΠΎΠΌ ΠΏΡΠΎΡΠ΅Π΄ΡΡΡ ΡΠ²Π»ΡΠ΅ΡΡΡ ΠΏΠ»Π°Π½, ΠΏΡΠ΅Π΄ΡΡΠ°Π²Π»ΡΡΡΠΈΠΉ ΡΠΎΠ±ΠΎΠΉ Π³ΡΠ°ΡΠΈΡΠ΅ΡΠΊΠΎΠ΅ ΠΈΠ·ΠΎΠ±ΡΠ°ΠΆΠ΅Π½ΠΈΠ΅ ΠΈΡΡΠ»Π΅Π΄ΡΠ΅ΠΌΠΎΠΉ ΡΠ΅ΡΡΠΈΡΠΎΡΠΈΠΈ Π² ΡΠΌΠ΅Π½ΡΡΠ΅Π½Π½ΠΎΠΌ ΠΌΠ°ΡΡΡΠ°Π±Π΅.
Π ΠΌΠ΅ΡΠΎΠΏΡΠΈΡΡΠΈΡ ΠΏΡΠΈΠ±Π΅Π³Π°ΡΡ Π² ΡΠ»ΡΡΠ°Π΅ ΠΎΡΠ²ΠΎΠ΅Π½ΠΈΡ Π½ΠΎΠ²ΠΎΠ³ΠΎ ΡΡΠ°ΡΡΠΊΠ°, ΠΊΠΎΠ³Π΄Π° ΠΏΠ΅ΡΠ΅Π΄ Π·Π°ΡΡΡΠΎΠΉΡΠΈΠΊΠΎΠΌ ΡΡΠΎΠΈΡ Π·Π°Π΄Π°ΡΠ° Π²ΠΎΠ·Π²Π΅Π΄Π΅Π½ΠΈΡ ΠΆΠΈΠ»ΠΎΠ³ΠΎ ΠΊΠΎΠΌΠΏΠ»Π΅ΠΊΡΠ°, Π°Π²ΡΠΎΠΌΠΎΠ±ΠΈΠ»ΡΠ½ΠΎΠΉ Π΄ΠΎΡΠΎΠ³ΠΈ, ΠΈΠ»ΠΈ ΠΆΠ΅ ΠΏΠΎΠΏΡΠΎΡΡΡ ΠΏΡΠΎΠΊΠ»Π°Π΄ΠΊΠ° ΠΊΠ°ΠΊΠΈΡ -Π»ΠΈΠ±ΠΎ ΠΈΠ½ΠΆΠ΅Π½Π΅ΡΠ½ΡΡ ΡΠ·Π»ΠΎΠ². Π’Π°ΠΊΠΎΠ²Π°Ρ Π½Π΅ΠΎΠ±Ρ ΠΎΠ΄ΠΈΠΌΠΎΡΡΡ ΠΎΠ±ΡΡΠ»ΠΎΠ²Π»Π΅Π½Π° Π½Π΅ ΡΠΎΠ»ΡΠΊΠΎ Π½ΠΎΡΠΌΠ°ΡΠΈΠ²Π½ΠΎ-ΠΏΡΠ°Π²ΠΎΠ²ΡΠΌΠΈ Π°ΠΊΡΠ°ΠΌΠΈ, Π½ΠΎ ΠΈ ΡΠ΅Ρ Π½ΠΈΡΠ΅ΡΠΊΠΈΠΌ ΡΠ΅Π³Π»Π°ΠΌΠ΅Π½ΡΠΎΠΌ.
Π ΡΠ΅Π»ΠΎΠΌ, ΠΊ ΡΠΎΠΏΠΎΡΡΠ΅ΠΌΠΊΠ΅ ΠΏΡΠΈΠ±Π΅Π³Π°ΡΡ, Π΅ΡΠ»ΠΈ Π½Π΅ΠΎΠ±Ρ ΠΎΠ΄ΠΈΠΌΠΎ:
- ΠΏΠΎΠ»ΡΡΠΈΡΡ Π»ΠΈΡΠ΅Π½Π·ΠΈΡ Π½Π° ΡΡΡΠΎΠΈΡΠ΅Π»ΡΡΡΠ²ΠΎ;
- ΠΏΡΠΎΠ²Π΅ΡΡΠΈ ΡΠ΅ΠΊΠΎΠ½ΡΡΡΡΠΊΡΠΈΡ ΡΠΆΠ΅ ΠΈΠΌΠ΅ΡΡΠΈΡ ΡΡ ΠΈΠ½ΠΆΠ΅Π½Π΅ΡΠ½ΡΡ ΡΠ·Π»ΠΎΠ² ΠΈ ΠΊΠ°ΠΏΠΈΡΠ°Π»ΡΠ½ΡΡ ΠΎΠ±ΡΠ΅ΠΊΡΠΎΠ² Π½Π° ΡΡΠ°ΡΡΠΊΠ΅;
- ΠΏΠΎΠ΄Π³ΠΎΡΠΎΠ²ΠΈΡΡ Π»Π°Π½Π΄ΡΠ°ΡΡΠ½ΡΠΉ ΠΏΡΠΎΠ΅ΠΊΡ;
- ΠΎΡΠΎΡΠΌΠΈΡΡ Π΄ΠΎΠΊΡΠΌΠ΅Π½ΡΡ Π½Π° ΡΡΠ°ΡΡΠΎΠΊ, Π² ΡΠΎΠΌ ΡΠΈΡΠ»Π΅ ΠΏΡΠΈΡΠ²ΠΎΠΈΡΡ Π΅ΠΌΡ Π°Π΄ΡΠ΅Ρ;
- ΠΏΡΠΎΠ»ΠΎΠΆΠΈΡΡ ΡΠ°Π·Π»ΠΈΡΠ½ΡΠ΅ ΠΈΠ½ΠΆΠ΅Π½Π΅ΡΠ½ΡΠ΅ ΡΠΈΡΡΠ΅ΠΌΡ;
- ΡΠΏΡΠΎΠ΅ΠΊΡΠΈΡΠΎΠ²Π°ΡΡ ΠΊΠ°ΠΏΠΈΡΠ°Π»ΡΠ½ΡΠ΅ ΠΏΠΎΡΡΡΠΎΠΉΠΊΠΈ.
ΠΠ° ΡΡΠΊΠ°Ρ Ρ Π·Π°ΠΊΠ°Π·ΡΠΈΠΊΠ° Π΄ΠΎΠ»ΠΆΠ½Π° Π±ΡΡΡ ΡΠ²Π΅ΠΆΠ°Ρ ΠΏΠΎΠ΄ΡΠΎΠ±Π½Π°Ρ ΡΡ Π΅ΠΌΠ° ΠΈ ΠΎΠΏΠΈΡΠ°Π½ΠΈΠ΅ ΠΌΠ΅ΡΡΠ½ΠΎΡΡΠΈ ΠΈ Π±ΡΠ΄ΡΡΠ΅ΠΉ ΡΡΡΠΎΠΉΠΏΠ»ΠΎΡΠ°Π΄ΠΊΠΈ, Ρ ΡΠΊΠ°Π·Π°Π½ΠΈΠ΅ΠΌ Π½Π° Π½Π΅ΠΉ Π½Π΅ ΡΠΎΠ»ΡΠΊΠΎ Π³ΡΠ°Π½ΠΈΡ ΡΡΠ°ΡΡΠΊΠ° ΠΈ ΠΎΡΠΎΠ±Π΅Π½Π½ΠΎΡΡΠ΅ΠΉ ΡΠ΅Π»ΡΠ΅ΡΠ°, Π½ΠΎ ΠΈ Π²ΡΠ΅Ρ ΠΎΠ±ΡΠ΅ΠΊΡΠΎΠ², ΠΊΠ°ΠΊ Π½Π°Π΄Π·Π΅ΠΌΠ½ΡΡ , ΡΠ°ΠΊ ΠΈ ΠΏΠΎΠ΄Π·Π΅ΠΌΠ½ΡΡ , ΡΠ°ΡΠΏΠΎΠ»ΠΎΠΆΠ΅Π½Π½ΡΡ Π² Π΅Π³ΠΎ ΠΏΡΠ΅Π΄Π΅Π»Π°Ρ .
Π ΡΠ°ΡΡΠ½ΠΎΡΡΠΈ, Π΄ΠΎΠ»ΠΆΠ½Ρ Π±ΡΡΡ ΠΎΡΠΌΠ΅ΡΠ΅Π½Ρ ΡΡΠ»ΠΎΠ²Π½ΡΠΌΠΈ Π·Π½Π°ΠΊΠ°ΠΌΠΈ Π²ΡΠ΅ ΠΏΠΎΡΡΡΠΎΠΉΠΊΠΈ, Π·Π΅Π»Π΅Π½ΡΠ΅ Π½Π°ΡΠ°ΠΆΠ΄Π΅Π½ΠΈΡ, Π΄ΠΎΡΠΎΠ³ΠΈ, ΡΡΡΠ±ΠΎΠΏΡΠΎΠ²ΠΎΠ΄Ρ, ΠΈ ΠΏΡΠΎΡΠΈΠ΅ Π°Π½Π°Π»ΠΎΠ³ΠΈΡΠ½ΡΠ΅ ΡΠΎΠΎΡΡΠΆΠ΅Π½ΠΈΡ.
Π Π°ΡΡΠΈΡΡΠΎΠ²ΠΊΠ° ΠΎΠ±ΠΎΠ·Π½Π°ΡΠ΅Π½ΠΈΠΉ ΠΎΠ±ΡΠ΅ΠΊΡΠΎΠ² Π½Π° ΡΠΎΠΏΠΎΠΏΠ»Π°Π½Π΅ ΠΏΡΠΈΠ²ΠΎΠ΄ΠΈΡΡΡ Π² ΠΏΡΠΈΠ»Π°Π³Π°Π΅ΠΌΠΎΠΉ ΡΠΏΠ΅ΡΠΈΡΠΈΠΊΠ°ΡΠΈΠΈ. ΠΡΠΈ ΡΡΠΎΠΌ ΡΡΠΎΠΊ Π³ΠΎΠ΄Π½ΠΎΡΡΠΈ ΡΠ°ΠΊΠΎΠ³ΠΎ Π΄ΠΎΠΊΡΠΌΠ΅Π½ΡΠ° Π½Π° ΡΠ΅Π΄Π΅ΡΠ°Π»ΡΠ½ΠΎΠΌ ΡΡΠΎΠ²Π½Π΅ Π½Π΅ ΡΡΡΠ°Π½ΠΎΠ²Π»Π΅Π½.
ΠΠ΅ΠΊΠΎΡΠΎΡΡΠ΅ Π½ΠΎΡΠΌΠ°ΡΠΈΠ²Π½ΠΎ-ΠΏΡΠ°Π²ΠΎΠ²ΡΠ΅ Π°ΠΊΡΡ ΠΎΡΠ΄Π΅Π»ΡΠ½ΡΡ ΡΡΠ±ΡΠ΅ΠΊΡΠΎΠ² ΡΠΎΠ΄Π΅ΡΠΆΠ°Ρ ΠΏΠΎΠ»ΠΎΠΆΠ΅Π½ΠΈΡ, ΡΠΎΠ³Π»Π°ΡΠ½ΠΎ ΠΊΠΎΡΠΎΡΡΠΌ ΠΏΠ»Π°Π½ ΠΌΠΎΠΆΠ½ΠΎ ΠΈΡΠΏΠΎΠ»ΡΠ·ΠΎΠ²Π°ΡΡ Π² ΡΠ΅ΡΠ΅Π½ΠΈΠ΅ 2-Ρ Π»Π΅Ρ, Ρ ΡΠ΅ΠΌ ΡΡΠ»ΠΎΠ²ΠΈΠ΅ΠΌ, ΡΡΠΎ Π² ΡΡΠΎΡ ΠΏΠ΅ΡΠΈΠΎΠ΄ Π½Π° ΡΠ΅ΡΡΠΈΡΠΎΡΠΈΠΈ Π½ΠΈΠΊΠ°ΠΊΠΈΡ Π·Π½Π°ΡΠΈΡΠ΅Π»ΡΠ½ΡΡ ΠΈΠ·ΠΌΠ΅Π½Π΅Π½ΠΈΠΉ Π½Π΅ ΠΏΡΠΎΠ²ΠΎΠ΄ΠΈΠ»ΠΎΡΡ.
ΠΠ΅Π·Π½Π°Π½ΠΈΠ΅ ΡΠΎΠ³ΠΎ, Π³Π΄Π΅ ΠΈ ΠΊΠ°ΠΊΠΈΠ΅ ΠΎΠ±ΡΠ΅ΠΊΡΡ ΡΠ°ΡΠΏΠΎΠ»ΠΎΠΆΠ΅Π½Ρ, ΠΌΠΎΠΆΠ΅Ρ ΠΏΡΠΈΠ²Π΅ΡΡΠΈ ΠΊ ΠΏΠΎΠ²ΡΠ΅ΠΆΠ΄Π΅Π½ΠΈΡ Π΄Π΅ΠΉΡΡΠ²ΡΡΡΠΈΡ ΡΠΈΡΡΠ΅ΠΌ ΠΈ ΠΊ Π°Π²Π°ΡΠΈΠΉΠ½ΠΎΠΉ ΡΠΈΡΡΠ°ΡΠΈΠΈ.
ΠΠ°ΠΊ ΠΎΡΡΡΠ΅ΡΡΠ²Π»ΡΠ΅ΡΡΡ
Π’ΠΎΠΏΠΎΡΡΠ΅ΠΌΠΊΠ° ΠΌΠΎΠΆΠ΅Ρ ΠΎΡΡΡΠ΅ΡΡΠ²Π»ΡΡΡΡΡ ΠΊΠ°ΠΊ ΡΠΎ ΡΠΏΡΡΠ½ΠΈΠΊΠΎΠ², ΡΠ°ΠΊ ΠΈ Π½Π°Π·Π΅ΠΌΠ½ΡΠΌ ΠΎΠ±ΡΠ°Π·ΠΎΠΌ.
ΠΠ»Ρ Π±ΡΡΠΎΠ²ΡΡ ΡΠ΅Π»Π΅ΠΉ ΡΠΏΡΡΠ½ΠΈΠΊΠΎΠ²ΡΡ ΡΡΠ΅ΠΌΠΊΡ, ΠΏΡΠ΅Π΄Π½Π°Π·Π½Π°ΡΠ΅Π½Π½ΡΡ ΠΈΡΠΊΠ»ΡΡΠΈΡΠ΅Π»ΡΠ½ΠΎ Π΄Π»Ρ ΡΠΈΠΊΡΠ°ΡΠΈΠΈ ΠΌΠ°ΡΡΡΠ°Π±Π½ΡΡ ΡΠ΅ΡΡΠΈΡΠΎΡΠΈΠΉ, Π½Π΅ ΠΈΡΠΏΠΎΠ»ΡΠ·ΡΡΡ. Β Π ΡΡΠΎΠΌ ΡΠ»ΡΡΠ°Π΅, ΡΡΠΎΠ±Ρ Π·Π°ΠΊΠ°Π·Π°ΡΡ ΠΏΠ»Π°Π½ ΡΡΠ°ΡΡΠΊΠ°, Π·Π°ΠΈΠ½ΡΠ΅ΡΠ΅ΡΠΎΠ²Π°Π½Π½ΠΎΠΌΡ Π»ΠΈΡΡ ΠΏΡΠΈΠ΄Π΅ΡΡΡ ΠΎΠ±ΡΠ°ΡΠΈΡΡΡΡ Π² Π°ΠΊΠΊΡΠ΅Π΄ΠΈΡΠΎΠ²Π°Π½Π½ΡΡ ΠΎΡΠ³Π°Π½ΠΈΠ·Π°ΡΠΈΡ.
ΠΠ΅ΠΎΠ΄Π΅Π·ΠΈΡ Π·Π΅ΠΌΠ΅Π»ΡΠ½ΠΎΠ³ΠΎ ΡΡΠ°ΡΡΠΊΠ° Π½Π° Π·Π΅ΠΌΠ»Π΅ ΠΌΠΎΠΆΠ΅Ρ ΠΏΡΠΎΠ²ΠΎΠ΄ΠΈΡΡΡΡ ΠΈΡΠΊΠ»ΡΡΠΈΡΠ΅Π»ΡΠ½ΠΎ ΠΈΠ½ΠΆΠ΅Π½Π΅ΡΠΎΠΌ-Π³Π΅ΠΎΠ΄Π΅Π·ΠΈΡΡΠΎΠΌ, Ρ ΠΈΡΠΏΠΎΠ»ΡΠ·ΠΎΠ²Π°Π½ΠΈΠ΅ΠΌ ΡΠΏΠ΅ΡΠΈΠ°Π»ΡΠ½ΠΎΠ³ΠΎ ΠΎΠ±ΠΎΡΡΠ΄ΠΎΠ²Π°Π½ΠΈΡ, Π° ΠΈΠΌΠ΅Π½Π½ΠΎ:
- Π½Π°Π²ΠΈΠ³Π°ΡΠΎΡΠ° Ρ ΡΠΈΡΡΠ΅ΠΌΠΎΠΉ GPS;
- ΡΠ°Ρ Π΅ΠΎΠΌΠ΅ΡΡΠ°, Π½Π΅ΠΎΠ±Ρ ΠΎΠ΄ΠΈΠΌΠΎΠ³ΠΎ Π΄Π»Ρ ΠΈΠ·ΠΌΠ΅ΡΠ΅Π½ΠΈΡ ΡΠ³Π»ΠΎΠ² ΠΈ ΡΠ°ΡΡΡΠΎΡΠ½ΠΈΠΉ;
- Π»Π΅ΡΠ°ΡΠ΅Π»ΡΠ½ΡΡ Π°ΠΏΠΏΠ°ΡΠ°ΡΠΎΠ², ΠΏΠΎΠ·Π²ΠΎΠ»ΡΡΡΠΈΡ ΠΏΡΠΎΠ²Π΅ΡΡΠΈ ΡΡΠ΅ΠΌΠΊΡ Ρ Π²ΠΎΠ·Π΄ΡΡ Π°.
Π’Π°ΠΊΠΈΠΌ ΠΎΠ±ΡΠ°Π·ΠΎΠΌ, ΡΠ°ΠΌΠΎΡΡΠΎΡΡΠ΅Π»ΡΠ½ΠΎ ΠΎΡΡΡΠ΅ΡΡΠ²ΠΈΡΡ ΠΏΡΠΎΡΠ΅Π΄ΡΡΡ Π½Π΅ ΠΏΠΎΠ»ΡΡΠΈΡΡΡ.
ΠΠ°ΠΏΠΎΠΌΠΈΠ½Π°Π΅ΠΌ, ΡΡΠΎ Π΄Π°ΠΆΠ΅ Π΅ΡΠ»ΠΈ ΠΡ Π΄ΠΎΡΠΊΠΎΠ½Π°Π»ΡΠ½ΠΎ ΠΈΠ·ΡΡΠΈΡΠ΅ Π²ΡΠ΅ Π΄Π°Π½Π½ΡΠ΅, Π½Π°Ρ
ΠΎΠ΄ΡΡΠΈΠ΅ΡΡ Π² ΠΎΡΠΊΡΡΡΠΎΠΌ Π΄ΠΎΡΡΡΠΏΠ΅, ΡΡΠΎ Π½Π΅ Π·Π°ΠΌΠ΅Π½ΠΈΡ ΠΠ°ΠΌ ΠΎΠΏΡΡΠ° ΠΏΡΠΎΡΠ΅ΡΡΠΈΠΎΠ½Π°Π»ΡΠ½ΡΡ
ΡΡΠΈΡΡΠΎΠ²!
Π§ΡΠΎΠ±Ρ ΠΏΠΎΠ»ΡΡΠΈΡΡ ΠΏΠΎΠ΄ΡΠΎΠ±Π½ΡΡ Π±Π΅ΡΠΏΠ»Π°ΡΠ½ΡΡ ΠΊΠΎΠ½ΡΡΠ»ΡΡΠ°ΡΠΈΡ ΠΈ ΠΌΠ°ΠΊΡΠΈΠΌΠ°Π»ΡΠ½ΠΎ Π½Π°Π΄Π΅ΠΆΠ½ΠΎ ΡΠ΅ΡΠΈΡΡ ΠΠ°Ρ Π²ΠΎΠΏΡΠΎΡ β ΠΡ ΠΌΠΎΠΆΠ΅ΡΠ΅ ΠΎΠ±ΡΠ°ΡΠΈΡΡΡΡ ΠΊ ΡΠΏΠ΅ΡΠΈΠ°Π»ΠΈΡΡΠ°ΠΌ ΡΠ΅ΡΠ΅Π· ΠΎΠ½Π»Π°ΠΉΠ½-ΡΠΎΡΠΌΡ.
Π Π°ΡΡΠΌΠΎΡΡΠΈΠΌ ΠΏΠΎΠ΄ΡΠΎΠ±Π½Π΅Π΅, ΠΊΠ°ΠΊ Π²ΡΠ³Π»ΡΠ΄ΠΈΡ ΡΠΎΠΏΠΎΡΡΠ΅ΠΌΠΊΠ° Π·Π΅ΠΌΠ΅Π»ΡΠ½ΠΎΠ³ΠΎ ΡΡΠ°ΡΡΠΊΠ°.
ΠΡΠΎΡΠ΅Π΄ΡΡΠ° ΠΏΡΠΎΡ ΠΎΠ΄ΠΈΡ Π² ΡΡΠΈ ΡΡΠ°ΠΏΠ°.
- ΠΠ° ΠΏΠΎΠ΄Π³ΠΎΡΠΎΠ²ΠΈΡΠ΅Π»ΡΠ½ΠΎΠΉ ΡΡΠ°Π΄ΠΈΠΈ ΠΌΠ΅ΠΆΠ΄Ρ ΡΡΠΎΡΠΎΠ½Π°ΠΌΠΈ Π·Π°ΠΊΠ»ΡΡΠ°Π΅ΡΡΡ Π΄ΠΎΠ³ΠΎΠ²ΠΎΡ ΠΎ ΠΏΡΠΎΠ²Π΅Π΄Π΅Π½ΠΈΠΈ ΡΠΎΠΏΠΎΠ³ΡΠ°ΡΠΈΡΠ΅ΡΠΊΠΎΠΉ ΡΡΠ΅ΠΌΠΊΠΈ, Π² Π½Π΅ΠΌ ΠΎΠ±ΡΠ·Π°ΡΠ΅Π»ΡΠ½ΠΎ ΡΠΊΠ°Π·ΡΠ²Π°ΡΡΡΡ Π²ΠΈΠ΄ ΡΡΠ΅ΠΌΠΊΠΈ ΠΈ ΡΡΠΎΠΊΠΈ ΠΌΠ΅ΡΠΎΠΏΡΠΈΡΡΠΈΡ. ΠΡΠΎΠΌΠ΅ ΡΠΎΠ³ΠΎ, ΠΏΡΠΈ Π½Π΅ΠΎΠ±Ρ ΠΎΠ΄ΠΈΠΌΠΎΡΡΠΈ ΡΡΠ²Π΅ΡΠΆΠ΄Π°Π΅ΡΡΡ ΡΠ΅Ρ Π½ΠΈΡΠ΅ΡΠΊΠΎΠ΅ Π·Π°Π΄Π°Π½ΠΈΠ΅ Π΄Π»Ρ Π³Π΅ΠΎΠ΄Π΅Π·ΠΈΡΡΠΎΠ² ΠΈ ΡΠΌΠ΅ΡΠ°, Π·Π°ΠΏΡΠ°ΡΠΈΠ²Π°Π΅ΡΡΡ ΠΈΠ½ΡΠΎΡΠΌΠ°ΡΠΈΡ ΠΈΠ· Π ΠΎΡΡΠ΅Π΅ΡΡΡΠ°, Π° ΡΠ°ΠΊΠΆΠ΅ ΠΎΡΠΎΡΠΌΠ»ΡΠ΅ΡΡΡ ΡΠ°Π·ΡΠ΅ΡΠΈΡΠ΅Π»ΡΠ½Π°Ρ Π΄ΠΎΠΊΡΠΌΠ΅Π½ΡΠ°ΡΠΈΡ Π² ΠΌΠ΅ΡΡΠ½ΠΎΠΌ ΠΎΡΠ΄Π΅Π»Π΅ Π³ΡΠ°Π΄ΠΎΡΡΡΠΎΠΈΡΠ΅Π»ΡΡΡΠ²Π°. ΠΡΠ»ΠΈ Π·Π°ΠΊΠ°Π·ΡΠΈΠΊ ΡΠ°Π±ΠΎΡ ΠΈΠΌΠ΅Π΅Ρ Π½Π° ΡΡΠΊΠ°Ρ ΠΊΠ°ΠΊΠΈΠ΅-Π»ΠΈΠ±ΠΎ ΠΊΠ°ΡΡΠΎΠ³ΡΠ°ΡΠΈΡΠ΅ΡΠΊΠΈΠ΅ ΠΌΠ°ΡΠ΅ΡΠΈΠ°Π»Ρ, ΠΈΡ ΡΠ»Π΅Π΄ΡΠ΅Ρ ΠΏΠ΅ΡΠ΅Π΄Π°ΡΡ Π³Π΅ΠΎΠ΄Π΅Π·ΠΈΡΡΡ Π΄Π»Ρ ΠΏΠΎΡΠ»Π΅Π΄ΡΡΡΠ΅Π³ΠΎ Π°Π½Π°Π»ΠΈΠ·Π°. Π ΡΠ°ΠΊΠΎΠ²ΡΠΌ ΠΎΡΠ½ΠΎΡΡΡΡΡ ΠΊΠ°Π΄Π°ΡΡΡΠΎΠ²ΡΠ΅ ΠΈ ΡΠΈΡΡΠ°ΡΠΈΠΎΠ½Π½ΡΠ΅ ΠΊΠ°ΡΡΡ, ΡΡ Π΅ΠΌΡ ΠΈΠ½ΠΆΠ΅Π½Π΅ΡΠ½ΡΡ ΡΠ·Π»ΠΎΠ² ΠΈ Ρ.ΠΏ.
- ΠΠ΅ΠΏΠΎΡΡΠ΅Π΄ΡΡΠ²Π΅Π½Π½ΠΎ ΠΊΠΎΠΌΠΏΠ»Π΅ΠΊΡ ΡΠ°Π±ΠΎΡ Π½Π° ΠΌΠ΅ΡΡΠ½ΠΎΡΡΠΈ. ΠΡΠΈ ΠΎΡΡΡΠ΅ΡΡΠ²Π»Π΅Π½ΠΈΠΈ ΡΠΎΠΏΠΎΡΡΠ΅ΠΌΠΊΠΈ ΡΠΎΠ·Π΄Π°Π΅ΡΡΡ ΡΠ°ΠΊ Π½Π°Π·ΡΠ²Π°Π΅ΠΌΠ°Ρ Π³Π΅ΠΎΠ΄Π΅Π·ΠΈΡΠ΅ΡΠΊΠ°Ρ ΡΠ΅ΡΡ, Π½Π° ΠΌΠ΅ΡΡΠ½ΠΎΡΡΠΈ ΡΡΡΠ°Π½Π°Π²Π»ΠΈΠ²Π°ΡΡΡΡ ΡΠΏΠ΅ΡΠ·Π½Π°ΠΊΠΈ Π΄Π»Ρ ΠΈΠ·ΠΌΠ΅ΡΠ΅Π½ΠΈΡ ΠΊΠΎΠΎΡΠ΄ΠΈΠ½Π°Ρ ΠΈΡΡΠ»Π΅Π΄ΡΠ΅ΠΌΠΎΠΉ ΡΠ΅ΡΡΠΈΡΠΎΡΠΈΠΈ, Π° ΡΠ°ΠΊΠΆΠ΅ ΠΏΡΠΎΠΈΡΡ ΠΎΠ΄ΠΈΡ Π²ΡΡΠ²Π»Π΅Π½ΠΈΠ΅ ΠΈ ΠΎΠ±ΡΠ»Π΅Π΄ΠΎΠ²Π°Π½ΠΈΠ΅ ΠΏΠΎΠ΄Π·Π΅ΠΌΠ½ΡΡ ΠΊΠΎΠΌΠΌΡΠ½ΠΈΠΊΠ°ΡΠΈΠΉ.
- ΠΠ° ΡΡΠ΅ΡΡΠ΅ΠΌ ΡΡΠ°ΠΏΠ΅ ΠΏΡΠΎΠΈΡΡ ΠΎΠ΄ΠΈΡ ΠΎΠ±ΡΠ°Π±ΠΎΡΠΊΠ° ΠΏΠΎΠ»ΡΡΠ΅Π½Π½ΠΎΠΉ Π² Ρ ΠΎΠ΄Π΅ ΠΏΠΎΠ»Π΅Π²ΡΡ ΠΌΠ΅ΡΠΎΠΏΡΠΈΡΡΠΈΠΉ ΠΈΠ½ΡΠΎΡΠΌΠ°ΡΠΈΠΈ, ΠΏΡΠΎΠΈΠ·Π²ΠΎΠ΄ΡΡΡΡ Π½Π΅ΠΎΠ±Ρ ΠΎΠ΄ΠΈΠΌΡΠ΅ ΡΠ°ΡΡΠ΅ΡΡ. ΠΠΏΡΠ΅Π΄Π΅Π»ΡΡΡΡΡ ΡΠΎΡΠ½ΡΠ΅ Π³ΡΠ°Π½ΠΈΡΡ ΠΏΠ»ΠΎΡΠ°Π΄ΠΈ, Π° ΡΠ°ΠΊΠΆΠ΅ ΠΎΡΠΌΠ΅ΡΠ°Π΅ΡΡΡ ΡΠ°ΡΠΏΠΎΠ»ΠΎΠΆΠ΅Π½ΠΈΠ΅ Π²ΡΠ΅Ρ Π½Π°Π·Π΅ΠΌΠ½ΡΡ ΠΈ ΠΏΠΎΠ΄Π·Π΅ΠΌΠ½ΡΡ ΠΎΠ±ΡΠ΅ΠΊΡΠΎΠ², ΡΡΡΠ΅ΡΡΠ²ΡΡΡΠΈΡ Π² ΠΏΡΠ΅Π΄Π΅Π»Π°Ρ ΡΡΠ°ΡΡΠΊΠ° Π½Π° ΠΌΠΎΠΌΠ΅Π½Ρ ΠΏΡΠΎΠ²Π΅Π΄Π΅Π½ΠΈΡ ΡΠ°Π±ΠΎΡΡ, Ρ ΠΏΡΠΈΠ²ΡΠ·ΠΊΠΎΠΉ ΠΊ ΠΊΠΎΠΎΡΠ΄ΠΈΠ½Π°ΡΠ°ΠΌ, Π² Π·Π°ΡΠ°Π½Π΅Π΅ ΠΎΠ³ΠΎΠ²ΠΎΡΠ΅Π½Π½ΠΎΠΌ ΠΌΠ°ΡΡΡΠ°Π±Π΅. Π ΡΠ΅Π·ΡΠ»ΡΡΠ°ΡΠ΅ ΡΠ°ΠΊΠΎΠ³ΠΎ Π°Π½Π°Π»ΠΈΠ·Π° ΠΎΡΠΎΡΠΌΠ»ΡΠ΅ΡΡΡ ΡΠΎΠΏΠΎΠ³ΡΠ°ΡΠΈΡΠ΅ΡΠΊΠΈΠΉ ΠΏΠ»Π°Π½, ΡΠ°ΠΊΡΠΈΡΠ΅ΡΠΊΠΈ ΠΏΡΠ΅Π΄ΡΡΠ°Π²Π»ΡΡΡΠΈΠΉ ΡΠΎΠ±ΠΎΠΉ ΠΌΠΎΠ΄Π΅Π»Ρ Π·Π΅ΠΌΠ΅Π»ΡΠ½ΠΎΠ³ΠΎ Π½Π°Π΄Π΅Π»Π°, Π² ΡΠΎΠΌ ΠΊΠΎΠ»ΠΈΡΠ΅ΡΡΠ²Π΅ ΡΠΊΠ·Π΅ΠΌΠΏΠ»ΡΡΠΎΠ², ΠΊΠΎΡΠΎΡΡΠΉ Π½Π΅ΠΎΠ±Ρ ΠΎΠ΄ΠΈΠΌ Π·Π°ΠΊΠ°Π·ΡΠΈΠΊΡ. ΠΠ½ΡΠΎΡΠΌΠ°ΡΠΈΡ ΠΌΠΎΠΆΠ΅Ρ Π±ΡΡΡ ΠΏΡΠ΅Π΄ΠΎΡΡΠ°Π²Π»Π΅Π½Π° Π½Π΅ ΡΠΎΠ»ΡΠΊΠΎ Π² Π³ΡΠ°ΡΠΈΡΠ΅ΡΠΊΠΎΠΌ Π²ΠΈΠ΄Π΅, Π½ΠΎ ΠΈ Π² ΡΠΈΡΡΠΎΠ²ΠΎΠΌ. ΠΠΎΡΠ»Π΅ ΠΏΡΠΎΠ²Π΅Π΄Π΅Π½ΠΈΡ ΠΏΡΠΎΡΠ΅Π΄ΡΡΡ ΠΎΠ±ΡΠ·Π°ΡΠ΅Π»ΡΠ½ΠΎ ΡΠΎΡΡΠ°Π²Π»ΡΠ΅ΡΡΡ ΡΠ΅Ρ Π½ΠΈΡΠ΅ΡΠΊΠΈΠΉ ΠΎΡΡΠ΅Ρ.
Π‘ΠΊΠΎΠ»ΡΠΊΠΎ ΡΡΠΎΠΈΡ ΡΡΠ΅ΠΌΠΊΠ°
ΠΡΠΎΠ΅ΠΊΡΠΈΡΠΎΠ²Π°Π½ΠΈΠ΅ ΠΊΠ°ΠΏΠΈΡΠ°Π»ΡΠ½ΡΡ ΠΏΠΎΡΡΡΠΎΠ΅ΠΊ, ΠΎΡΠΎΡΠΌΠ»Π΅Π½ΠΈΠ΅ Π»Π°Π½Π΄ΡΠ°ΡΡΠ½ΠΎΠΉ Π΄ΠΎΠΊΡΠΌΠ΅Π½ΡΠ°ΡΠΈΠΈ,Β ΠΏΡΠΎΠΊΠ»Π°Π΄ΠΊΠ° ΠΈΠ½ΠΆΠ΅Π½Π΅ΡΠ½ΡΡ ΡΠΈΡΡΠ΅ΠΌ, Π²ΡΠ΅ ΡΡΠΎ ΡΡΠ΅Π±ΡΠ΅Ρ ΠΌΠ°ΡΠ΅ΡΠΈΠ°Π»ΡΠ½ΡΡ Π²Π»ΠΎΠΆΠ΅Π½ΠΈΠΉ.
Π‘ΡΠΎΠΈΠΌΠΎΡΡΡ Π³Π΅ΠΎΠ΄Π΅Π·ΠΈΡΠ΅ΡΠΊΠΈΡ ΡΠ°Π±ΠΎΡ Π·Π°Π²ΠΈΡΠΈΡ ΠΎΡ ΠΌΠ½ΠΎΠΆΠ΅ΡΡΠ²Π° ΡΠ°ΠΊΡΠΎΡΠΎΠ² ΠΈ ΡΠΎΡΠΌΠΈΡΡΠ΅ΡΡΡ ΠΈΠ½Π΄ΠΈΠ²ΠΈΠ΄ΡΠ°Π»ΡΠ½ΠΎ Ρ ΠΊΠ°ΠΆΠ΄ΡΠΌ ΠΊΠ»ΠΈΠ΅Π½ΡΠΎΠΌ ΠΎΡΠ³Π°Π½ΠΈΠ·Π°ΡΠΈΠΈ ΠΏΡΠ΅Π΄ΠΎΡΡΠ°Π²Π»ΡΡΡΠ΅ΠΉ ΡΡΠ»ΡΠ³ΠΈ.
Π’Π°ΠΊ, ΡΡΠΎΠΈΠΌΠΎΡΡΡ ΡΠΎΠΏΠΎΡΡΠ΅ΠΌΠΊΠΈ Π·Π΅ΠΌΠ΅Π»ΡΠ½ΡΡ ΡΡΠ°ΡΡΠΊΠΎΠ², ΠΏΡΠ΅ΠΆΠ΄Π΅ Π²ΡΠ΅Π³ΠΎ, ΡΠΊΠ»Π°Π΄ΡΠ²Π°Π΅ΡΡΡ ΠΈΠ· ΡΠ»ΠΎΠΆΠ½ΠΎΡΡΠΈ ΠΈΡΡΠ»Π΅Π΄ΠΎΠ²Π°ΡΠ΅Π»ΡΡΠΊΠΈΡ ΡΠ°Π±ΠΎΡ, Π½Π°ΠΌΠ½ΠΎΠ³ΠΎ Π»Π΅Π³ΡΠ΅ ΠΏΡΠΎΠ²Π΅ΡΡΠΈ ΠΊΠΎΠΌΠΏΠ»Π΅ΠΊΡ ΠΌΠ΅ΡΠΎΠΏΡΠΈΡΡΠΈΠΉ Π½Π° Π½Π΅Π·Π°ΡΡΡΠΎΠ΅Π½Π½ΠΎΠΉ ΡΠ΅ΡΡΠΈΡΠΎΡΠΈΠΈ Ρ Π΄ΠΎΡΡΠ°ΡΠΎΡΠ½ΠΎ ΡΠΎΠ²Π½ΡΠΌ ΡΠ΅Π»ΡΠ΅ΡΠΎΠΌ, Π±Π΅Π· Π³ΡΡΡΡΡ Π·Π΅Π»Π΅Π½ΡΡ Π½Π°ΡΠ°ΠΆΠ΄Π΅Π½ΠΈΠΉ. Π‘ΠΎΠ²ΡΠ΅ΠΌ Π΄ΡΡΠ³ΠΎΠ΅ Π΄Π΅Π»ΠΎ β ΠΈΡΡΠ»Π΅Π΄ΠΎΠ²Π°ΡΡ ΠΈ ΠΈΠ·ΠΌΠ΅ΡΠΈΡΡ Π·Π°ΡΡΡΠΎΠ΅Π½Π½ΡΡ ΠΆΠΈΠ»ΡΠΌΠΈ Π΄ΠΎΠΌΠ°ΠΌΠΈ ΠΈΠ»ΠΈ ΠΏΡΠΎΠΌΡΡΠ»Π΅Π½Π½ΡΡ Π·ΠΎΠ½Ρ, Π³Π΄Π΅ ΠΏΡΠΎΡ ΠΎΠ΄ΠΈΡ ΠΌΠ½ΠΎΠΆΠ΅ΡΡΠ²ΠΎ ΠΈΠ½ΠΆΠ΅Π½Π΅ΡΠ½ΡΡ ΡΠ΅ΡΠ΅ΠΉ.
ΠΡΠΎΠΌΠ΅ ΡΠΎΠ³ΠΎ, ΡΠ΅Π½Π° ΠΎΠΏΡΠ΅Π΄Π΅Π»ΡΠ΅ΡΡΡ ΠΏΠ»ΠΎΡΠ°Π΄ΡΡ ΡΡΠ°ΡΡΠΊΠ°, Π΅Π³ΠΎ ΡΠ΄Π°Π»Π΅Π½Π½ΠΎΡΡΡΡ ΠΎΡ Π½Π°ΡΠ΅Π»Π΅Π½Π½ΠΎΠ³ΠΎ ΠΏΡΠ½ΠΊΡΠ°, ΠΊΠΎΠ»ΠΈΡΠ΅ΡΡΠ²ΠΎΠΌ ΠΊΠ°ΠΏΠΈΡΠ°Π»ΡΠ½ΡΡ ΡΡΡΠΎΠ΅Π½ΠΈΠΉ Π² Π΅Π³ΠΎ ΠΏΡΠ΅Π΄Π΅Π»Π°Ρ , ΠΏΡΠΎΡΡΠΆΠ΅Π½Π½ΠΎΡΡΡΡ ΠΊΠΎΠΌΠΌΡΠ½ΠΈΠΊΠ°ΡΠΈΠΉ, ΠΏΡΠΎΠ»Π΅Π³Π°ΡΡΠΈΡ ΠΏΠΎΠ΄ Π·Π΅ΠΌΠ»Π΅ΠΉ, ΡΠ΅Π»ΡΠ΅ΡΠ° ΠΌΠ΅ΡΡΠ½ΠΎΡΡΠΈ, ΠΊΠΎΠ»ΠΈΡΠ΅ΡΡΠ²Π° Π·Π΅Π»Π΅Π½ΡΡ Π½Π°ΡΠ°ΠΆΠ΄Π΅Π½ΠΈΠΉ. ΠΡΠ»ΠΈ Π½Π° ΡΠ΅ΡΡΠΈΡΠΎΡΠΈΠΈ Π½Π°Ρ ΠΎΠ΄ΠΈΡΡΡ Π»Π΅Ρ, ΠΌΠ΅ΡΠ°ΡΡΠΈΠΉ ΠΏΡΡΠΌΠΎΠΉ Π²ΠΈΠ΄ΠΈΠΌΠΎΡΡΠΈ, ΡΠΎ ΡΠΎΡΡΠ°Π²Π»Π΅Π½ΠΈΠ΅ Π΄ΠΎΠΊΡΠΌΠ΅Π½ΡΠ° Π±ΡΠ΄Π΅Ρ Π΄ΠΎΡΠΎΠΆΠ΅. Π’Π°ΠΊΠΈΠΌ ΠΎΠ±ΡΠ°Π·ΠΎΠΌ, ΠΈΡΠΎΠ³ΠΎΠ²Π°Ρ ΡΡΠΎΠΈΠΌΠΎΡΡΡ ΠΌΠ΅ΡΠΎΠΏΡΠΈΡΡΠΈΠΉ ΠΎΠ±ΡΡΠ²Π»ΡΠ΅ΡΡΡ ΠΏΠΎΡΠ»Π΅ ΠΏΠΎΠ»ΡΡΠ΅Π½ΠΈΡ ΠΈ ΠΈΠ·ΡΡΠ΅Π½ΠΈΠΈ Π²ΡΠ΅ΠΉ ΠΈΠ½ΡΠΎΡΠΌΠ°ΡΠΈΠΈ ΠΏΠΎ ΠΊΠΎΠ½ΠΊΡΠ΅ΡΠ½ΠΎΠΌΡ Π·Π΅ΠΌΠ΅Π»ΡΠ½ΠΎΠΌΡ ΡΡΠ°ΡΡΠΊΡ.
pravbaza.ru
Π’ΠΎΠΏΠΎΡΡΡΠΌΠΊΠ° Π·Π΅ΠΌΠ΅Π»ΡΠ½ΠΎΠ³ΠΎ ΡΡΠ°ΡΡΠΊΠ° β ΡΡΠΎ ΡΡΠΎ ΡΠ°ΠΊΠΎΠ΅, ΠΊΠ°ΠΊ Π²ΡΠ³Π»ΡΠ΄ΠΈΡ
ΠΠ°ΠΊ ΠΏΡΠΎΠΈΠ·Π²ΠΎΠ΄ΠΈΡΡΡ ΡΠΎΠΏΠΎΡΡΡΠΌΠΊΠ° ΠΈ Π΅Π΅ Π΄Π°Π»ΡΠ½Π΅ΠΉΡΠ΅Π΅ ΠΈΡΠΏΠΎΠ»ΡΠ·ΠΎΠ²Π°Π½ΠΈΠ΅
ΠΠΎΠΌΠΏΠ»Π΅ΠΊΡΠ½ΡΠ΅ ΡΠ°Π±ΠΎΡΡ, ΠΊΠΎΡΠΎΡΡΠ΅ ΠΏΠΎΠ·Π²ΠΎΠ»ΡΡΡ ΡΠΎΠ·Π΄Π°Π²Π°ΡΡ ΡΠΎΠΏΠΎΠ³ΡΠ°ΡΠΈΡΠ΅ΡΠΊΠΈΠ΅ ΠΊΠ°ΡΡΡ Ρ ΠΏΠΎΠ΄ΡΠΎΠ±Π½ΡΠΌ ΠΈΠ·ΠΎΠ±ΡΠ°ΠΆΠ΅Π½ΠΈΠ΅ΠΌ ΡΠ΅Π»ΡΠ΅ΡΠ° ΠΌΠ΅ΡΡΠ½ΠΎΡΡΠΈ ΠΈ ΠΎΠ±ΡΠ΅ΠΊΡΠΎΠ², ΡΠ°ΡΠΏΠΎΠ»ΠΎΠΆΠ΅Π½Π½ΡΡ Π½Π° Π΄Π°Π½Π½ΡΡ ΡΡΠ°ΡΡΠΊΠ°Ρ Π½Π°Π·ΡΠ²Π°ΡΡΡΡ ΡΠΎΠΏΠΎΠ³ΡΠ°ΡΠΈΡΠ΅ΡΠΊΠΎΠΉ ΡΡΠ΅ΠΌΠΊΠΎΠΉ.
ΠΠΎΠΌΠΏΡΡΡΠ΅ΡΠ½Π°Ρ ΠΎΠ±ΡΠ°Π±ΠΎΡΠΊΠ° ΠΏΠΎΠ»ΡΡΠ΅Π½Π½ΡΡ Π΄Π°Π½Π½ΡΡ ΠΏΠΎΠ·Π²ΠΎΠ»ΡΠ΅Ρ ΡΠΎΡΡΠ°Π²Π»ΡΡΡ ΡΠΎΠΏΠΎΠ³ΡΠ°ΡΠΈΡΠ΅ΡΠΊΠΈΠ΅ ΠΏΠ»Π°Π½Ρ ΡΡΠ°ΡΡΠΊΠΎΠ² Π·Π΅ΠΌΠ½ΠΎΠΉ ΠΏΠΎΠ²Π΅ΡΡ Π½ΠΎΡΡΠΈ, ΠΊΠΎΡΠΎΡΡΠ΅ Π±ΡΠ΄ΡΡ ΠΏΡΠΈΠΌΠ΅Π½ΡΡΡΡΡ Π΄Π»Ρ ΠΏΡΠΎΠ΅ΠΊΡΠ½ΡΡ ΡΠ°Π±ΠΎΡ ΠΈ Π²ΠΎΠ·Π²Π΅Π΄Π΅Π½ΠΈΡ ΡΠΎΠΎΡΡΠΆΠ΅Π½ΠΈΠΉ.
ΠΠΎΠ΄ΡΠΎΠ±Π½Π°Ρ ΡΡΠ΅ΠΌΠΊΠ° Π²ΠΊΠ»ΡΡΠ°Π΅Ρ Π²Π΅ΡΡ ΠΊΠΎΠΌΠΏΠ»Π΅ΠΊΡ ΡΠ»Π΅ΠΌΠ΅Π½ΡΠΎΠ², ΡΠ°ΡΠΏΠΎΠ»ΠΎΠΆΠ΅Π½Π½ΡΡ Π½Π° ΠΌΠ΅ΡΡΠ½ΠΎΡΡΠΈ.
ΠΠΎΠΌΠΈΠΌΠΎ ΠΎΡΠΎΠ±ΡΠ°ΠΆΠ΅Π½ΠΈΡ Π΅Π΅ ΡΠ΅Π»ΡΠ΅ΡΠ°, ΠΊΠΎΡΠΎΡΡΠΉ Π±ΡΠ΄Π΅Ρ ΡΠΊΠ°Π·Π°Π½ Π½Π° ΡΠΎΠΏΠΎΠ³ΡΠ°ΡΠΈΡΠ΅ΡΠΊΠΎΠΌ ΠΏΠ»Π°Π½Π΅ Π² Π²ΠΈΠ΄Π΅ Π³ΠΎΡΠΈΠ·ΠΎΠ½ΡΠ°Π»Π΅ΠΉ ΠΈ ΠΎΡΠ΄Π΅Π»ΡΠ½ΡΡ ΠΎΡΠΌΠ΅ΡΠΎΠΊ, ΠΎΡΠΎΠ±ΡΠ°ΠΆΠ°ΡΡΡΡ Π²ΡΠ΅ Π²ΠΈΠ΄Ρ ΠΏΠΎΡΡΡΠΎΠ΅ΠΊ ΠΈ ΠΊΠΎΠΌΠΌΡΠ½ΠΈΠΊΠ°ΡΠΈΠΈ.
ΠΡΠ°ΠΏΡ ΡΠΎΠΏΠΎΡΡΡΠΌΠΊΠΈ:
- ΠΠΎΠ΄Π³ΠΎΡΠΎΠ²ΠΈΡΠ΅Π»ΡΠ½ΡΠΉ ΡΡΠ°ΠΏ β ΡΠ°Π·ΡΠ°Π±ΠΎΡΠΊΠ° ΡΠ΅Ρ ΠΏΠ»Π°Π½Π° ΠΈ ΠΏΠΎΠ΄Π³ΠΎΡΠΎΠ²ΠΊΠ° Π΄ΠΎΠΊΡΠΌΠ΅Π½ΡΠΎΠ².
- ΠΡΡΠ»Π΅Π΄ΠΎΠ²Π°Π½ΠΈΠ΅ ΡΠ΅ΡΡΠΈΡΠΎΡΠΈΠΈ ΠΈ Π°Π½Π°Π»ΠΈΠ· ΠΏΠΎΠ»ΡΡΠ΅Π½Π½ΡΡ Π΄Π°Π½Π½ΡΡ .
- ΠΠ°ΠΊΠ»ΡΡΠΈΡΠ΅Π»ΡΠ½ΡΠΉ β ΠΊΠ°ΠΌΠ΅ΡΠ°Π»ΡΠ½ΡΠΉ ΡΡΠ°ΠΏ, ΡΡΠΎ Π³ΠΎΡΠΎΠ²Π°Ρ ΡΠ΅Ρ Π½ΠΈΡΠ΅ΡΠΊΠ°Ρ Π΄ΠΎΠΊΡΠΌΠ΅Π½ΡΠ°ΡΠΈΡ, ΠΊΠΎΡΠΎΡΡΡ ΠΏΡΠ΅Π΄ΠΎΡΡΠ°Π²Π»ΡΡΡ Π·Π°ΠΊΠ°Π·ΡΠΈΠΊΡ.
ΠΠ΅ΠΎΠ΄Π΅Π·ΠΈΡΠ΅ΡΠΊΠΈΠ΅ ΡΠ°Π±ΠΎΡΡ Π½Π° ΠΌΠ΅ΡΡΠ½ΠΎΡΡΠΈ Π²Π΅Π΄ΡΡΡΡ Ρ ΠΏΡΠΈΠΌΠ΅Π½Π΅Π½ΠΈΠ΅ΠΌ ΡΠΏΠ΅ΡΠΈΠ°Π»ΠΈΠ·ΠΈΡΠΎΠ²Π°Π½Π½ΡΡ ΠΏΡΠΈΠ±ΠΎΡΠΎΠ², ΠΏΡΠ΅Π΄Π½Π°Π·Π½Π°ΡΠ΅Π½Π½ΡΡ Π΄Π»Ρ Π·Π°ΠΌΠ΅ΡΠΎΠ² ΡΠ°ΡΡΡΠΎΡΠ½ΠΈΡ, Π²ΡΡΠΎΡΡ, ΠΊΠΎΠΎΡΠ΄ΠΈΠ½Π°Ρ ΠΈ Ρ.Π΄. ΠΡΠΎ ΠΌΠΎΠ³ΡΡ Π±ΡΡΡ:
- ΠΠΈΠ²Π΅Π»ΠΈΡΡ, ΠΊΠΎΡΠΎΡΡΠ΅ ΠΏΠΎΠ·Π²ΠΎΠ»ΡΡΡ ΠΎΠΏΡΠ΅Π΄Π΅Π»ΠΈΡΡ ΡΠ°Π·Π½ΠΈΡΡ Π² ΡΡΠΎΠ²Π½ΡΡ ΡΠΎΡΠ΅ΠΊ ΡΠ°ΡΠΏΠΎΠ»ΠΎΠΆΠ΅Π½Π½ΡΡ Π½Π° ΠΌΠ΅ΡΡΠ½ΠΎΡΡΠΈ.
- Π’Π΅ΠΎΠ΄ΠΎΠ»ΠΈΡΡ, ΠΏΡΠΈΠ±ΠΎΡΡ Π΄Π»Ρ ΠΏΠ΅ΡΠ΅ΡΠ΅ΡΠ΅Π½Π½ΠΎΠΉ ΠΌΠ΅ΡΡΠ½ΠΎΡΡΠΈ ΠΈΠ»ΠΈ Π³ΠΎΡΠ½ΡΡ ΡΠΊΠ»ΠΎΠ½ΠΎΠ². ΠΠΎΠ·Π²ΠΎΠ»ΡΡΡ ΡΠΎΡΠ½ΠΎ ΠΈ Π±ΡΡΡΡΠΎ ΠΈΠ·ΠΌΠ΅ΡΠΈΡΡ Π³ΠΎΡΠΈΠ·ΠΎΠ½ΡΠ°Π»ΡΠ½ΡΠ΅ ΠΈ Π²Π΅ΡΡΠΈΠΊΠ°Π»ΡΠ½ΡΠ΅ ΡΠ³Π»Ρ Π½Π° ΠΏΠΎΠ²Π΅ΡΡ Π½ΠΎΡΡΠΈ ΡΡΠ°ΡΡΠΊΠ°.
- ΠΠ»Π΅ΠΊΡΡΠΎΠ½Π½ΡΠ΅ ΡΠ°Ρ ΠΎΠΌΠ΅ΡΡΡ, ΡΠΎΠ²ΠΌΠ΅ΡΠ°ΡΡΠΈΠ΅ ΡΡΠ½ΠΊΡΠΈΠΈ Π΄Π°Π»ΡΠ½ΠΎΠΌΠ΅ΡΠΎΠ², Π½ΠΈΠ²Π΅Π»ΠΈΡΠΎΠ² ΠΈ ΡΠ΅ΠΎΠ΄ΠΎΠ»ΠΈΡΠΎΠ².
- Π’ΠΎΠΏΠΎΡΡΠ΅ΠΌΠΊΠ° Ρ Π²ΠΎΠ·Π΄ΡΡ Π° Π²Π΅Π΄Π΅ΡΡΡ Ρ ΠΏΡΠΈΠΌΠ΅Π½Π΅Π½ΠΈΠ΅ΠΌ GPS ΠΈ ΠΠΠΠΠΠ‘Π‘ ΠΏΡΠΈΠ΅ΠΌΠ½ΠΈΠΊΠΎΠ². ΠΡΠΎΡ Π²ΠΈΠ΄ ΠΈΠ·ΠΌΠ΅ΡΠ΅Π½ΠΈΠΉ ΠΎΡΠ»ΠΈΡΠ°Π΅ΡΡΡ Π²ΡΡΠΎΠΊΠΎΠΉ ΡΠΎΡΠ½ΠΎΡΡΡΡ ΠΎΠΏΡΠ΅Π΄Π΅Π»Π΅Π½ΠΈΡ ΠΊΠΎΠΎΡΠ΄ΠΈΠ½Π°Ρ ΠΈ ΠΏΡΠΈΠΌΠ΅Π½ΡΠ΅ΡΡΡ Π½Π° ΠΌΠ΅ΡΡΠ½ΠΎΡΡΠΈ ΠΎΡΠΊΡΡΡΠΎΠ³ΠΎ ΡΠΈΠΏΠ°.
ΠΠ»Ρ ΠΎΡΠΎΠ±ΡΠ°ΠΆΠ΅Π½ΠΈΡ ΠΏΠΎΠ΄Π·Π΅ΠΌΠ½ΡΡ ΠΊΠΎΠΌΠΌΡΠ½ΠΈΠΊΠ°ΡΠΈΠΎΠ½Π½ΡΡ ΡΠ΅ΡΠ΅ΠΉ ΠΏΡΠΈΠΌΠ΅Π½ΡΡΡΡΡ ΡΡΠ°ΡΡΠΎΠΈΡΠΊΠ°ΡΠ΅Π»ΠΈ, ΠΊΠΎΡΠΎΡΡΠ΅ ΡΠΈΠΊΡΠΈΡΡΡΡ ΠΈΡ ΡΠΎΡΠ½ΠΎΠ΅ ΡΠ°ΡΠΏΠΎΠ»ΠΎΠΆΠ΅Π½ΠΈΠ΅.
ΠΠ° ΠΎΡΠ½ΠΎΠ²Π°Π½ΠΈΠΈ ΡΠ΅Π·ΡΠ»ΡΡΠ°ΡΠΎΠ² ΡΡΠ΅ΠΌΠΊΠΈ ΡΠΎΡΡΠ°Π²Π»ΡΡΡΡΡ ΡΠΎΠΏΠΎΠΏΠ»Π°Π½Ρ Π² Π³ΡΠ°ΡΠΈΡΠ΅ΡΠΊΠΎΠΌ ΠΈΠ·ΠΎΠ±ΡΠ°ΠΆΠ΅Π½ΠΈΠΈ ΠΈΠ»ΠΈ Π² ΡΠ»Π΅ΠΊΡΡΠΎΠ½Π½ΠΎΠΌ Π²ΠΈΠ΄Π΅. ΠΠ½ΠΈ ΠΌΠΎΠ³ΡΡ Π²ΡΠΏΠΎΠ»Π½ΡΡΡΡΡ Π² ΠΌΠ°ΡΡΡΠ°Π±Π΅ 1:500, Π² ΡΠ»ΡΡΠ°ΡΡ , ΠΊΠΎΠ³Π΄Π° ΡΡΠ΅Π±ΡΠ΅ΡΡΡ Π²ΡΡΠΎΠΊΠ°Ρ ΡΠΎΡΠ½ΠΎΡΡΡ ΠΈΠ·ΠΌΠ΅ΡΠ΅Π½ΠΈΠΉ. Π ΠΊΡΡΠΏΠ½ΠΎΠΌΠ°ΡΡΡΠ°Π±Π½ΠΎΠΌ Π²Π°ΡΠΈΠ°Π½ΡΠ΅ 1:10000 ΠΈ Π±ΠΎΠ»ΡΡΠ΅. Π’Π°ΠΊΠΈΠ΅ ΠΈΠ·ΠΎΠ±ΡΠ°ΠΆΠ΅Π½ΠΈΡ Π΄Π΅Π»Π°ΡΡΡΡ Π±Π΅Π· ΡΡΠ΅ΡΠ° ΠΊΡΠΈΠ²ΠΈΠ·Π½Ρ Π·Π΅ΠΌΠ½ΠΎΠΉ ΠΏΠ»ΠΎΡΠΊΠΎΡΡΠΈ ΠΈ ΠΈΠΌΠ΅ΡΡ ΠΎΠ΄ΠΈΠ½ ΠΈ ΡΠΎΡ ΠΆΠ΅ ΠΌΠ°ΡΡΡΠ°Π± Π²ΠΎ Π²ΡΠ΅Ρ ΡΠΎΡΠΊΠ°Ρ ΠΏΠ»Π°Π½Π°.
ΠΠ½ΠΎΠ³Π΄Π° ΠΈΠ·ΠΎΠ±ΡΠ°ΠΆΠ΅Π½ΠΈΡ ΡΠ΅Π»ΡΠ΅ΡΠ° ΠΌΠ΅ΡΡΠ½ΠΎΡΡΠΈ ΠΈ Π΅Π΅ ΠΎΠ±ΡΠ΅ΠΊΡΠΎΠ² ΠΈΠΌΠ΅ΡΡ ΡΠΎΡΠ΅ΡΠ½ΠΎΠ΅ ΠΈΠ·ΠΎΠ±ΡΠ°ΠΆΠ΅Π½ΠΈΠ΅. ΠΠ·ΠΎΠ±ΡΠ°ΠΆΠ΅Π½ΠΈΠ΅ ΠΎΠ±ΡΠ΅ΠΊΡΠΎΠ² ΠΈΠΌΠ΅ΡΡΠΈΡ ΡΠ΅ΡΠΊΠΈΠ΅ Π³ΡΠ°Π½ΠΈΡΡ Π½Π° Π½ΠΈΡ ΠΎΠ±ΠΎΠ·Π½Π°ΡΠ°ΡΡ ΡΠ²Π΅ΡΠ΄ΡΠ΅ ΡΠΎΡΠΊΠΈ. ΠΠΎΠ½ΡΡΡΡ, ΠΊΠΎΡΠΎΡΡΠ΅ Π½Π΅ ΠΈΠΌΠ΅ΡΡ ΡΠ΅ΡΠΊΠΎΠΉ Π³ΡΠ°Π½ΠΈΡΡ, ΡΡΠΎ ΠΌΠΎΠΆΠ΅Ρ Π±ΡΡΡ ΠΊΡΠ°ΠΉ Π»ΡΠ³ΠΎΠ², Π»Π΅ΡΠΎΠ² ΠΎΠ±ΠΎΠ·Π½Π°ΡΠ°ΡΡ Π½Π΅ΡΠ²Π΅ΡΠ΄ΡΠΌΠΈ ΡΠΎΡΠΊΠ°ΠΌΠΈ.
ΠΠΈΠ΄Ρ ΡΠΎΠΏΠΎΡΡΠ΅ΠΌΠΊΠΈ
Π’ΠΎΠΏΠΎΠ³ΡΠ°ΡΠΈΡΠ΅ΡΠΊΠΈΠ΅ Π΄ΠΎΠΊΡΠΌΠ΅Π½ΡΡ Ρ ΠΌΠ΅Π»ΠΊΠΈΠΌ ΠΌΠ°ΡΡΡΠ°Π±ΠΎΠΌ ΠΎΡ 1:50 Π΄ΠΎ 1:200 ΠΈΡΠΏΠΎΠ»ΡΠ·ΡΡΡ Π΄Π»Ρ ΠΏΡΠΎΠ΅ΠΊΡΠΈΡΠΎΠ²Π°Π½ΠΈΡ Π»Π°Π½Π΄ΡΠ°ΡΡΠ½ΠΎΠ³ΠΎ Π΄ΠΈΠ·Π°ΠΉΠ½Π°.
ΠΠ°ΡΡΡΠ°Π± 1:500 Π²ΠΎΡΡΡΠ΅Π±ΠΎΠ²Π°Π½ ΠΏΡΠΈ ΡΠ΅ΠΊΠΎΠ½ΡΡΡΡΠΊΡΠΈΡΡ , ΠΏΡΠΈ ΠΎΠΏΡΠ΅Π΄Π΅Π»Π΅Π½ΠΈΠΈ ΡΡ Π΅ΠΌΡ ΠΈ Π³ΡΠ°Π½ΠΈΡ ΠΈΠ½ΠΆΠ΅Π½Π΅ΡΠ½ΡΡ ΠΊΠΎΠΌΠΌΡΠ½ΠΈΠΊΠ°ΡΠΈΠΎΠ½Π½ΡΡ ΡΠΎΠΎΡΡΠΆΠ΅Π½ΠΈΠΉ ΠΈ ΠΈΡ ΡΠΎΠ³Π»Π°ΡΠΎΠ²Π°Π½ΠΈΡ Ρ ΠΊΠΎΠ½ΠΊΡΠ΅ΡΠ½ΡΠΌΠΈ ΠΈΠ½ΡΡΠ°Π½ΡΠΈΡΠΌΠΈ. 1:2000 ΡΡΠ΅Π±ΡΠ΅ΡΡΡ ΠΏΡΠΈ ΡΠΎΡΡΠ°Π²Π»Π΅Π½ΠΈΠΈ Π³Π΅Π½ΠΏΠ»Π°Π½Π° ΠΈΠ»ΠΈ ΡΡ Π΅ΠΌΠ°ΡΠΈΡΠ΅ΡΠΊΠΎΠ³ΠΎ ΠΈΠ·ΠΎΠ±ΡΠ°ΠΆΠ΅Π½ΠΈΡ Π½Π΅Π±ΠΎΠ»ΡΡΠΎΠ³ΠΎ Π½Π°ΡΠ΅Π»Π΅Π½Π½ΠΎΠ³ΠΎ ΠΏΡΠ½ΠΊΡΠ°.
ΠΡΠΎΠ΅ΠΊΡΠΈΡΠΎΠ²Π°Π½ΠΈΠ΅ Π΄ΠΎΡΠΎΠΆΠ½ΡΡ ΡΠ°Π±ΠΎΡ ΠΈ ΡΠΎΠΎΡΡΠΆΠ΅Π½ΠΈΠ΅ Π°Π²ΡΠΎΠΌΠ°Π³ΠΈΡΡΡΠ°Π»Π΅ΠΉ, Π° ΡΠ°ΠΊΠΆΠ΅ ΡΠ°Π±ΠΎΡΠ° Π½Π°Π΄ ΠΊΠ°Π΄Π°ΡΡΡΠΎΠ²ΡΠΌΠΈ ΠΏΠ»Π°Π½Π°ΠΌΠΈ ΠΈ Π³Π΅Π½Π΅ΡΠ°Π»ΡΠ½ΡΠΌΠΈ ΠΏΠ»Π°Π½Π°ΠΌΠΈ Π³ΠΎΡΠΎΠ΄ΡΠΊΠΈΡ ΠΏΡΠ½ΠΊΡΠΎΠ² ΠΏΠΎΠ·Π²ΠΎΠ»ΡΠ΅Ρ ΠΈΡΠΏΠΎΠ»ΡΠ·ΠΎΠ²Π°ΡΡ ΠΌΠ°ΡΡΡΠ°Π± 1:5000.
ΠΡΡΠΏΠ½ΠΎΠΌΠ°ΡΡΡΠ°Π±Π½ΡΠ΅ ΠΏΠ»Π°Π½Ρ ΠΏΠΎΠ΄Ρ ΠΎΠ΄ΡΡ Π΄Π»Ρ ΠΊΡΡΠΏΠ½ΡΡ Π½Π°ΡΠ΅Π»Π΅Π½Π½ΡΡ ΠΏΡΠ½ΠΊΡΠΎΠ². Π’Π°ΠΊΠΈΠ΅ Π²ΠΈΠ΄Ρ ΡΡΠ΅ΠΌΠΊΠΈ Π½Π΅Π·Π°ΠΌΠ΅Π½ΠΈΠΌΡ Π΄Π»Ρ ΠΈΠ½ΠΆΠ΅Π½Π΅ΡΠ½ΠΎ-Π³Π΅ΠΎΠ΄Π΅Π·ΠΈΡΠ΅ΡΠΊΠΈΡ ΠΈΠ·ΡΡΠΊΠ°Π½ΠΈΠΉ ΠΈ Π² ΠΎΠ±Π»Π°ΡΡΠΈ ΡΡΡΠΎΠΈΡΠ΅Π»ΡΠ½ΡΡ ΡΠ°Π±ΠΎΡ, ΡΠΎΡΡΠ°Π²Π»Π΅Π½ΠΈΡ Π³Π΅Π½ΠΏΠ»Π°Π½Π° ΡΠ΅ΡΡΠΈΡΠΎΡΠΈΠΉ, ΠΏΡΠΈ Π½Π΅ΠΎΠ±Ρ ΠΎΠ΄ΠΈΠΌΠΎΡΡΠΈ ΠΎΠ±Π½ΠΎΠ²Π»Π΅Π½ΠΈΡ ΡΡΡΠ΅ΡΡΠ²ΡΡΡΠΈΡ ΡΠΎΠΏΠΎΠ³ΡΠ°ΡΠΈΡΠ΅ΡΠΊΠΈΡ ΠΊΠ°ΡΡ.
ΠΠΎΠ΄Π΅ΡΠ΅Π²Π½ΡΠΉ Π²ΠΈΠ΄ ΡΠΎΠΏΠΎΡΡΠ΅ΠΌΠΊΠΈ ΠΎΡΠΎΠ±ΡΠ°ΠΆΠ°Π΅Ρ ΡΠ°ΡΠΏΠΎΠ»ΠΎΠΆΠ΅Π½ΠΈΠ΅ Π΄Π΅ΡΠ΅Π²ΡΠ΅Π², ΡΠ°ΡΡΡΡΠΈΡ Π½Π° ΠΌΠ΅ΡΡΠ½ΠΎΡΡΠΈ. Π§Π°ΡΠ΅ Π²ΡΠ΅Π³ΠΎ ΡΡΠΎΡ Π²ΠΈΠ΄ Π·Π°ΠΌΠ΅ΡΠΎΠ² ΠΈΡΠΏΠΎΠ»ΡΠ·ΡΠ΅ΡΡΡ Π½Π° ΡΡΠ°ΡΡΠΊΠ°Ρ Ρ ΡΠ΅Π΄ΠΊΠΈΠΌΠΈ ΠΈ ΡΠ΅Π½Π½ΡΠΌΠΈ ΠΏΠΎΡΠΎΠ΄Π°ΠΌΠΈ Π΄Π΅ΡΠ΅Π²ΡΠ΅Π².
ΠΠΊΠΎΠ»ΠΎΠ³ΠΈΡΠ΅ΡΠΊΠΈΠΉ ΠΏΠΎΠ΄Ρ ΠΎΠ΄, ΠΏΠΎΠ·Π²ΠΎΠ»ΡΠ΅Ρ Π·Π°ΡΠΈΡΠΈΡΡ ΡΡΠΈ Π΄Π΅ΡΠ΅Π²ΡΡ ΠΎΡ Π²ΡΡΡΠ±ΠΊΠΈ Π² ΠΏΡΠΎΡΠ΅ΡΡΠ΅ ΡΡΡΠΎΠΈΡΠ΅Π»ΡΡΡΠ²Π°. ΠΡΠΎΡΠ°Ρ Π·Π°Π΄Π°ΡΠ° ΡΠ°ΠΊΠΎΠΉ ΡΡΡΠΌΠΊΠΈ, ΡΡΠΎ ΠΏΡΠΎΠΈΠ·Π²Π΅Π΄Π΅Π½ΠΈΠ΅ ΡΠ°ΡΡΠ΅ΡΠΎΠ² ΡΡΠΎΠΈΠΌΠΎΡΡΠΈ ΠΏΠ»Π°Π½ΠΎΠ²ΠΎΠΉ Π²ΡΡΡΠ±ΠΊΠΈ Π»Π΅ΡΠ½ΡΡ Π½Π°ΡΠ°ΠΆΠ΄Π΅Π½ΠΈΠΉ ΠΈ ΡΠ°Π·ΠΌΠ΅ΡΠΎΠ² ΠΊΠΎΠΌΠΏΠ΅Π½ΡΠ°ΡΠΈΠΎΠ½Π½ΡΡ ΠΏΠΎΡΠ°Π΄ΠΎΠΊ, ΠΏΡΠ΅Π΄ΡΡΠΌΠΎΡΡΠ΅Π½Π½ΡΡ Π·Π°ΠΊΠΎΠ½ΠΎΠΌ Π Π€.
Π ΠΊΠ°ΠΊΠΈΡ ΡΠ»ΡΡΠ°ΡΡ ΡΡΠ΅Π±ΡΡΡΡΡ ΡΠ΅Π·ΡΠ»ΡΡΠ°ΡΡ ΡΠΎΠΏΠΎΡΡΡΠΌΠΊΠΈ?
- ΠΠ»Ρ ΠΏΡΠΎΠ²Π΅Π΄Π΅Π½ΠΈΡ Π²Π½ΡΡΡΠ΅Π½Π½Π΅Π³ΠΎ ΠΌΠ΅ΠΆΠ΅Π²Π°Π½ΠΈΡ ΡΡΠ°ΡΡΠΊΠ°, ΠΊΠΎΡΠΎΡΡΠΉ Π·Π°ΡΠ΅Π³ΠΈΡΡΡΠΈΡΠΎΠ²Π°Π½ ΠΏΠΎΠ΄ Π΅Π΄ΠΈΠ½ΡΠΌ ΠΊΠ°Π΄Π°ΡΡΡΠΎΠ²ΡΠΌ Π½ΠΎΠΌΠ΅ΡΠΎΠΌ.
- ΠΡΠΈ ΠΎΡΠΎΡΠΌΠ»Π΅Π½ΠΈΠΈ ΡΠ°Π·ΡΠ΅ΡΠΈΡΠ΅Π»ΡΠ½ΡΡ Π΄ΠΎΠΊΡΠΌΠ΅Π½ΡΠΎΠ² Π½Π° ΡΡΡΠΎΠΈΡΠ΅Π»ΡΡΡΠ²ΠΎ Π΄ΠΎΠΌΠΎΠ² ΠΈ ΠΏΠΎΡΡΡΠΎΠ΅ΠΊ.
- ΠΡΠΈ ΠΏΡΠΈΠ²ΡΠ·ΠΊΠ΅ ΠΎΠ±ΡΠ΅ΠΊΡΠΎΠ² ΡΡΡΠΎΠΈΡΠ΅Π»ΡΡΡΠ²Π° ΠΊ ΡΠΈΡΡΠ΅ΠΌΠ΅ Π²ΡΡΠΎΡ.
- ΠΠ»Ρ ΠΏΠΎΠ΄ΠΊΠ»ΡΡΠ΅Π½ΠΈΡ ΠΊ ΠΊΠΎΠΌΠΌΡΠ½ΠΈΠΊΠ°ΡΠΈΠΎΠ½Π½ΡΠΌ ΡΠ΅ΡΡΠΌ ΠΈ ΠΈΡ ΠΏΠ΅ΡΠ΅ΠΏΠ»Π°Π½ΠΈΡΠΎΠ²ΠΊΠ΅.
- ΠΡΠΈ ΡΠΎΡΡΠ°Π²Π»Π΅Π½ΠΈΠΈ Π»Π°Π½Π΄ΡΠ°ΡΡΠ½ΡΡ ΠΏΡΠΎΠ΅ΠΊΡΠΎΠ² ΠΈ Π±Π»Π°Π³ΠΎΡΡΡΡΠΎΠΉΡΡΠ²Π΅ ΡΠ΅ΡΡΠΈΡΠΎΡΠΈΠΉ.
- Π ΡΠ΅Π»ΡΡ ΠΎΠΏΡΠ΅Π΄Π΅Π»Π΅Π½ΠΈΡ ΠΏΠ»ΠΎΡΠ°Π΄ΠΈ Π²ΡΡΡΠ±ΠΊΠΈ Π»Π΅ΡΠ½ΡΡ Π½Π°ΡΠ°ΠΆΠ΄Π΅Π½ΠΈΠΉ.
- ΠΠ»Ρ ΠΎΡΠΎΡΠΌΠ»Π΅Π½ΠΈΡ ΠΏΡΠΈΡΠ΅Π·ΠΎΠΊ ΠΏΡΠΈ Π±Π΅Π·Π²ΠΎΠ·ΠΌΠ΅Π·Π΄Π½ΠΎΠΌ ΡΠ²Π΅Π»ΠΈΡΠ΅Π½ΠΈΠΈ ΡΡΠ°ΡΡΠΊΠΎΠ² Π½Π° Π΄Π΅ΡΡΡΡ ΠΏΡΠΎΡΠ΅Π½ΡΠΎΠ² ΠΎΡ ΠΎΠ±ΡΠ΅ΠΉ ΠΏΠ»ΠΎΡΠ°Π΄ΠΈ.
- ΠΡΠΈ ΠΏΡΠΎΠ²Π΅Π΄Π΅Π½ΠΈΠΈ ΠΈΠ·ΡΡΠΊΠ°ΡΠ΅Π»ΡΡΠΊΠΈΡ ΡΠ°Π±ΠΎΡ ΠΏΠΎ Π±ΡΡΠ΅Π½ΠΈΡ ΡΠΊΠ²Π°ΠΆΠΈΠ½.
Π Π΅Π·ΡΠ»ΡΡΠ°ΡΡ ΡΠΎΠΏΠΎΠ³ΡΠ°ΡΠΈΡΠ΅ΡΠΊΠΎΠΉ ΡΡΠ΅ΠΌΠΊΠΈ Π·Π°ΠΊΠ°Π·ΡΠΈΠΊΠΈ ΠΏΠΎΠ»ΡΡΠ°ΡΡ Π² Π³ΡΠ°ΡΠΈΡΠ΅ΡΠΊΠΎΠΌ ΠΈΠ»ΠΈ ΡΠ»Π΅ΠΊΡΡΠΎΠ½Π½ΠΎΠΌ Π²ΠΈΠ΄Π΅, ΠΊΠΎΡΠΎΡΡΠΉ ΠΏΠ΅ΡΠ΅Π΄Π°ΡΡΡΡ Π² Π ΠΎΡΡΠ΅Π΅ΡΡΡ. Π’ΠΎΠΏΠΎΠ³ΡΠ°ΡΠΈΡΠ΅ΡΠΊΠΈΠ΅ ΠΈΡΡΠ»Π΅Π΄ΠΎΠ²Π°Π½ΠΈΡ Π»Π΅ΠΆΠ°Ρ Π² ΠΎΡΠ½ΠΎΠ²Π΅ Π³ΠΎΡΡΠ΄Π°ΡΡΡΠ²Π΅Π½Π½ΡΡ Π·Π΅ΠΌΠ΅Π»ΡΠ½ΡΡ ΠΊΠ°Π΄Π°ΡΡΡΠΎΠ², ΠΈ ΠΈΡΠΏΠΎΠ»ΡΠ·ΡΡΡΡΡ Π΄Π»Ρ ΠΊΠΎΡΡΠ΅ΠΊΡΠΈΡΠΎΠ²ΠΎΠΊ ΡΠΎΠΏΠΎΠΊΠ°ΡΡ.
kreditnyi-zaym.ru
